| Autore |
Messaggio |
|
Daniele Sechi
|
Inviato: 29/07/2012, 22:43 |
|
Iscritto il: 04/02/2009, 17:49 Messaggi: 5510 Località: Cagliari
Nome: Daniele Sechi
|
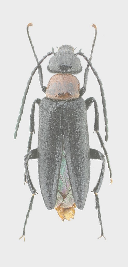
Nella nostra spedizione marocchina di aprile abbiamo raccolto pochissimi meloidi, questa specie, che per diversi caratteri mi porta al genere Zonitis, credo sia una delle più interessanti. Direi che non è una delle specie presenti in Italia, nel catalogo di I. LÖBL & A. SMETANA trovo una Zonitis ruficollis J. Frivaldszky, 1877 con la seguente distribuzione E: GR (Kriti) N: AG LB A: IS JO SY TR Se fosse lei credo sarebbe nuova per il Marocco. Il maschio della foto è lungo 1 cm esatto. PS: poi per i soliti consigli fotografici, e per i tanti problemi che mi ha creato questa foto, chiederò ai miei spacciatori di fiducia 
_________________  Daniele
|
|
| Top |
|
 |
|
Julodis
|
Inviato: 29/07/2012, 22:56 |
|
Iscritto il: 30/12/2009, 22:20 Messaggi: 31564 Località: Roma
Nome: Maurizio Gigli
|
Per me questa foto è troppo chiara, ovvero sovraesposta. ALmeno, sui miei monitor si vede troppo chiara, diventando sbiadita. Ho provato a correggerla un po', ma dalla versione ridotta ed in jpg la qualità degrada rapidamente.
|
|
| Top |
|
 |
|
Julodis
|
Inviato: 30/07/2012, 6:32 |
|
Iscritto il: 30/12/2009, 22:20 Messaggi: 31564 Località: Roma
Nome: Maurizio Gigli
|
Da quanto vedo sul sito di Jean Claude Ringenbach, dovrebbe proprio essere Zonitis ruficollis (la cita dubitativamente del Marocco, dove ci sarà certamente, vista l'enorme area di distribuzione che presenta questa specie, che a Est arriva fino al caucaso, Iran e Penisola Arabica).
|
|
| Top |
|
 |
|
Daniele Sechi
|
Inviato: 31/07/2012, 12:26 |
|
Iscritto il: 04/02/2009, 17:49 Messaggi: 5510 Località: Cagliari
Nome: Daniele Sechi
|
ho fatto lo stack con le immagini che avevo.
_________________  Daniele
|
|
| Top |
|
 |
|
Marco A. Bologna
|
Inviato: 29/08/2012, 10:06 |
|
Iscritto il: 10/06/2010, 16:05 Messaggi: 817
Nome: Marco A. Bologna
|
|
Caro Daniele, la cosa non è davvero semplice. Infatti, in Maghreb, la maggior parte delle popolazioni di Zonitis flava hanno una colorazione simile a quella della tua foto. ma analoga colorazione hanno Z. fernancastroi, Z. novercalis e Z. ruficollis. per quanto riguarda flava, fovresti controllare la forma delle spine metatibiali, comparandola con il materiale italiano: una spina è decisamente più larga dell'altra; escluderei fernancastroi, W-Mediterranea, ma che ho citato pochi anni orsono della Sicilia meridionale, per la forma del pronoto, che è decisamente più convesso; novercalis è un mistero ed io ho solo un es. dubbio in collezione; ruficollis sarebbe da controllare (comunque ad Est arriva solo al Vicino Oriente e non nella penisola arabica e Iran). Forse a Modena potrei vederla? Ciao, Marco
|
|
| Top |
|
 |
|
Daniele Sechi
|
Inviato: 30/08/2012, 1:41 |
|
Iscritto il: 04/02/2009, 17:49 Messaggi: 5510 Località: Cagliari
Nome: Daniele Sechi
|
Marco A. Bologna ha scritto: Caro Daniele, la cosa non è davvero semplice. Infatti, in Maghreb, la maggior parte delle popolazioni di Zonitis flava hanno una colorazione simile a quella della tua foto. ma analoga colorazione hanno Z. fernancastroi, Z. novercalis e Z. ruficollis. per quanto riguarda flava, fovresti controllare la forma delle spine metatibiali, comparandola con il materiale italiano: una spina è decisamente più larga dell'altra; escluderei fernancastroi, W-Mediterranea, ma che ho citato pochi anni orsono della Sicilia meridionale, per la forma del pronoto, che è decisamente più convesso; novercalis è un mistero ed io ho solo un es. dubbio in collezione; ruficollis sarebbe da controllare (comunque ad Est arriva solo al Vicino Oriente e non nella penisola arabica e Iran). Forse a Modena potrei vederla? Ciao, Marco Ciao Marco, verifica anche tu la conformazione delle spine metatibiali. A sinistra l'esemplare oggetto della discussione, a destra una Zonitis flava di Sardegna. Effettivamente le spine sono simili anche se non proprio uguali. A Modena non credo di andare ma se servono altri particolari per un'eventuale conferma, chiedi pure.
_________________  Daniele
|
|
| Top |
|
 |
|
Marco A. Bologna
|
Inviato: 31/08/2012, 8:33 |
|
Iscritto il: 10/06/2010, 16:05 Messaggi: 817
Nome: Marco A. Bologna
|
|
Caro Daniele, mi sembra flava, ma non ne sono sicurissimo. Se vieni a Modena portamela a vedere. Ciao, M
|
|
| Top |
|
 |
|