Benvenuto Ospite

Forum Entomologi Italiani

www.entomologiitaliani.net/forum
 
Oggi è 06/10/2025, 4:42

Tutti gli orari sono UTC + 1 ora [ ora legale ]

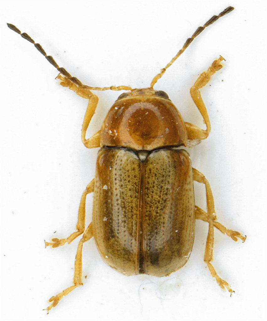
Cryptocephalus (Burlinius) macellus Suffrian, 1860 cf. Dettagli della specie

21.VIII.2010 - ITALIA - Lazio - FR, Serrone


nuovo argomento
rispondi
Vai alla pagina 1, 2  Prossimo
Pagina 1 di 2 [ 18 messaggi ]
Autore Messaggio
MessaggioInviato: 24/08/2010, 20:37 
Avatar utente

Iscritto il: 30/12/2009, 22:20
Messaggi: 31564
Località: Roma
Nome: Maurizio Gigli
Uno dei più piccoli Chryptocephalus che abbia mai trovato.

Lazio, Frosinone, Serrone, 21.VIII.2010, alla luce nera sul terrazzo di casa, M. Gigli legit

2 mm

Chryptocephalus_Serrone_21-VIII-2010.jpg


_________________
Maurizio Gigli
http://utenti.romascuola.net/bups
http://bup.xoom.it/


Top
profilo
MessaggioInviato: 24/08/2010, 20:40 
Avatar utente

Iscritto il: 08/06/2009, 0:06
Messaggi: 3415
Località: Feltre(BL)
Nome: Nicola Dal Zotto
Stupendo e mai visto!
Dopo vado a prendere le chiavi e provo a vedere se arrivo da qualche parte!
Nicola

_________________
Nicola Dal Zotto


Top
profilo
MessaggioInviato: 24/08/2010, 21:38 
Avatar utente

Iscritto il: 30/12/2009, 22:20
Messaggi: 31564
Località: Roma
Nome: Maurizio Gigli
Quando li ho raccolti sul telo li avevo scambiati per scolitidi. Del resto la luce nera ha brutti effetti sulla vista. Solo oggi, tirando fuori qualcosa da tutta la minutaglia coleotterologica presa in 4 notti consecutive la scorsa settimana, mi sono accorto che alcuni erano Chryptocephalus! Domani sera torno a Serrone e nelle prossime tre notti vedo se ne arrivano ancora, così faccio contento pure il mio omonimo pugliese (visto che ormai in giro non se ne trovano più, almeno qui)

_________________
Maurizio Gigli
http://utenti.romascuola.net/bups
http://bup.xoom.it/


Top
profilo
MessaggioInviato: 24/08/2010, 22:20 
Avatar utente

Iscritto il: 25/11/2009, 9:31
Messaggi: 8157
Località: Lecce
Nome: Maurizio Bollino
Julodis ha scritto:
Domani sera torno a Serrone e nelle prossime tre notti vedo se ne arrivano ancora, così faccio contento pure il mio omonimo pugliese (visto che ormai in giro non se ne trovano più, almeno qui)


:lov2: :lov1: :lov2: :lov1: :lov2: :lov1: :lov2: :lov1: :hp: :hp: :hp: :hp:

_________________
Maurizio Bollino


Top
profilo
MessaggioInviato: 24/08/2010, 22:28 
Avatar utente

Iscritto il: 25/11/2009, 9:31
Messaggi: 8157
Località: Lecce
Nome: Maurizio Bollino
Per me è Cryptocephalus (Burlinius) macellus Suffrian, 1860.

_________________
Maurizio Bollino


Top
profilo
MessaggioInviato: 24/08/2010, 23:05 
Avatar utente

Iscritto il: 22/05/2009, 21:00
Messaggi: 2773
Località: Pergine Valsugana (TN)
Nome: Andrea Carlin
:hi: Del sgen Burlinius, con queste caratteristiche e soprattutto misure sembra ci sia solo lui (il macellus) oppure la specie endemica di Sardegna e Corsica descritta recentemente da Sassi e Regalin (1998): C.biondii presumo dedicata al nostro Silvano!

:hi: :hi: :hi:

_________________
Andrea Carlin, Pergine Valsugana (TN) carlin.andrea(AT)gmail.com

Nota: tutti gli esemplari inseriti nelle discussioni aperte da me sono da ritenere "Andrea Carlin legit" se non diversamente specificato.


Top
profilo
MessaggioInviato: 24/08/2010, 23:13 
Avatar utente

Iscritto il: 09/11/2009, 14:12
Messaggi: 5144
Località: Hradec Kralove,Czech republik
Nome: Jan Matějíček
Cryptocephalus macellus Suffrian, 1860
http://www.colpolon.biol.uni.wroc.pl/cr ... cellus.htm

Cryptocephalus
http://www.colpolon.biol.uni.wroc.pl/cryptocephalus.htm

_________________
Research Fields
Taxonomy, ecology, biomonitoring , faunistic of Staphylinidae


Top
profilo
MessaggioInviato: 24/08/2010, 23:16 
Avatar utente

Iscritto il: 25/11/2009, 9:31
Messaggi: 8157
Località: Lecce
Nome: Maurizio Bollino
Julodis ha scritto:
Quando li ho raccolti sul telo li avevo scambiati per scolitidi. Del resto la luce nera ha brutti effetti sulla vista. Solo oggi, tirando fuori qualcosa da tutta la minutaglia coleotterologica presa in 4 notti consecutive la scorsa settimana, mi sono accorto che alcuni erano Chryptocephalus! Domani sera torno a Serrone e nelle prossime tre notti vedo se ne arrivano ancora, così faccio contento pure il mio omonimo pugliese (visto che ormai in giro non se ne trovano più, almeno qui)


Realizzo solo ora come li hai presi. Fino ad ora non ho mai letto che i Cryptocephalus si prendono anche alla luce, ma magari è solo una mia lacuna.

_________________
Maurizio Bollino


Top
profilo
MessaggioInviato: 24/08/2010, 23:17 
Avatar utente

Iscritto il: 25/11/2009, 9:31
Messaggi: 8157
Località: Lecce
Nome: Maurizio Bollino
Honza ha scritto:


Grazie Jan!

Che dite, l'accendiamo?

_________________
Maurizio Bollino


Top
profilo
MessaggioInviato: 24/08/2010, 23:19 
Avatar utente

Iscritto il: 30/12/2009, 22:20
Messaggi: 31564
Località: Roma
Nome: Maurizio Gigli
Grazie a Maurizio ed a Jan per la determinazione.

_________________
Maurizio Gigli
http://utenti.romascuola.net/bups
http://bup.xoom.it/


Top
profilo
MessaggioInviato: 25/08/2010, 8:34 
Avatar utente

Iscritto il: 08/02/2010, 23:01
Messaggi: 6167
Località: Vicenza
Nome: Silvano Biondi
Andrea Pergine ha scritto:
C.biondii presumo dedicata al nostro Silvano!

:no:
Presumo a Maurizio Biondi che, come sanno quelli di voi che si occupano di crisomelidi, è un autorevole specialista di questa famiglia. Chissà se ogni tanto legge il nostro forum ( :hi: ).

:hi:

_________________



Silvano


Top
profilo
MessaggioInviato: 25/08/2010, 11:47 
Avatar utente

Iscritto il: 30/12/2009, 22:20
Messaggi: 31564
Località: Roma
Nome: Maurizio Gigli
Apoderus ha scritto:
Andrea Pergine ha scritto:
C.biondii presumo dedicata al nostro Silvano!

:no:
Presumo a Maurizio Biondi che, come sanno quelli di voi che si occupano di crisomelidi, è un autorevole specialista di questa famiglia. Chissà se ogni tanto legge il nostro forum ( :hi: ).

:hi:

Magari potrebbe pure iscriversi, così ci sarebbe finalmente uno specialista di Alticini e ingrosserebbe le già nutrite fila dei Maurizii!

_________________
Maurizio Gigli
http://utenti.romascuola.net/bups
http://bup.xoom.it/


Top
profilo
MessaggioInviato: 25/08/2010, 12:36 
Avatar utente

Iscritto il: 08/06/2009, 0:06
Messaggi: 3415
Località: Feltre(BL)
Nome: Nicola Dal Zotto
Maurizio Bollino ha scritto:
Per me è Cryptocephalus (Burlinius) macellus Suffrian, 1860.

Anche per me!
Julodis ha scritto:
Magari potrebbe pure iscriversi, così ci sarebbe finalmente uno specialista di Alticini


MAGARI!!!!!!

Nicola

_________________
Nicola Dal Zotto


Top
profilo
MessaggioInviato: 25/08/2010, 15:20 
Avatar utente

Iscritto il: 05/09/2009, 7:56
Messaggi: 3445
Località: Cesena
Nome: Gianfranco Sama
Scusate la pignoleria, non sarà il caso di tirare le orecchie a Julodis e modificare il titolo della discussione in Cryptocephalus ? :mrgreen:
Fosse l'altro Maurizio potremmo tirargli le orecchiette :mrgreen:

_________________
Gianfranco Sama

"Benedetto colui che ti aiuta a correggere i tuoi errori invece di scagliarteli contro"
___________________________________
Gershom Sholem


Top
profilo
MessaggioInviato: 25/08/2010, 15:29 
 

Iscritto il: 24/03/2010, 12:42
Messaggi: 1437
Nome: Lech Borowiec
In Italy occur 4 similar species of uniformly yellow Burlinius: macellus, pusillus (uniformly yellow aberration), lostiai (enedmic to Sardinia), and biondii (endemic to Sardinia and Corsica). C. pusillus usually has small obscure spot on humeri. Beetle on photo looks like C. macellus but proper identification needs preparation of genitalia. In pusillus apical process of aedeagus is very thin and as long as or slightly longer than lateral lobes:
http://culex.biol.uni.wroc.pl/cassidae/ ... sillus.htm
while in macellus the apical process is stouter and distinctly shorter from lateral lobes:
http://culex.biol.uni.wroc.pl/cassidae/ ... cellus.htm


Top
profilo
Visualizza ultimi messaggi:  Ordina per  
nuovo argomento
rispondi
Vai alla pagina 1, 2  Prossimo
Pagina 1 di 2 [ 18 messaggi ]

Tutti gli orari sono UTC + 1 ora [ ora legale ]


Chi c’è in linea

Visitano il forum: Nessuno e 3 ospiti


Non puoi aprire nuovi argomenti
Non puoi rispondere negli argomenti
Non puoi modificare i tuoi messaggi
Non puoi cancellare i tuoi messaggi
Non puoi inviare allegati

Cerca per:
Vai a: