Benvenuto Ospite

Forum Entomologi Italiani

www.entomologiitaliani.net/forum
 
Oggi è 19/10/2025, 14:35

Tutti gli orari sono UTC + 1 ora [ ora legale ]

Ichneumonidae sp.

5.IV.2025 - ITALIA - Lombardia - CO, Montemezzo - fraz. Cerceno


nuovo argomento
rispondi
Pagina 1 di 1 [ 3 messaggi ]
Autore Messaggio
 Oggetto del messaggio: Ichneumonidae sp.
MessaggioInviato: 07/04/2025, 10:27 
 

Iscritto il: 05/05/2010, 11:56
Messaggi: 1470
Nome: Giuseppe Mariani
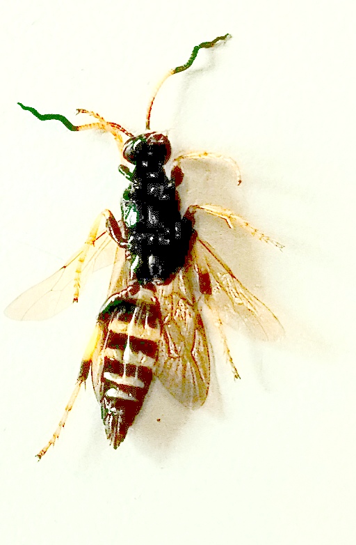
Chiedo aiuto per la determinazione di quello che pensavo fosse un Polystes.........
Lombardia - Montemezzo (CO) fraz. Cerceno - 5-IV-2025
circa 18 mm

Grazie anticipate
Giuseppe :hi:


1744012015855.jpg

1744012015862(1).jpg

1744012015862.jpg

1744012015870(1).jpg

1744012015870-001.jpg

1744013153967.jpg

Top
profilo
MessaggioInviato: 07/04/2025, 11:43 
 

Iscritto il: 08/12/2013, 1:52
Messaggi: 7509
Località: Bagnacavallo (RA)
Nome: Giorgio Pezzi
è un maschio di Ichneumonidae (vedi i numerosi antennomeri). :hi:


Top
profilo
MessaggioInviato: 07/04/2025, 12:02 
 

Iscritto il: 05/05/2010, 11:56
Messaggi: 1470
Nome: Giuseppe Mariani
Chalybion ha scritto:
è un maschio di Ichneumonidae (vedi i numerosi antennomeri). :hi:

Grazie :birra: , ora tocca al resto.......

Giuseppe :hi:


Top
profilo
Visualizza ultimi messaggi:  Ordina per  
nuovo argomento
rispondi
Pagina 1 di 1 [ 3 messaggi ]

Tutti gli orari sono UTC + 1 ora [ ora legale ]


Chi c’è in linea

Visitano il forum: Nessuno e 1 ospite


Non puoi aprire nuovi argomenti
Non puoi rispondere negli argomenti
Non puoi modificare i tuoi messaggi
Non puoi cancellare i tuoi messaggi
Non puoi inviare allegati

Cerca per:
Vai a: