Benvenuto Ospite

Forum Entomologi Italiani

www.entomologiitaliani.net/forum
 
Oggi è 10/10/2025, 10:23

Tutti gli orari sono UTC + 1 ora [ ora legale ]

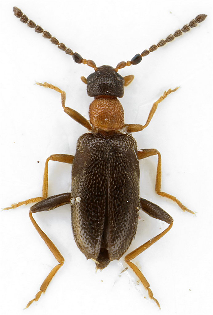
Omonadus sp. - Anthicidae

6.VI.2008 - THAILANDIA - EE, Songhkla prov., Songhkla, 300 m


nuovo argomento
rispondi
Pagina 1 di 1 [ 8 messaggi ]
Autore Messaggio
 Oggetto del messaggio: Omonadus sp. - Anthicidae
MessaggioInviato: 17/11/2014, 12:12 
Avatar utente

Iscritto il: 28/04/2010, 23:44
Messaggi: 2107
Località: Roma
Nome: Valerio Viglioglia
Altro piccolo Anthicidae, peraltro il più piccolo che ho.

L. 2 mm circa

IMG_8961.JPG

IMG_8962.JPG

IMG_8963.JPG


_________________
Valerio V


Top
profilo
 Oggetto del messaggio: Re: Anthicidae indet. 6
MessaggioInviato: 17/11/2014, 16:41 
Avatar utente

Iscritto il: 30/12/2009, 22:20
Messaggi: 31564
Località: Roma
Nome: Maurizio Gigli
Anche se non ho ancora capito come si distinguono, questo mi sa tanto di Aderidae.

_________________
Maurizio Gigli
http://utenti.romascuola.net/bups
http://bup.xoom.it/


Top
profilo
 Oggetto del messaggio: Re: Anthicidae indet. 6
MessaggioInviato: 18/11/2014, 9:21 
Avatar utente

Iscritto il: 06/02/2009, 9:03
Messaggi: 6363
Località: Bubano di Mordano (Bologna)
Nome: Augusto Degiovanni
Invece è proprio un Anthicidae, e più precisamente un Omonadus sp, purtroppo è femmina :(

_________________
CIAO :hi: Augusto Degiovanni

http://anthicidaeecarabidae.altervista.org


Top
profilo
 Oggetto del messaggio: Re: Omonadus sp. - Anthicidae
MessaggioInviato: 18/11/2014, 16:30 
Avatar utente

Iscritto il: 23/06/2010, 19:05
Messaggi: 2580
Località: Pescara
Nome: Alessio Morelli
Julodis ha scritto:
Anche se non ho ancora capito come si distinguono, questo mi sa tanto di Aderidae.

Ciao Maurizio, non se questo può esserti utile.
Io so che gli Anthicidi hanno sempre una formula tarsale di 5-5-4, e presentano un eteromeria facilmente distinguibile. Gli Aderidi invece hanno una "falsa" formula tarsale di 4-4-3, i tarsi sembrano avere un tarsomero in meno di quello che effettivamente hanno, e quindi sono considerati pseudotetrameri/pseudotrimeri (perché in verità hanno una combinazione come quella degli Anthicidi, 5-5-4).
In alcune chiavi trovo scritto che gli Aderidi hanno gli occhi grossolanamente sfaccettati e pelosi (ma personalmente non ho mai trovato riscontro); questi sono in genere più grandi nei maschi che nelle femmine (mia considerazione).
La zona occipitale del capo degli Aderidi inoltre mi pare più larga che negli Anthicidi, e di conseguenza, il "collo" sembra meno snello (mia osservazione, non so se veritiera), e questo senza considerare il fatto che probabilmente lo stesso "collo" ha un origine diversa nei due gruppi. Negli Aderidi originato dal capo, negli Anthicidi formato dal protorace (mia illazione :gh: :roll: ).


Top
profilo
 Oggetto del messaggio: Re: Omonadus sp. - Anthicidae
MessaggioInviato: 18/11/2014, 17:07 
Avatar utente

Iscritto il: 28/04/2010, 23:44
Messaggi: 2107
Località: Roma
Nome: Valerio Viglioglia
Grazie Augusto e grazie Alessio.
Questa distinzione sarà utile anche a me che come Julodis non sapevo cosa guardare per distinguere gli Aderidi dagli Anticidi

_________________
Valerio V


Top
profilo
 Oggetto del messaggio: Re: Omonadus sp. - Anthicidae
MessaggioInviato: 18/11/2014, 17:31 
Avatar utente

Iscritto il: 30/12/2009, 22:20
Messaggi: 31564
Località: Roma
Nome: Maurizio Gigli
Grazie per le informazioni, Alessio. L'unico carattere facilmente utilizzabile, tra quelli da te elencati, mi sembra quello dei tarsomeri. Gli altri mi sembrano soggetti a troppe variazioni da specie a specie, ed anche a interpretazioni differenti. Il numero dei tarsomeri, apparenti o meno, è invece qualcosa di più oggettivo, a patto che dalle foto sia possibile contarli.
Effettivamente la differenza si nota facilmente.

A sinistra, Aderidae, a destra, Anthicidae.


ImmagineImmagine

_________________
Maurizio Gigli
http://utenti.romascuola.net/bups
http://bup.xoom.it/


Top
profilo
 Oggetto del messaggio: Re: Omonadus sp. - Anthicidae
MessaggioInviato: 18/11/2014, 19:20 
Avatar utente

Iscritto il: 23/06/2010, 19:05
Messaggi: 2580
Località: Pescara
Nome: Alessio Morelli
Alessio89 ha scritto:
La zona occipitale del capo degli Aderidi inoltre mi pare più larga che negli Anthicidi, e di conseguenza, il "collo" sembra meno snello (mia osservazione, non so se veritiera), e questo senza considerare il fatto che probabilmente lo stesso "collo" ha un origine diversa nei due gruppi. Negli Aderidi originato dal capo, negli Anthicidi formato dal protorace (mia illazione ).

Prima che Augusto passi a bacchettarmi devo smentire questa mia affermazione, ho aperto il Fauna d'Italia sugli Anthicidi e mi sono trovato subito davanti la morfologia del lato dorsale e ventrale, che smentisce palesemente quello che ho ipotizzato prima :no1: .
Ammetto che dovevo fermarmi ai tarsi :gh: .

Belle le immagini comparative Maurizio ;) .

Valerio ha scritto:
Grazie Augusto e grazie Alessio.
Questa distinzione sarà utile anche a me che come Julodis non sapevo cosa guardare per distinguere gli Aderidi dagli Anticidi

felice di essere stato utile :oops:

:hi:


Top
profilo
 Oggetto del messaggio: Re: Omonadus sp. - Anthicidae
MessaggioInviato: 19/11/2014, 11:35 
Avatar utente

Iscritto il: 06/02/2009, 9:03
Messaggi: 6363
Località: Bubano di Mordano (Bologna)
Nome: Augusto Degiovanni
Alessio89 ha scritto:
Ammetto che dovevo fermarmi ai tarsi .


Infatti :gh: :lol: :lol: :lol: :lol:

_________________
CIAO :hi: Augusto Degiovanni

http://anthicidaeecarabidae.altervista.org


Top
profilo
Visualizza ultimi messaggi:  Ordina per  
nuovo argomento
rispondi
Pagina 1 di 1 [ 8 messaggi ]

Tutti gli orari sono UTC + 1 ora [ ora legale ]


Chi c’è in linea

Visitano il forum: Nessuno e 1 ospite


Non puoi aprire nuovi argomenti
Non puoi rispondere negli argomenti
Non puoi modificare i tuoi messaggi
Non puoi cancellare i tuoi messaggi
Non puoi inviare allegati

Cerca per:
Vai a: