Benvenuto Ospite

Forum Entomologi Italiani

www.entomologiitaliani.net/forum
 
Oggi è 15/11/2025, 2:05

Tutti gli orari sono UTC + 1 ora [ ora legale ]

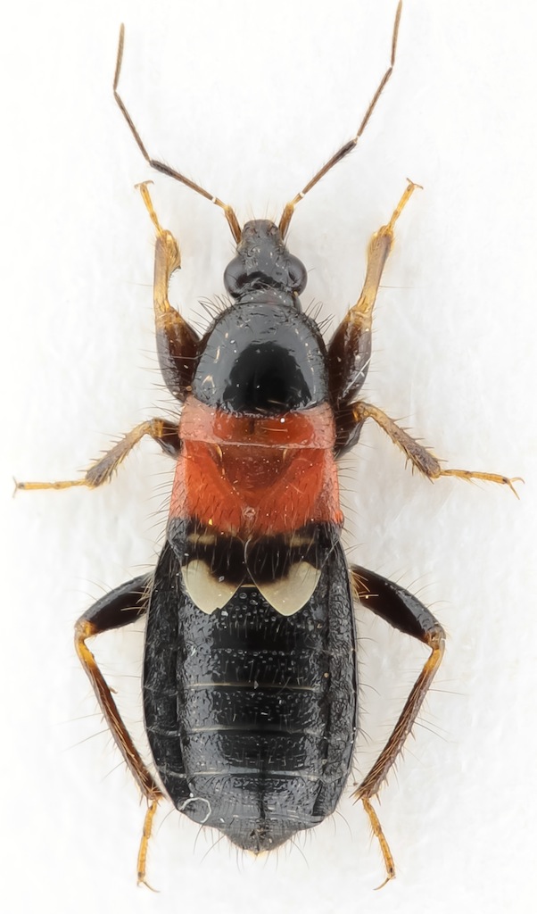
Prostemma sanguineum (Rossi, 1790) - Nabidae

29.IX.2012 - ITALIA - Sicilia - PA, Bosco Ficuzza


nuovo argomento
rispondi
Pagina 1 di 1 [ 7 messaggi ]
Autore Messaggio
MessaggioInviato: 30/10/2012, 21:12 
Avatar utente

Iscritto il: 01/06/2011, 11:43
Messaggi: 292
Località: Palermo
Nome: Lello Brancato
Trovato in un formicaio dentro un vecchio tronco.
4 mm circa
Grazie per l'aiuto :D

Lello


Focus Result 131 (A, 8, 4).jpg


_________________
....ed era tutta vela la navicella dell'ingegno mio.
Top
profilo
 Oggetto del messaggio: Re: Emittero
MessaggioInviato: 30/10/2012, 21:32 
Avatar utente

Iscritto il: 28/05/2011, 21:10
Messaggi: 1981
Nome: Umberto Devincenzo
Forse Prostemma sanguineum (Rossi, 1790) - Nabidae ?? :roll: Anche se non ha solitamente le zampe di quella colorazione, forse ancora in sviluppo. :?

_________________
"La compassione e l'empatia per il più piccolo degli animali, è una delle più nobili virtù che un uomo possa ricevere in dono."
Charles Darwin


Top
profilo
 Oggetto del messaggio: Re: Emittero
MessaggioInviato: 30/10/2012, 21:37 
Avatar utente

Iscritto il: 17/02/2009, 0:05
Messaggi: 8521
Località: Isola d'Elba - Arcipelago Toscano
Nome: Leonardo Forbicioni
:ok: :ok:
Forma brachittera. ;)

_________________
"Stay hungry, stay foolish".
Steve Jobs, 2005
___________________
jjuniper8(at)gmail.com
Twitter: @weevil_forbix
cell. 339/5275910
___________________


Top
profilo
 Oggetto del messaggio: Re: Emittero
MessaggioInviato: 30/10/2012, 21:48 
Avatar utente

Iscritto il: 28/05/2011, 21:10
Messaggi: 1981
Nome: Umberto Devincenzo
Grazie della conferma Leonardo! :)

Una curiosità personale: sono più comuni le forme brachittere o macrottere, parlando di Prostemma sp. in generale?

_________________
"La compassione e l'empatia per il più piccolo degli animali, è una delle più nobili virtù che un uomo possa ricevere in dono."
Charles Darwin


Top
profilo
 Oggetto del messaggio: Re: Emittero
MessaggioInviato: 30/10/2012, 21:56 
Avatar utente

Iscritto il: 17/02/2009, 0:05
Messaggi: 8521
Località: Isola d'Elba - Arcipelago Toscano
Nome: Leonardo Forbicioni
Umbro ha scritto:
Grazie della conferma Leonardo! :)

Una curiosità personale: sono più comuni le forme brachittere o macrottere, parlando di Prostemma sp. in generale?

Io ti dico quel poco che conosco e che nel tempo mi sono "appuntato"! ;)
Tranne che per P. concinnum Walker, 1873 di cui si dovrebbe conoscere solo la forma macrottera, tutte le altre (guttula, aeneicolle, bicolor, sanguineum e albimaculata) dovrebbero essere quasi sempre brachittere, ma ovviamente si possono trovare anche esemplari macrotteri, ma con minor frequenza.
Probabilmente, come al solito, potrei aver scritto qualche fesseria, ma vedrai che i "cimiciari" d.o.c. :lov2: :lov2: sapranno dirti qualcosa di più serio.! ;)

_________________
"Stay hungry, stay foolish".
Steve Jobs, 2005
___________________
jjuniper8(at)gmail.com
Twitter: @weevil_forbix
cell. 339/5275910
___________________


Top
profilo
MessaggioInviato: 31/10/2012, 0:46 
Avatar utente

Iscritto il: 01/06/2011, 11:43
Messaggi: 292
Località: Palermo
Nome: Lello Brancato
Grazie ! :hi:

_________________
....ed era tutta vela la navicella dell'ingegno mio.


Top
profilo
 Oggetto del messaggio: Re: Emittero
MessaggioInviato: 31/10/2012, 16:52 
Avatar utente

Iscritto il: 28/05/2011, 21:10
Messaggi: 1981
Nome: Umberto Devincenzo
FORBIX ha scritto:
Umbro ha scritto:
Grazie della conferma Leonardo! :)

Una curiosità personale: sono più comuni le forme brachittere o macrottere, parlando di Prostemma sp. in generale?

Io ti dico quel poco che conosco e che nel tempo mi sono "appuntato"! ;)
Tranne che per P. concinnum Walker, 1873 di cui si dovrebbe conoscere solo la forma macrottera, tutte le altre (guttula, aeneicolle, bicolor, sanguineum e albimaculata) dovrebbero essere quasi sempre brachittere, ma ovviamente si possono trovare anche esemplari macrotteri, ma con minor frequenza.
Probabilmente, come al solito, potrei aver scritto qualche fesseria, ma vedrai che i "cimiciari" d.o.c. :lov2: :lov2: sapranno dirti qualcosa di più serio.! ;)


Grazie mille Leonardo, chiarissimo come sempre!! :lov2: :lov2:

Ma P. albimaculata e P. concinnum sono presenti in Italia? :roll: :roll:

_________________
"La compassione e l'empatia per il più piccolo degli animali, è una delle più nobili virtù che un uomo possa ricevere in dono."
Charles Darwin


Top
profilo
Visualizza ultimi messaggi:  Ordina per  
nuovo argomento
rispondi
Pagina 1 di 1 [ 7 messaggi ]

Tutti gli orari sono UTC + 1 ora [ ora legale ]


Chi c’è in linea

Visitano il forum: Nessuno e 2 ospiti


Non puoi aprire nuovi argomenti
Non puoi rispondere negli argomenti
Non puoi modificare i tuoi messaggi
Non puoi cancellare i tuoi messaggi
Non puoi inviare allegati

Cerca per:
Vai a: