Benvenuto Ospite

Forum Entomologi Italiani

www.entomologiitaliani.net/forum
 
Oggi è 07/11/2025, 19:12

Tutti gli orari sono UTC + 1 ora [ ora legale ]

Mylabris variabilis (Pallas, 1781) - Meloidae

VI.2005 - ITALIA - Sardegna - NU, Porto Ottiolo


nuovo argomento
rispondi
Pagina 1 di 1 [ 3 messaggi ]
Autore Messaggio
MessaggioInviato: 06/07/2025, 16:01 
 

Iscritto il: 05/05/2010, 11:56
Messaggi: 1471
Nome: Giuseppe Mariani
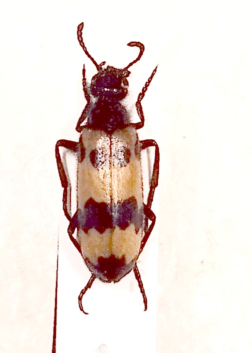
Queste mi hanno sempre lasciato un dubbio, si tratta delle solite Mylabris variabilis oppure sono Mylabris quadripunctata ?
Sardegna - Porto Ottiolo (NU) - VI-2005
Lunghezza 15 mm e 17 mm

Grazie anticipate
Giuseppe :hi:


1751639174950.jpg

1751640232631.jpg

Top
profilo
 Oggetto del messaggio: Re: Mylabris da confermare
MessaggioInviato: 06/07/2025, 17:33 
Avatar utente

Iscritto il: 09/11/2009, 14:12
Messaggi: 5145
Località: Hradec Kralove,Czech republik
Nome: Jan Matějíček
Mylabris variabilis, unica specie di Mylabris presente in Sardegna. Specie importata in Sardegna per combattere le cavallette.

_________________
Research Fields
Taxonomy, ecology, biomonitoring , faunistic of Staphylinidae


Top
profilo
 Oggetto del messaggio: Re: Mylabris da confermare
MessaggioInviato: 06/07/2025, 17:56 
 

Iscritto il: 05/05/2010, 11:56
Messaggi: 1471
Nome: Giuseppe Mariani
Honza ha scritto:
Mylabris variabilis, unica specie di Mylabris presente in Sardegna. Specie importata in Sardegna per combattere le cavallette.

Sei stato velocissimo, grazie :birra:

Giuseppe :hi:


Top
profilo
Visualizza ultimi messaggi:  Ordina per  
nuovo argomento
rispondi
Pagina 1 di 1 [ 3 messaggi ]

Tutti gli orari sono UTC + 1 ora [ ora legale ]


Chi c’è in linea

Visitano il forum: Nessuno e 1 ospite


Non puoi aprire nuovi argomenti
Non puoi rispondere negli argomenti
Non puoi modificare i tuoi messaggi
Non puoi cancellare i tuoi messaggi
Non puoi inviare allegati

Cerca per:
Vai a: