Benvenuto Ospite

Forum Entomologi Italiani

www.entomologiitaliani.net/forum
 
Oggi è 06/11/2025, 5:54

Tutti gli orari sono UTC + 1 ora [ ora legale ]

Coleoptera Chrysomelidae. Indice iconografico delle specie presenti sul forum.

 


nuovo argomento
BLOCCATO
Vai alla pagina 1, 2  Prossimo
Pagina 1 di 2 [ 23 messaggi ]
Autore Messaggio
MessaggioInviato: 17/10/2010, 23:07 
Avatar utente

Iscritto il: 25/11/2009, 9:31
Messaggi: 8157
Località: Lecce
Nome: Maurizio Bollino
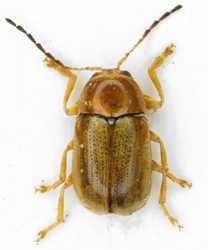
Chrysomelidae Donaciinae Kirby, 1837
Genere Donacia Fabricius, 1775




[/tr]
SpecieFemminaMaschio
Donacia obscura Gyllenhal, 1813
obscura.jpg

Donacia sparganii Ahrens, 1810
sparganii.jpg

Donacia vulgaris Zschach, 1788
vulgaris.jpg


_________________
Maurizio Bollino


Top
profilo
MessaggioInviato: 17/10/2010, 23:28 
Avatar utente

Iscritto il: 25/11/2009, 9:31
Messaggi: 8157
Località: Lecce
Nome: Maurizio Bollino
Chrysomelidae Orsodacninae C.G. Thomson, 1859
Genere Orsodacne Latreille, 1802


SpecieFemminaMaschio
Orsodacne cerasi (Linnaeus, 1758)
Orsodacne.jpg


_________________
Maurizio Bollino


Top
profilo
MessaggioInviato: 17/10/2010, 23:46 
Avatar utente

Iscritto il: 25/11/2009, 9:31
Messaggi: 8157
Località: Lecce
Nome: Maurizio Bollino
Chrysomelidae Criocerinae Latreille, 1804
Genere Crioceris Müller, 1764





SpecieFemminaMaschio
Crioceris asparagi (Linnaeus, 1758)
Immagine
Crioceris duodecimpunctata (Linnaeus 1758)
Immagine
Crioceris macilenta Weise, 1880
Immagine
Crioceris paracenthesis (Linnaeus, 1767)
Immagine


Genere Lema Fabricius, 1798

SpecieFemminaMaschio
Lema cyanella (Linnaeus 1758)
Lema-cyanella.jpg



Genere Lilioceris Reitter, 1912




SpecieFemminaMaschio
Lilioceris merdigera (Linnaeus 1758)
Lilioceris-merdigera.jpg

Lilioceris lilii (Scopoli, 1763)
Immagine
Lilioceris schneideri (Weise, 1900)
Immagine


Genere Oulema Gozis, 1886

SpecieFemminaMaschio
Oulema melanopus (Linnaeus, 1758)
Oulema-melanopus.jpg


_________________
Maurizio Bollino


Top
profilo
MessaggioInviato: 18/10/2010, 12:32 
Avatar utente

Iscritto il: 25/11/2009, 9:31
Messaggi: 8157
Località: Lecce
Nome: Maurizio Bollino
Chrysomelidae Clytrinae Kirby, 1837
Genere Cheilotoma Chevrolat, 1837


SpecieFemminaMaschio
Cheilotoma erythrostoma italica Leoni, 1906
erythrostoma.jpg



Genere Clytra Laicharting, 1781


SpecieFemminaMaschio
Clytra atraphaxidis (Pallas, 1773)
Clytra-atraphaxidis.jpg

Clytra quadripunctata (Linné, 1758)
quadripunctata.jpg



Genere Coptocephala Chevrolat, 1837



SpecieFemminaMaschio
Coptocephala scopolina (Linnaeus, 1767)
Coptocephala-scopolina.jpg

Coptocephala cyanocephala (Lacordaire, 1848)
Coptocephala-cyanocephala.jpg

Coptocephala rubicunda (Laicharting, 1781)
Coptocephala-rubicunda.jpg



Genere Labidostomis Germar, 1822





SpecieFemminaMaschio
Labidostomis centromaculata Gené, 1839[center]
centromaculata.jpg

Labidostomis kantneri Warchalowski, 2004
kantneri.jpg

Labidostomis pallidipennis (Gebler, 1830)
Labidostomis-pallidipennis.jpg

Labidostomis taxicornis (Fabricius, 1792)
taxicornis.jpg



Genere Lachnaia Chevrolat, 1837



SpecieFemminaMaschio
Lachnaia italica (Weise, 1882)
Lachnaia-italica.jpg

Lachnaia pubescens (Dufour, 1820)
Lachnaia-pubescens.jpg



Genere Macrolenes Chevrolat, 1837


SpecieFemminaMaschio
Macrolenes dentipes (Olivier, 1808)
Macrolenes-dentipes.jpg



Genere Smaragdina Chevrolat, 1837





SpecieFemminaMaschio
Smaragdina affinis (Illiger, 1794
affinis.jpg

Smaragdina ferulae Gené, 1839
ferulae.jpg

Smaragdina limbata (Steven, 1806)
limbata.jpg

Smaragdina xanthaspis (Germar, 1824)
xanthaspis.jpg



Genere Tituboea Lacordaire, 1848




SpecieFemminaMaschio
Tituboea biguttata (G.A. Olivier, 1791)
biguttata.jpg

Tituboea octopunctata (Fabricius, 1787)
octopunctata.jpg

Tituboea sexmaculata (Fabricius 1781)
sexmaculata.jpg


_________________
Maurizio Bollino


Top
profilo
MessaggioInviato: 18/10/2010, 13:21 
Avatar utente

Iscritto il: 25/11/2009, 9:31
Messaggi: 8157
Località: Lecce
Nome: Maurizio Bollino
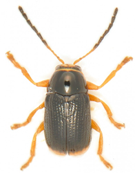
Chrysomelidae Cryptocephalinae Gyllenhal, 1813
Genere Cryptocephalus Müller, 1764
Sottogenere Asionus Lopatin, 1988



SpecieFemminaMaschio
Cryptocephalus (Asionus) apicalis Gebler, 1830
apicalis.jpg

Cryptocephalus (Asionus) gamma Herrich-Schaeffer, 1829
gamma.jpg


_________________
Maurizio Bollino


Top
profilo
MessaggioInviato: 18/10/2010, 13:30 
Avatar utente

Iscritto il: 25/11/2009, 9:31
Messaggi: 8157
Località: Lecce
Nome: Maurizio Bollino
Chrysomelidae Cryptocephalinae Gyllenhal, 1813
Genere Cryptocephalus Müller, 1764
Sottogenere Burlinius Lopatin, 1965









[
SpecieFemminaMaschio
Cryptocephalus (Burlinius) blanduloides Normand, 1947
blanduloides.jpg

Cryptocephalus (Burlinius) macellus Suffrian, 1860
macellus.jpg

Cryptocephalus (Burlinius) chrysopus Gmelin, 1790
chrysopus.jpg

Cryptocephalus (Burlinius) connexus Olivier, 1808
connexus.jpg

Cryptocephalus (Burlinius) fulvus (Goeze 1777)
fulvus.jpg

Cryptocephalus (Burlinius) ocellatus Drapiez, 1819
P1020729.jpg

Cryptocephalus (Burlinius) pygmaeus Fabricius, 1792
pygmaeus.jpg

Cryptocephalus (Burlinius) saucius Truqui, 1852
saucius.jpg

Cryptocephalus (Burlinius) ochroleucus Fairmaire 1859
ochroleucus.jpg


_________________
Maurizio Bollino


Top
profilo
MessaggioInviato: 18/10/2010, 13:47 
Avatar utente

Iscritto il: 25/11/2009, 9:31
Messaggi: 8157
Località: Lecce
Nome: Maurizio Bollino
Chrysomelidae Cryptocephalinae Gyllenhal, 1813
Genere Cryptocephalus Müller, 1764
Sottogenere Cryptocephalus Müller, 1764




















SpecieFemminaMaschio
Cryptocephalus (Cryptocephalus) anticus Suffrian 1848
anticus.jpg

Cryptocephalus (Cryptocephalus) aureolus Suffrian 1847
aureolus.jpg

Cryptocephalus (Cryptocephalus) bameuli Duhadelborde, 1999
bameuli.jpg

Cryptocephalus (Cryptocephalus) bipunctatus (Linné, 1758)
bipunctatus.jpg

Cryptocephalus (Cryptocephalus) trimaculatus Rossi, 1790
trimaculatus.jpg

Cryptocephalus (Cryptocephalus) curvilinea G. A. Olivier 1808
curvilinea.jpg

Cryptocephalus (Cryptocephalus) etruscus Sassi, 1995
etruscus.jpg

Cryptocephalus (Cryptocephalus) flavipes Fabricius, 1781
flavipes.jpg

Cryptocephalus (Cryptocephalus) hirticollis Suffrian 1847
hirticollis.jpg

Cryptocephalus (Cryptocephalus) leonhardi (Breit, 1918)
leonhardi.jpg

Cryptocephalus (Cryptocephalus) moraei (Linnaeus, 1758)
moraei.jpg

Cryptocephalus (Cryptocephalus) phaleratus Tappes, 1871
phaleratus.jpg

Cryptocephalus (Cryptocephalus) renatae Sassi, 2001
renatae.jpg

Cryptocephalus (Cryptocephalus) samniticus Leonardi & Sassi, 2001
samniticus.jpg

Cryptocephalus (Cryptocephalus) sericeus (Linnaeus 1758)
sericeus.jpg

Cryptocephalus (Cryptocephalus) sexpunctatus (Linnaeus, 1758)
sexpunctatus.jpg

Cryptocephalus (Cryptocephalus) sulphureus G. A. Olivier 1808
sulphureus.jpg

Cryptocephalus (Cryptocephalus) transiens Franz, 1949
transiens.jpg

Cryptocephalus (Cryptocephalus) vittatus Fabricius, 1775
vittatus.jpg


_________________
Maurizio Bollino


Top
profilo
MessaggioInviato: 18/10/2010, 23:15 
Avatar utente

Iscritto il: 25/11/2009, 9:31
Messaggi: 8157
Località: Lecce
Nome: Maurizio Bollino
Chrysomelidae Cryptocephalinae Gyllenhal, 1813
Genere Cryptocephalus Müller, 1764
Sottogenere Heterichnus Warchalowski, 1991


SpecieFemminaMaschio
Cryptocephalus (Heterichnus) tricolor Rossi, 1792
tricolor.jpg


_________________
Maurizio Bollino


Top
profilo
MessaggioInviato: 18/10/2010, 23:20 
Avatar utente

Iscritto il: 25/11/2009, 9:31
Messaggi: 8157
Località: Lecce
Nome: Maurizio Bollino
Chrysomelidae Cryptocephalinae Gyllenhal, 1813
Genere Cryptocephalus Müller, 1764
Sottogenere Protophysus Chevrolat, 1836


SpecieFemminaMaschio
Cryptocephalus (Heterichnus) schaefferi Schrank, 1789
schaefferi.jpg


_________________
Maurizio Bollino


Top
profilo
MessaggioInviato: 19/10/2010, 22:51 
Avatar utente

Iscritto il: 25/11/2009, 9:31
Messaggi: 8157
Località: Lecce
Nome: Maurizio Bollino
Chrysomelidae Cryptocephalinae Gyllenhal, 1813
Genere Pachybrachis Chevrolat, 1837





SpecieFemminaMaschio
Pachybrachis anoguttatus (Suffrian, 1866)
P_anoguttatus_f.jpg

P_anoguttatus_m.jpg

Pachybrachis exclusus (Rey, 1883)
P_exclusus_m.jpg

Pachybrachis hieroglyphicus (Laicharting, 1781)
P_hieroglyphicus_f.jpg

Pachybrachis sinuatus (Mulsant, 1859)
P_sinuatus_f.jpg


_________________
Maurizio Bollino


Top
profilo
MessaggioInviato: 20/10/2010, 19:56 
Avatar utente

Iscritto il: 25/11/2009, 9:31
Messaggi: 8157
Località: Lecce
Nome: Maurizio Bollino
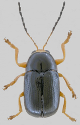
Chrysomelidae Lamprosomatinae Lacordaire, 1848
Genere Oomorphus Sturm, 1807


SpecieFemminaMaschio
Oomorphus concolor Sturm, 1807
concolor.jpg


_________________
Maurizio Bollino


Top
profilo
MessaggioInviato: 20/10/2010, 20:07 
Avatar utente

Iscritto il: 25/11/2009, 9:31
Messaggi: 8157
Località: Lecce
Nome: Maurizio Bollino
Chrysomelidae Eumolpinae Hope, 1840
Genere Colaspidea Laporte, 1833


SpecieFemminaMaschio
Colaspidea metallica (Rossi, 1790)
metallica.jpg



Genere Chrysochus Chevrolat, 1836


SpecieFemminaMaschio
Chrysochus asclepiadeus (Pallas, 1776)
asclepiadeus.jpg


_________________
Maurizio Bollino


Top
profilo
MessaggioInviato: 20/10/2010, 20:15 
Avatar utente

Iscritto il: 25/11/2009, 9:31
Messaggi: 8157
Località: Lecce
Nome: Maurizio Bollino
Chrysomelidae Chrysomelinae Latreille, 1802
Genere Chrysomela Linnaeus, 1758



SpecieFemminaMaschio
Chrysomela populi Linnaeus, 1758
populi.jpg

Chrysomela vigintipunctata (Scopoli, 1763)
vigintipunctata.jpg


_________________
Maurizio Bollino


Top
profilo
MessaggioInviato: 20/10/2010, 20:24 
Avatar utente

Iscritto il: 25/11/2009, 9:31
Messaggi: 8157
Località: Lecce
Nome: Maurizio Bollino
Chrysomelidae Chrysomelinae Latreille, 1802
Genere Gastrophysa Chevrolat, 1836



SpecieFemminaMaschio
Gastrophysa polygoni (Linnaeus 1758)
polygoni.jpg

Gastrophysa viridula (De Geer 1775) (Etologia)
viridis.jpg


_________________
Maurizio Bollino


Top
profilo
MessaggioInviato: 20/10/2010, 23:01 
Avatar utente

Iscritto il: 25/11/2009, 9:31
Messaggi: 8157
Località: Lecce
Nome: Maurizio Bollino
Chrysomelidae Chrysomelinae Latreille, 1802
Genere Chrysolina Motschulsky, 1860
Sottogenere Centoptera Motschulsky, 1860


SpecieFemminaMaschio
Chrysolina (Centoptera) bicolor (Fabricius, 1775)
bicolor.jpg



Sottogenere Chalcoidea Motschulsky, 1860



SpecieFemminaMaschio
Chrysolina (Chalcoidea) marginata (Linnaeus, 1758)
marginata.jpg

Chrysolina (Chalcoidea) interstincta (Suffrian, 1851)
interstincta.jpg



Sottogenere Chrysolina Motschulsky, 1860



SpecieFemminaMaschio
Chrysolina (Chrysolina) bankii (Fabricius, 1775)
bankii.jpg

Chrysolina (Chrysolina) staphylea (Linnaeus, 1758)
staphylea.jpg



Sottogenere Chrysolinopsis Motschulsky, 1860


SpecieFemminaMaschio
Chrysolina (Chrysolinopsis) americana (Linné, 1758)
americana.jpg



Sottogenere Chrysomorpha Motschulsky, 1860


SpecieFemminaMaschio
Chrysolina (Chrysomorpha) cerealis (Linnaeus, 1767)
cerealis.jpg



Sottogenere Colaphodes Motschulsky, 1860


SpecieFemminaMaschio
Chrysolina (Colaphodes) haemoptera (Linnaeus, 1758)
haemoptera.jpg



Sottogenere Colaphosoma Motschulsky, 1860


SpecieFemminaMaschio
Chrysolina (Colaphosoma) sturmi (Westhoff, 1882)


Sottogenere Erythrochrysa Bechiné, 1950


SpecieFemminaMaschio
Chrysolina (Erythrochrysa) polita (Linnaeus, 1758)
polita.jpg



Sottogenere Fastuolina Warchalowski, 1991


SpecieFemminaMaschio
Chrysolina (Fastuolina) fastuosa (Scopoli, 1763)
fastuosa.jpg



Sottogenere Hypericia Bedel, 1892



SpecieFemminaMaschio
Chrysolina (Hypericia) quadrigemina (Suffrian, 1851)
quadrigemina.jpg

Chrysolina (Hypericia) hyperici (Forster 1771)
hyperici.jpg



Sottogenere Melasomoptera Bechiné, 1950



SpecieFemminaMaschio
Chrysolina (Melasomoptera) grossa (Fabricius, 1792)
grossa.jpg

Chrysolina (Melasomoptera) lutea (Petagna, 1819)
lutea.jpg



Sottogenere Maenadochrysa Bechiné, 1950


SpecieFemminaMaschio
Chrysolina (Maenadochrysa) affinis (Fabricius, 1787)
affinis.jpg



Sottogenere Ovosoma Motschulsky, 1860


SpecieFemminaMaschio
Chrysolina (Ovosoma) vernalis (Brullé, 1832)
vernalis.jpg



Sottogenere Ovostoma Motschulsky, 1860


SpecieFemminaMaschio
Chrysolina (Ovostoma) olivieri (Bedel, 1892)
olivieri.jpg



Sottogenere Stichoptera Motschulsky, 1860




SpecieFemminaMaschio
Chrysolina (Stichoptera) gypsophilae (Küster, 1845)
gypsophilae.jpg

Chrysolina (Stichoptera) rossia (Illiger 1802)
rossia.jpg

Chrysolina (Stichoptera) variolosa (Petagna, 1819)
variolosa.jpg



Sottogenere Sulcicollis J.R. Sahlberg, 1913




SpecieFemminaMaschio
Chrysolina (Sulcicollis) chalcites (Germar 1824)
chalcites.jpg

Chrysolina (Sulcicollis) oricalcia (Müller O. F., 1776)
oricalcia.jpg

Chrysolina (Sulcicollis) peregrina (Herrich-Schaeffer, 1839)
peregrina.jpg



Sottogenere Synerga Weise, 1900



SpecieFemminaMaschio
Chrysolina (Synerga) herbacea (Duftschmid, 1825)
herbacea.jpg

Chrysolina (Synerga) viridana (Küster, 1844)
viridana.jpg


Sottogenere Taeniosticha Motschulsky, 1860


SpecieFemminaMaschio
Chrysolina (Taeniosticha) pseudolurida (Roubal, 1917)
pseudolurida.jpg



Sottogenere Threnosoma Motschulsky, 1860



SpecieFemminaMaschio
Chrysolina (Threnosoma) sirentensis (Meier, 1900)
cribrosa.jpg

Chrysolina (Threnosoma) inflata (Weise, 1916)
inflata.jpg


_________________
Maurizio Bollino


Top
profilo
Visualizza ultimi messaggi:  Ordina per  
nuovo argomento
BLOCCATO
Vai alla pagina 1, 2  Prossimo
Pagina 1 di 2 [ 23 messaggi ]

Tutti gli orari sono UTC + 1 ora [ ora legale ]


Chi c’è in linea

Visitano il forum: Nessuno e 3 ospiti


Non puoi aprire nuovi argomenti
Non puoi rispondere negli argomenti
Non puoi modificare i tuoi messaggi
Non puoi cancellare i tuoi messaggi
Non puoi inviare allegati

Cerca per:
Vai a: