Benvenuto Ospite

Forum Entomologi Italiani

www.entomologiitaliani.net/forum
 
Oggi è 14/11/2025, 6:34

Tutti gli orari sono UTC + 1 ora [ ora legale ]

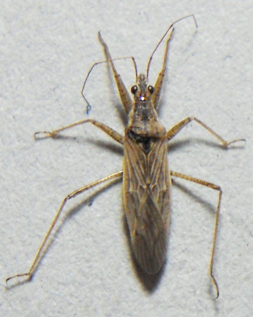
Nabis sp. - Nabidae

25.XI.2011 - ITALIA - Veneto - RO, dintorni


nuovo argomento
rispondi
Pagina 1 di 1 [ 5 messaggi ]
Autore Messaggio
 Oggetto del messaggio: Nabis sp. - Nabidae
MessaggioInviato: 01/12/2011, 16:51 
Avatar utente

Iscritto il: 28/05/2011, 21:10
Messaggi: 1981
Nome: Umberto Devincenzo
Ciao a tutti!! :D
Trovato sul muro di casa..lunghezza 8mm..


DSCN3309 - Copia.JPG

DSCN3259 - Copia.JPG

DSCN3252 - Copia.JPG

DSCN3247 - Copia.JPG

DSCN3250 - Copia.JPG

DSCN3243 - Copia.JPG

DSCN3238 - Copia.JPG


_________________
"La compassione e l'empatia per il più piccolo degli animali, è una delle più nobili virtù che un uomo possa ricevere in dono."
Charles Darwin
Top
profilo
 Oggetto del messaggio: Re: Nabidae?? da ID
MessaggioInviato: 01/12/2011, 16:55 
Avatar utente

Iscritto il: 28/11/2011, 17:50
Messaggi: 149
Località: san benedetto po (mantova)
Nome: luca riviera
è un altro nabide direi nabis rugosus :lol:

_________________
CIAO LUCA RIVIERA

"gli insetti:ci hanno preceduto...e proseguiranno dopo di noi"


Top
profilo
 Oggetto del messaggio: Re: Nabidae?? da ID
MessaggioInviato: 01/12/2011, 18:48 
Avatar utente

Iscritto il: 17/02/2009, 0:05
Messaggi: 8521
Località: Isola d'Elba - Arcipelago Toscano
Nome: Leonardo Forbicioni
Ok per Nabis sp., ma oltre credo che non si possa andare! ;)

_________________
"Stay hungry, stay foolish".
Steve Jobs, 2005
___________________
jjuniper8(at)gmail.com
Twitter: @weevil_forbix
cell. 339/5275910
___________________


Top
profilo
 Oggetto del messaggio: Re: Nabidae?? da ID
MessaggioInviato: 01/12/2011, 18:54 
Avatar utente

Iscritto il: 28/05/2011, 21:10
Messaggi: 1981
Nome: Umberto Devincenzo
Grazie mille Leonardo!! :D Una curiosità..ho visto che sul forum quasi tutti i Nabidae sono classificati Nabis sp...perchè sono così difficili da identificare?? :?

_________________
"La compassione e l'empatia per il più piccolo degli animali, è una delle più nobili virtù che un uomo possa ricevere in dono."
Charles Darwin


Top
profilo
 Oggetto del messaggio: Re: Nabidae?? da ID
MessaggioInviato: 01/12/2011, 19:36 
Avatar utente

Iscritto il: 17/02/2009, 0:05
Messaggi: 8521
Località: Isola d'Elba - Arcipelago Toscano
Nome: Leonardo Forbicioni
Umbro ha scritto:
Una curiosità..ho visto che sul forum quasi tutti i Nabidae sono classificati Nabis sp...perchè sono così difficili da identificare?? :?

Perchè le specie di questo genere sono tutti molto simili morfologicamente ed una determinazione certa si ha solo con l'esame dell'apparato genitale.
Diciamo che uno abbastanza facile da determinare è Nabis (Aspilaspis) viridulus Spinola, 1837, che trovi sulle Tamerici! ;)

_________________
"Stay hungry, stay foolish".
Steve Jobs, 2005
___________________
jjuniper8(at)gmail.com
Twitter: @weevil_forbix
cell. 339/5275910
___________________


Top
profilo
Visualizza ultimi messaggi:  Ordina per  
nuovo argomento
rispondi
Pagina 1 di 1 [ 5 messaggi ]

Tutti gli orari sono UTC + 1 ora [ ora legale ]


Chi c’è in linea

Visitano il forum: Nessuno e 1 ospite


Non puoi aprire nuovi argomenti
Non puoi rispondere negli argomenti
Non puoi modificare i tuoi messaggi
Non puoi cancellare i tuoi messaggi
Non puoi inviare allegati

Cerca per:
Vai a: