Benvenuto Ospite

Forum Entomologi Italiani

www.entomologiitaliani.net/forum
 
Oggi è 06/10/2025, 16:04

Tutti gli orari sono UTC + 1 ora [ ora legale ]

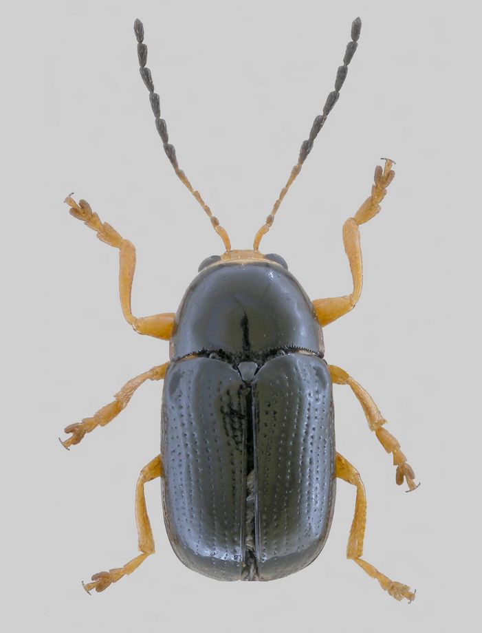
Cryptocephalus (Cryptocephalus) flavipes Fabricius, 1781 Dettagli della specie

25.VI.2010 - ITALIA - Emilia-Romagna - BO, Sassoleone


nuovo argomento
rispondi
Pagina 1 di 1 [ 2 messaggi ]
Autore Messaggio
MessaggioInviato: 27/06/2010, 11:03 
Avatar utente

Iscritto il: 06/02/2009, 9:03
Messaggi: 6363
Località: Bubano di Mordano (Bologna)
Nome: Augusto Degiovanni
Emilia Romagna: dint., Sassoleone, (BO) 250 mt., 25-26.VI.2010, Leg. A. Degiovanni.

tn_cr.jpg


_________________
CIAO :hi: Augusto Degiovanni

http://anthicidaeecarabidae.altervista.org


Top
profilo
MessaggioInviato: 05/07/2010, 22:26 
Avatar utente

Iscritto il: 03/07/2009, 21:19
Messaggi: 420
Località: Castelmarte (CO)
Nome: davide sassi
Cryptocephalus flavipes! :hi:

_________________
"Non credo in Adamo ed Eva, credo nelle scimmie" (Ilaria, 8 anni)


Top
profilo
Visualizza ultimi messaggi:  Ordina per  
nuovo argomento
rispondi
Pagina 1 di 1 [ 2 messaggi ]

Tutti gli orari sono UTC + 1 ora [ ora legale ]


Chi c’è in linea

Visitano il forum: Nessuno e 3 ospiti


Non puoi aprire nuovi argomenti
Non puoi rispondere negli argomenti
Non puoi modificare i tuoi messaggi
Non puoi cancellare i tuoi messaggi
Non puoi inviare allegati

Cerca per:
Vai a: