Benvenuto Ospite

Forum Entomologi Italiani

www.entomologiitaliani.net/forum
 
Oggi è 07/11/2025, 22:59

Tutti gli orari sono UTC + 1 ora [ ora legale ]

Luperus pygmaeus Joannis, 1866 - Chrysomelidae

22.IV.2012 - ITALIA - Toscana - GR, Padule di Scarlino Legit:Bastianini M.


nuovo argomento
rispondi
Pagina 1 di 1 [ 10 messaggi ]
Autore Messaggio
MessaggioInviato: 23/04/2012, 20:56 
Avatar utente

Iscritto il: 10/05/2010, 22:31
Messaggi: 4371
Località: Gavorrano (GR)
Nome: marco bastianini
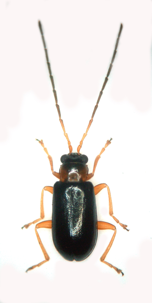
Svolazzanti su prunus.Dimensioni mm.3,3.
Chrysomelidino copia.jpg


_________________
:to: Marco
"Le foreste a precedere le civiltà, i deserti a seguire."
François-René de Chateaubriand


Top
profilo
 Oggetto del messaggio: Re: Luperus ? Chrysomelidae Toscana
MessaggioInviato: 25/04/2012, 23:58 
Avatar utente

Iscritto il: 25/11/2009, 9:31
Messaggi: 8157
Località: Lecce
Nome: Maurizio Bollino
hypotyphlus ha scritto:
Svolazzanti su prunus.Dimensioni mm.3,3.
Chrysomelidino copia.jpg


Per il genere non ci sono dubbi, per la specie ...... vedi se con questo lavoro riesci ad arrivarci. Da una foto è impossibile o quasi, almeno per me :cry: :cry:

_________________
Maurizio Bollino


Top
profilo
 Oggetto del messaggio: Re: Luperus ? Chrysomelidae Toscana
MessaggioInviato: 26/04/2012, 8:33 
 

Iscritto il: 24/03/2010, 12:42
Messaggi: 1439
Nome: Lech Borowiec
Two species are possible: Luperus leonardii and L. pygmaeus.


Top
profilo
 Oggetto del messaggio: Re: Luperus ? Chrysomelidae Toscana
MessaggioInviato: 26/04/2012, 11:00 
Avatar utente

Iscritto il: 25/11/2009, 9:31
Messaggi: 8157
Località: Lecce
Nome: Maurizio Bollino
Lech Borowiec ha scritto:
Two species are possible: Luperus leonardii and L. pygmaeus.


Grazie al suggerimento di Lech, ed in base alle chiavi, direi che è più probabile che sia Luperus leonardii (elitre che apparentemente non hanno riflesso metallico e antenne molto più lunghe del corpo).

_________________
Maurizio Bollino


Top
profilo
 Oggetto del messaggio: Re: Luperus ? Chrysomelidae Toscana
MessaggioInviato: 26/04/2012, 12:23 
Avatar utente

Iscritto il: 10/05/2010, 22:31
Messaggi: 4371
Località: Gavorrano (GR)
Nome: marco bastianini
Grazie ad entrambi.Faccio un estrazione per avere una ulteriore conferma.

_________________
:to: Marco
"Le foreste a precedere le civiltà, i deserti a seguire."
François-René de Chateaubriand


Top
profilo
MessaggioInviato: 26/04/2012, 18:45 
Avatar utente

Iscritto il: 10/05/2010, 22:31
Messaggi: 4371
Località: Gavorrano (GR)
Nome: marco bastianini
Dopo aver effettuato l'estrazione debbo dire che per me si tratta di Luperus pygmaeus;nella visione dorsale non è presente il restringimento preapicale che si nota negli edeagi raffigurati di L. leonardii, mentre in visione laterale mi sembra evidente che l'apice ha il dentino aguzzo come nel pygmaeus.Agli esperti il responso finale.Allego foto :oops: :oops: :oops: , vabbè forse sarebbe meglio dire"tentativi di foto" :mrgreen: :mrgreen: , dei preparati.
Luperus pygmaeus edeago dorso.jpg

Luperus pygmaeus edeago laterale.jpg


_________________
:to: Marco
"Le foreste a precedere le civiltà, i deserti a seguire."
François-René de Chateaubriand


Top
profilo
MessaggioInviato: 27/04/2012, 13:44 
Avatar utente

Iscritto il: 10/05/2010, 22:31
Messaggi: 4371
Località: Gavorrano (GR)
Nome: marco bastianini
Scusate se torno su questo argomento, ma mi piacerebbe riuscire ad arrivare ad una determinazione certa.Rileggendo il lavoro gentilmente fornito da Maurizio e confrontando anche con le foto di Chrysomelidae .it debbo dire che, a mio parere, c'è un altro carattere a favore di pygmaeus, ovvero la regolarità ed uniformità della puntaggiatura elitrale, che ovviamente dalle mie foto non è rilevabile.Resta il carattere delle antenne, sicuramente più lunghe del corpo nei miei esemplari;però osservando le foto di Luperus leonardii ho la sensazione che queste siano proporzionalmete più lunghe che nei miei esemplari.Comunque alcuni esemplari sono già in alcool e quindi prima o poi una risposta certa l'avremo. :hi: :hi:

_________________
:to: Marco
"Le foreste a precedere le civiltà, i deserti a seguire."
François-René de Chateaubriand


Top
profilo
MessaggioInviato: 17/09/2012, 14:00 
Avatar utente

Iscritto il: 15/06/2011, 23:25
Messaggi: 10
Località: Quarto Cagnino - Milano
Nome: Valter Fogato
Ho visto solo adesso questo post.
Confermo che si tratta di Luperus pygmaeus. E' un esemplare con antenne particolarmente lunghe, ma l'edeago non lascia dubbi.
http://www.chrysomelidae.it/Chrysomelid ... aeus-m.htm
http://www.chrysomelidae.it/Chrysomelid ... ii-hol.htm
Valter.


Top
profilo
MessaggioInviato: 17/09/2012, 14:12 
Avatar utente

Iscritto il: 10/05/2010, 22:31
Messaggi: 4371
Località: Gavorrano (GR)
Nome: marco bastianini
Grazie Valter per la conferma;a questo punto chi ha i super poteri può rititolare :ok:

_________________
:to: Marco
"Le foreste a precedere le civiltà, i deserti a seguire."
François-René de Chateaubriand


Top
profilo
MessaggioInviato: 16/12/2019, 11:53 
Avatar utente

Iscritto il: 05/05/2016, 11:22
Messaggi: 2969
Località: Santa Maria delle mole, Marino, Rm
Nome: Roberto Vanzini
Questa discussione è rimasta tra gli indeterminati

_________________
Roberto Vanzini


Top
profilo
Visualizza ultimi messaggi:  Ordina per  
nuovo argomento
rispondi
Pagina 1 di 1 [ 10 messaggi ]

Tutti gli orari sono UTC + 1 ora [ ora legale ]


Chi c’è in linea

Visitano il forum: Nessuno e 4 ospiti


Non puoi aprire nuovi argomenti
Non puoi rispondere negli argomenti
Non puoi modificare i tuoi messaggi
Non puoi cancellare i tuoi messaggi
Non puoi inviare allegati

Cerca per:
Vai a: