Benvenuto Ospite

Forum Entomologi Italiani

www.entomologiitaliani.net/forum
 
Oggi è 08/11/2025, 8:05

Tutti gli orari sono UTC + 1 ora [ ora legale ]

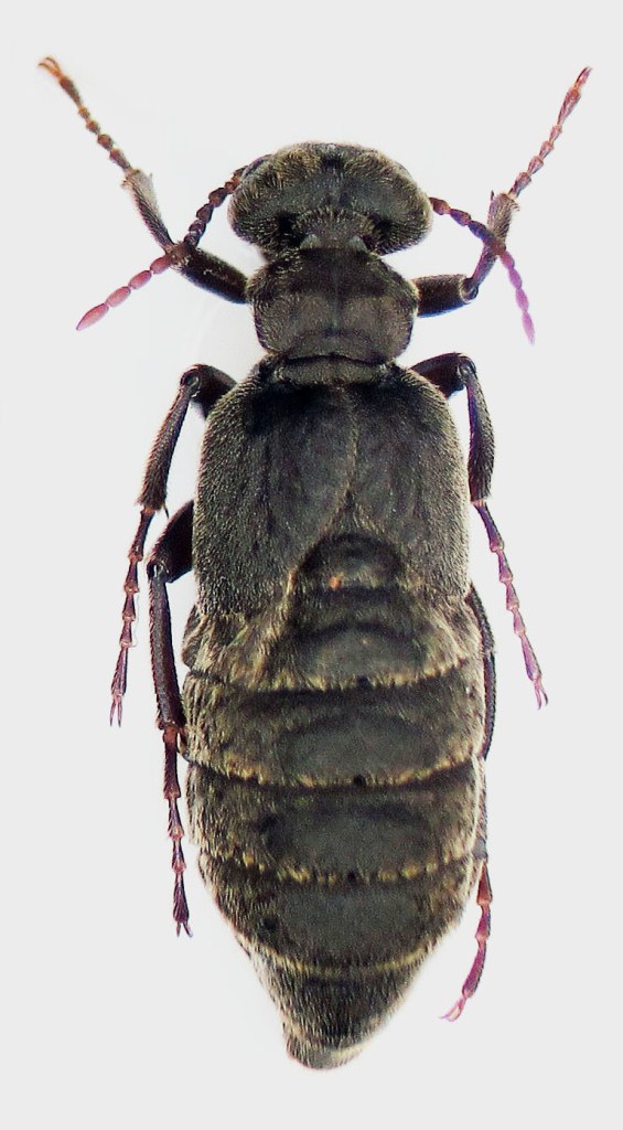
Meloe (Eurymeloe) nanus Lucas, 1849 (cf.) - Meloidae

3.I.2014 - TUNISIA - EE, Siliana


nuovo argomento
rispondi
Pagina 1 di 1 [ 4 messaggi ]
Autore Messaggio
MessaggioInviato: 16/01/2014, 8:08 
Avatar utente

Iscritto il: 28/08/2009, 13:45
Messaggi: 1947
Località: Ginevra, Svizzera
Nome: Guido Sabatinelli
Questo piccolo ( mm) Meloe trovato sotto una pietra, potrebbe essere il nanus Lucas?
Siliana 070.JPG



Siliana 072.JPG

Siliana 006a.jpg


_________________
Guido Sabatinelli
Museo di storia naturale, Ginevra, Svizzera
http://www.glaphyridae.com
http://www.scarabeidi.it
Top
profilo
MessaggioInviato: 16/01/2014, 8:31 
Avatar utente

Iscritto il: 30/12/2009, 22:20
Messaggi: 31564
Località: Roma
Nome: Maurizio Gigli
Potrebbe essere il nanus, o forse altro, magari un mediterraneus molto peloso. Con questi Eurymeloe non è per niente facile. Penso che sarebbe saggio aspettare un intervento di Marco Bologna.

_________________
Maurizio Gigli
http://utenti.romascuola.net/bups
http://bup.xoom.it/


Top
profilo
MessaggioInviato: 16/01/2014, 20:49 
Avatar utente

Iscritto il: 09/01/2010, 13:11
Messaggi: 233
Nome: daniel patacchiola
escludere sia mediteranneus che ganglbaueri,o nanus o murinus!


Top
profilo
MessaggioInviato: 01/05/2017, 18:55 
 

Iscritto il: 10/06/2010, 16:05
Messaggi: 817
Nome: Marco A. Bologna
E' proprio nanus. Le uniche specie con cui confonderlo sono baudueri, però presente in Marocco e Penisola iberica, e saharensis, nordafricano e recentemente trovato a Lampedusa .
Marco


Top
profilo
Visualizza ultimi messaggi:  Ordina per  
nuovo argomento
rispondi
Pagina 1 di 1 [ 4 messaggi ]

Tutti gli orari sono UTC + 1 ora [ ora legale ]


Chi c’è in linea

Visitano il forum: Nessuno e 1 ospite


Non puoi aprire nuovi argomenti
Non puoi rispondere negli argomenti
Non puoi modificare i tuoi messaggi
Non puoi cancellare i tuoi messaggi
Non puoi inviare allegati

Cerca per:
Vai a: