Benvenuto Ospite

Forum Entomologi Italiani

www.entomologiitaliani.net/forum
 
Oggi è 08/11/2025, 19:27

Tutti gli orari sono UTC + 1 ora [ ora legale ]

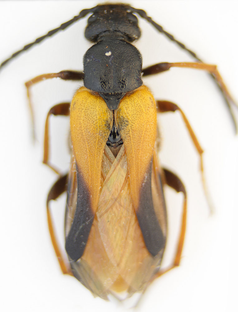
Sitaris sp.-Meloidae da determinare

17.VIII.2011 - BULGARIA - EE, Stara Zagora


nuovo argomento
rispondi
Pagina 1 di 1 [ 1 messaggio ]
Autore Messaggio
 Oggetto del messaggio: Sitaris sp.-Meloidae da determinare
MessaggioInviato: 20/08/2011, 15:44 
 

Iscritto il: 03/09/2010, 14:07
Messaggi: 930
Località: Bulgaria
Nome: Georgi
Length-12mm.


Sitaris.jpg

Top
profilo
Visualizza ultimi messaggi:  Ordina per  
nuovo argomento
rispondi
Pagina 1 di 1 [ 1 messaggio ]

Tutti gli orari sono UTC + 1 ora [ ora legale ]


Chi c’è in linea

Visitano il forum: Nessuno e 1 ospite


Non puoi aprire nuovi argomenti
Non puoi rispondere negli argomenti
Non puoi modificare i tuoi messaggi
Non puoi cancellare i tuoi messaggi
Non puoi inviare allegati

Cerca per:
Vai a:  
cron