Benvenuto Ospite

Forum Entomologi Italiani

www.entomologiitaliani.net/forum
 
Oggi è 06/10/2025, 2:15

Tutti gli orari sono UTC + 1 ora [ ora legale ]

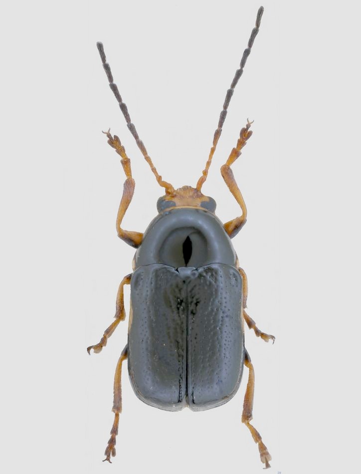
Cryptocephalus (Cryptocephalus) flavipes Fabricius, 1781 Dettagli della specie

10.VII.2005 - ITALIA - Marche - AP, M.te Sibilla, Montemonaco


nuovo argomento
rispondi
Pagina 1 di 1 [ 3 messaggi ]
Autore Messaggio
MessaggioInviato: 07/09/2010, 20:29 
Avatar utente

Iscritto il: 06/02/2009, 9:03
Messaggi: 6363
Località: Bubano di Mordano (Bologna)
Nome: Augusto Degiovanni
MARCHE: M.te Sibilla, Montemonaco (AP), 2000m, 10.VII.2005, Leg. A. Degiovanni

Lunghezza: 4,2 mm

Chryptocephalus 2.jpg


_________________
CIAO :hi: Augusto Degiovanni

http://anthicidaeecarabidae.altervista.org


Top
profilo
 Oggetto del messaggio: Re: Chryptocephalus sp. 2
MessaggioInviato: 07/09/2010, 23:05 
Avatar utente

Iscritto il: 03/07/2009, 21:19
Messaggi: 420
Località: Castelmarte (CO)
Nome: davide sassi
Cryptocephalus flavipes! Ciao!! :hi:

_________________
"Non credo in Adamo ed Eva, credo nelle scimmie" (Ilaria, 8 anni)


Top
profilo
MessaggioInviato: 08/09/2010, 17:22 
Avatar utente

Iscritto il: 06/02/2009, 9:03
Messaggi: 6363
Località: Bubano di Mordano (Bologna)
Nome: Augusto Degiovanni
Grazie Davide :ok:

_________________
CIAO :hi: Augusto Degiovanni

http://anthicidaeecarabidae.altervista.org


Top
profilo
Visualizza ultimi messaggi:  Ordina per  
nuovo argomento
rispondi
Pagina 1 di 1 [ 3 messaggi ]

Tutti gli orari sono UTC + 1 ora [ ora legale ]


Chi c’è in linea

Visitano il forum: Nessuno e 4 ospiti


Non puoi aprire nuovi argomenti
Non puoi rispondere negli argomenti
Non puoi modificare i tuoi messaggi
Non puoi cancellare i tuoi messaggi
Non puoi inviare allegati

Cerca per:
Vai a: