Benvenuto Ospite

Forum Entomologi Italiani

www.entomologiitaliani.net/forum
 
Oggi è 21/10/2025, 20:18

Tutti gli orari sono UTC + 1 ora [ ora legale ]

Ichneumonidae Pimplinae

27.IV.2012 - ITALIA - Marche - PU, Pesaro, Collina Baratoff


nuovo argomento
rispondi
Pagina 1 di 1 [ 7 messaggi ]
Autore Messaggio
 Oggetto del messaggio: Ichneumonidae Pimplinae
MessaggioInviato: 27/04/2012, 20:02 
Avatar utente

Iscritto il: 11/11/2009, 20:54
Messaggi: 4850
Località: Pesaro
Nome: Marco Paglialunga
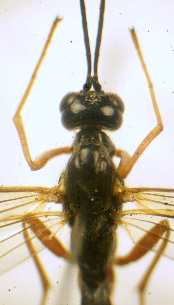
Oggi il maschietto, ieri la femminuccia dai tronchi da cui sono usciti un mare di Pyrrhidium viewtopic.php?f=145&t=32512&hilit=sanguineum
Forse un probabile Neoxorides nitens (Gravenhorst, 1829) visto che è un loro fan :mrgreen:


P1140842.JPG


_________________
O voi ch'avete li 'ntelletti sani, mirate la dottrina che s'asconde sotto 'l velame de li versi strani
(InfeRRno - canto IX - vv. 61-63)
Top
profilo
 Oggetto del messaggio: Re: Ichneumonidae Poemeniinae
MessaggioInviato: 27/04/2012, 22:17 
Avatar utente

Iscritto il: 06/02/2009, 9:02
Messaggi: 1429
Località: Verona - Roma - Foggia e sporadicamente Padova
Nome: Filippo Di Giovanni
Po esse... Ma la venatura alare del maschio è l'unica cosa che vedo, ed è un po' poco per arrivare ad una conferma. Se li prepari ne riparliamo.

Pippo :hi:

_________________
"Non posso separare il piacere estetico che provo nel vedere una farfalla dal piacere scientifico di sapere che cosa è" (V.Nabokov)


Top
profilo
 Oggetto del messaggio: Re: Ichneumonidae Poemeniinae
MessaggioInviato: 17/05/2012, 17:04 
Avatar utente

Iscritto il: 11/11/2009, 20:54
Messaggi: 4850
Località: Pesaro
Nome: Marco Paglialunga
Pronti ;)
P1150139.JPG

P1150142.JPG

P1150141.JPG

P1150143.JPG

P1150144.JPG


_________________
O voi ch'avete li 'ntelletti sani, mirate la dottrina che s'asconde sotto 'l velame de li versi strani
(InfeRRno - canto IX - vv. 61-63)


Top
profilo
 Oggetto del messaggio: Re: Ichneumonidae Poemeniinae
MessaggioInviato: 18/05/2012, 15:28 
Avatar utente

Iscritto il: 06/02/2009, 9:02
Messaggi: 1429
Località: Verona - Roma - Foggia e sporadicamente Padova
Nome: Filippo Di Giovanni
E allora no... Vedendoli meglio, direi che sono Pimplinae e credo possano essere dei Dolichomitus (specialmente se i tergiti addominali, visti da sopra, presentano delle intaccature lateralmente che vanno dalla base del tergite fino a metà). Nel qual caso, per avere un'identificazione dovrei vedere gli esemplari allo stereoscopio.

Ciao, Pippo

_________________
"Non posso separare il piacere estetico che provo nel vedere una farfalla dal piacere scientifico di sapere che cosa è" (V.Nabokov)


Top
profilo
 Oggetto del messaggio: Re: Ichneumonidae Poemeniinae
MessaggioInviato: 18/05/2012, 16:00 
Avatar utente

Iscritto il: 11/11/2009, 20:54
Messaggi: 4850
Località: Pesaro
Nome: Marco Paglialunga
Eopteryx ha scritto:
E allora no... Vedendoli meglio, direi che sono Pimplinae e credo possano essere dei Dolichomitus (specialmente se i tergiti addominali, visti da sopra, presentano delle intaccature lateralmente che vanno dalla base del tergite fino a metà). Nel qual caso, per avere un'identificazione dovrei vedere gli esemplari allo stereoscopio.

Ciao, Pippo

:msic
Grazie Pippo...provo a darci un'occhiata!

_________________
O voi ch'avete li 'ntelletti sani, mirate la dottrina che s'asconde sotto 'l velame de li versi strani
(InfeRRno - canto IX - vv. 61-63)


Top
profilo
 Oggetto del messaggio: Re: Ichneumonidae Poemeniinae
MessaggioInviato: 19/05/2012, 23:20 
Avatar utente

Iscritto il: 11/11/2009, 20:54
Messaggi: 4850
Località: Pesaro
Nome: Marco Paglialunga
Mah...io ci provo :| delle intaccature dici e...?


P1150178.JPG

P1150174.JPG

P1150171.JPG

P1150170.JPG


_________________
O voi ch'avete li 'ntelletti sani, mirate la dottrina che s'asconde sotto 'l velame de li versi strani
(InfeRRno - canto IX - vv. 61-63)
Top
profilo
 Oggetto del messaggio: Re: Ichneumonidae Poemeniinae
MessaggioInviato: 20/05/2012, 9:13 
Avatar utente

Iscritto il: 06/02/2009, 9:02
Messaggi: 1429
Località: Verona - Roma - Foggia e sporadicamente Padova
Nome: Filippo Di Giovanni
P1150174.JPG



Giusto per capirci. Tuttavia non è un carattere che delimita un genere, piuttosto un gruppo di generi. Per un'identificazione bisogna vedere l'esemplare.

Pippo

_________________
"Non posso separare il piacere estetico che provo nel vedere una farfalla dal piacere scientifico di sapere che cosa è" (V.Nabokov)


Top
profilo
Visualizza ultimi messaggi:  Ordina per  
nuovo argomento
rispondi
Pagina 1 di 1 [ 7 messaggi ]

Tutti gli orari sono UTC + 1 ora [ ora legale ]


Chi c’è in linea

Visitano il forum: Nessuno e 3 ospiti


Non puoi aprire nuovi argomenti
Non puoi rispondere negli argomenti
Non puoi modificare i tuoi messaggi
Non puoi cancellare i tuoi messaggi
Non puoi inviare allegati

Cerca per:
Vai a:  
cron