Benvenuto Ospite

Forum Entomologi Italiani

www.entomologiitaliani.net/forum
 
Oggi è 01/11/2025, 16:20

Tutti gli orari sono UTC + 1 ora [ ora legale ]

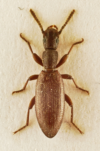
Stenosis fulvipennis group - Tenebrionidae Pimeliinae Stenosini

MAROCCO - EE, Agadir


nuovo argomento
rispondi
Pagina 1 di 1 [ 3 messaggi ]
Autore Messaggio
MessaggioInviato: 27/08/2010, 13:18 
Avatar utente

Iscritto il: 26/10/2009, 14:34
Messaggi: 146
Località: POLSKA
Nome: "Rudy" Christopher
Marocco, Agadir
6 mm
Ciao Piero, try to determine?


DSC_4316_398x600.jpg

DSC_4313_424x600.jpg

Top
profilo
MessaggioInviato: 27/08/2010, 19:29 
Avatar utente

Iscritto il: 05/02/2009, 17:47
Messaggi: 7252
Località: Cagliari
Nome: Piero Leo
:) Ciao Rudy.

Sorry: Stenosis sp. groupe of S. fulvipennis (impossible to id. without examination of aedeagus).

:) Ciao
Piero


Top
profilo
MessaggioInviato: 28/08/2010, 18:14 
Avatar utente

Iscritto il: 26/10/2009, 14:34
Messaggi: 146
Località: POLSKA
Nome: "Rudy" Christopher
Thank you very much Piero :hi:


Top
profilo
Visualizza ultimi messaggi:  Ordina per  
nuovo argomento
rispondi
Pagina 1 di 1 [ 3 messaggi ]

Tutti gli orari sono UTC + 1 ora [ ora legale ]


Chi c’è in linea

Visitano il forum: Nessuno e 3 ospiti


Non puoi aprire nuovi argomenti
Non puoi rispondere negli argomenti
Non puoi modificare i tuoi messaggi
Non puoi cancellare i tuoi messaggi
Non puoi inviare allegati

Cerca per:
Vai a: