Benvenuto Ospite

Forum Entomologi Italiani

www.entomologiitaliani.net/forum
 
Oggi è 12/11/2025, 15:06

Tutti gli orari sono UTC + 1 ora [ ora legale ]

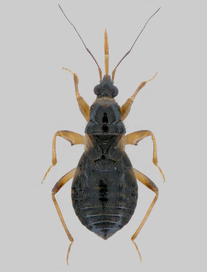
Alloeorynchus flavipes (Fieber, 1836) - Nabidae

11.IV.2010 - ITALIA - Emilia-Romagna - BO, Casalfiumanese


nuovo argomento
rispondi
Pagina 1 di 1 [ 5 messaggi ]
Autore Messaggio
MessaggioInviato: 12/04/2010, 20:18 
Avatar utente

Iscritto il: 06/02/2009, 9:03
Messaggi: 6373
Località: Bubano di Mordano (Bologna)
Nome: Augusto Degiovanni
Alcune degli Heterotteri trovati nei Calanchi.

ROMAGNA: Casalfiumanese, (BO), 300m., 11.IV.2010, Leg. A. Degiovanni

Lunghezza: 5,5 mm

7.jpg



7 (2).jpg


_________________
CIAO :hi: Augusto Degiovanni

http://anthicidaeecarabidae.altervista.org


Top
profilo
 Oggetto del messaggio: Re: Heteroptera 1
MessaggioInviato: 12/04/2010, 21:57 
Avatar utente

Iscritto il: 05/02/2009, 17:25
Messaggi: 4894
Località: Zola Predosa (BO)
Nome: Loris Colacurcio
Se non ho preso una cantonata epocale, mi sembra tanto un Alleorynchus flavipes

:hi:

_________________
Loris


Top
profilo
 Oggetto del messaggio: Re: Heteroptera 1
MessaggioInviato: 13/04/2010, 0:19 
Avatar utente

Iscritto il: 31/12/2009, 1:47
Messaggi: 902
Località: Bellano (LC)
Nome: Martino Salvetti
Complimenti :) :hp:
Si tratta della specie indicata da Loris. E' ampiamente diffusa ma assolutamente non comune. La località merita di essere registrata. Mi dai una sommaria descrizione del luogo di ritrovamento? (per es. vegetazione presente)?
Grazie


Top
profilo
 Oggetto del messaggio: Re: Heteroptera 1
MessaggioInviato: 13/04/2010, 0:20 
Avatar utente

Iscritto il: 31/12/2009, 1:47
Messaggi: 902
Località: Bellano (LC)
Nome: Martino Salvetti
Dimenticavo: Alloeorynchus flavipes (Fieber, 1836) appartiene alla famiglia Nabidae. E' specie predatrice


Top
profilo
MessaggioInviato: 13/04/2010, 20:06 
Avatar utente

Iscritto il: 06/02/2009, 9:03
Messaggi: 6373
Località: Bubano di Mordano (Bologna)
Nome: Augusto Degiovanni
Ciao Martino e grazie a tutti e due per le determinazioni :ok: :ok: .

Allora non era un solo esemplare ma 3 solo che 2 mi sono fuggiti nel tentativo di rincorrerli per il sasso mentre li fotografavo, con il risultato della non fotografia e la perdita di 2 esemplari.
La zona sono i piani di sommità dei calanchi Argille Azzurre, in prato a pascolo, catturati come il resto degli esemplari che ho postato ieri, sotto massi, ed erano nella faccia inferiore della pietra.

_________________
CIAO :hi: Augusto Degiovanni

http://anthicidaeecarabidae.altervista.org


Top
profilo
Visualizza ultimi messaggi:  Ordina per  
nuovo argomento
rispondi
Pagina 1 di 1 [ 5 messaggi ]

Tutti gli orari sono UTC + 1 ora [ ora legale ]


Chi c’è in linea

Visitano il forum: Nessuno e 1 ospite


Non puoi aprire nuovi argomenti
Non puoi rispondere negli argomenti
Non puoi modificare i tuoi messaggi
Non puoi cancellare i tuoi messaggi
Non puoi inviare allegati

Cerca per:
Vai a:  
cron