Benvenuto Ospite

Forum Entomologi Italiani

www.entomologiitaliani.net/forum
 
Oggi è 09/10/2025, 13:09

Tutti gli orari sono UTC + 1 ora [ ora legale ]

Coleottero malgascio da ID

7.IV.2008 - MADAGASCAR - EE, dintorni Andasibe-Mantadia, 950 m, foresta


nuovo argomento
rispondi
Vai alla pagina Precedente  1, 2
Pagina 2 di 2 [ 29 messaggi ]
Autore Messaggio
 Oggetto del messaggio: Re: Coleottero malgascio da ID
MessaggioInviato: 01/04/2014, 8:02 
 

Iscritto il: 08/12/2013, 1:52
Messaggi: 7494
Località: Bagnacavallo (RA)
Nome: Giorgio Pezzi
Interesting! Now my curiosity is: how Marco (Hypotyphlus) will call the new family? :lol:
Some new opinion and I propose this species as very far ancestral coleoptera genus in opposition to Entomarci suggestion! :to:
Giorgio. :hi:


Top
profilo
 Oggetto del messaggio: Re: Coleottero malgascio da ID
MessaggioInviato: 31/12/2017, 15:38 
 

Iscritto il: 10/08/2010, 14:39
Messaggi: 3209
Località: Milano
Nome: Carlo Monari
A quasi quattro anni dall'ultimo messaggio, qualcuno ora ha qualche idea su come archiviare questa discussione?

_________________
Ciao

Carlo


Top
profilo
 Oggetto del messaggio: Re: Coleottero malgascio da ID
MessaggioInviato: 31/12/2017, 23:27 
 

Iscritto il: 08/12/2013, 1:52
Messaggi: 7494
Località: Bagnacavallo (RA)
Nome: Giorgio Pezzi
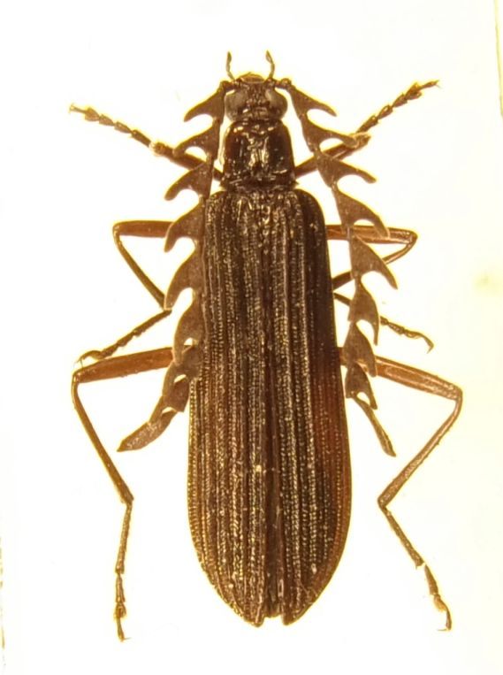
A corredo della seconda pagina metto una terza foto, migliore. Confermo la formula tarsale 5-5-4
:hi:
zr.jpg



Top
profilo
 Oggetto del messaggio: Re: Coleottero malgascio da ID
MessaggioInviato: 01/01/2018, 6:45 
 

Iscritto il: 02/11/2010, 22:33
Messaggi: 990
Nome: Aleksei Kovalev
I'd suppose this genus: https://www.biodiversitylibrary.org/pag ... 6/mode/1up
Unfortunately there are no pictures. Better ask Dr. O. Merkl - I think he could say for sure.
:hi:


Top
profilo
 Oggetto del messaggio: Re: Coleottero malgascio da ID
MessaggioInviato: 27/12/2022, 12:50 
Avatar utente

Iscritto il: 21/05/2009, 14:59
Messaggi: 6994
Località: Parigi
Nome: Riccardo Poloni
Un Oedemeridae non è. Mi sa che ha ragione Enrico ed è un Pyrochroidae

_________________
Riccardo Poloni
La dignità degli elementi
la libertà della poesia,
al di là dei tradimenti degli uomini
è magia, è magia, è magia...
Negrita, Rotolando verso sud


Top
profilo
 Oggetto del messaggio: Re: Coleottero malgascio da ID
MessaggioInviato: 27/12/2022, 20:18 
Avatar utente

Iscritto il: 05/02/2009, 17:31
Messaggi: 9527
Località: milano
Nome: maurizio pavesi
e se invece fosse un Pythidae :roll: ? un Pyrochroidae dovrebbe avere il capo fortemente ristretto a "collo" dietro le tempie, tipo Meloidae... o no?

_________________
*****************
Immagine maurizio


Top
profilo
 Oggetto del messaggio: Re: Coleottero malgascio da ID
MessaggioInviato: 02/01/2023, 19:52 
Avatar utente

Iscritto il: 05/07/2009, 12:23
Messaggi: 6812
Località: Anzio (RM)
Nome: Vittorio Risoldi
...potrei sbagliarmi alla grande ma nel lavoro:

Species limits in polymorphic mimetic Eniclases net-winged beetles from New Guinean mountains (Coleoptera, Lycidae) - Bocek & Bocak 2016

...sembrerebbe da pronoto ed antenne molto simile a un Eniclases sp. Lycidae...il problema e' che sono esemplari della Nuova Guinea. :hi:

_________________
°°°°°°°°°°°°°°°°°°°°°°°°°°°°°°°°°°°°°°°°
Ciao
Vittorio


Flickr

Phe Immagini

Facebook


Top
profilo
 Oggetto del messaggio: Re: Coleottero malgascio da ID
MessaggioInviato: 03/01/2023, 0:06 
Avatar utente

Iscritto il: 05/02/2009, 17:31
Messaggi: 9527
Località: milano
Nome: maurizio pavesi
ti sbagli alla grande :to: i Lycidae hanno formula tarsale 5-5-5, non 5-5-4 ;)

_________________
*****************
Immagine maurizio


Top
profilo
 Oggetto del messaggio: Re: Coleottero malgascio da ID
MessaggioInviato: 03/01/2023, 2:03 
Avatar utente

Iscritto il: 13/10/2010, 18:21
Messaggi: 1990
Nome: Andrea Liberto
Da perfetto e rifinito incompetente sulle faune extra-paleartiche, cioè quelle vere, rilevo solo che l'inserzione dell'onichio nell'ultimo tarsomero (profondamente bilobato) è identica a quella degli edemeridi, forse troppo in fretta scartati.

Ma è solo un trastullo da grullo.

Solchi variamente distribuiti ed espansioni lamellari degli antennomeri nei maschi non mi paiono dirimenti, né in positivo né in negativo. Ne spuntano in tanti gruppi.

Conto sulla vostra benevolenza e inclinazione a dimenticare presto, e così in parte perdonare, le cazzate serali.

A.


Top
profilo
 Oggetto del messaggio: Re: Coleottero malgascio da ID
MessaggioInviato: 03/01/2023, 2:14 
Avatar utente

Iscritto il: 13/10/2010, 18:21
Messaggi: 1990
Nome: Andrea Liberto
Ad ogni modo, ragionare solo sulla morfologia "esterna" non ha molto senso.

Trattasi evidentemente di un maschio. "Fagli il pisello", e così avremo un elemento in più. Un solido elemento.

I genitali maschili degli edemeridi rispondono a un modello sempre riconoscibile senza difficoltà.

Male che vada, eliminiamo con nettezza una delle possibili famiglie, e miglioriamo la mira.

A.


Top
profilo
 Oggetto del messaggio: Re: Coleottero malgascio da ID
MessaggioInviato: 03/01/2023, 9:59 
Avatar utente

Iscritto il: 05/07/2009, 12:23
Messaggi: 6812
Località: Anzio (RM)
Nome: Vittorio Risoldi
gomphus ha scritto:
ti sbagli alla grande :to: i Lycidae hanno formula tarsale 5-5-5, non 5-5-4 ;)


....la mia ignoranza va ben oltre :to: ..... però il pronoto stretto con quella V , le antenne e la forma delle elitre non assomiglia tantissimo a E. similis o E. variabilis ?

_________________
°°°°°°°°°°°°°°°°°°°°°°°°°°°°°°°°°°°°°°°°
Ciao
Vittorio


Flickr

Phe Immagini

Facebook


Top
profilo
 Oggetto del messaggio: Re: Coleottero malgascio da ID
MessaggioInviato: 03/01/2023, 10:18 
Avatar utente

Iscritto il: 24/11/2015, 19:04
Messaggi: 992
Località: Marina Romea (RA)
Nome: Nicola Cuffiani
AetherisIgnis ha scritto:
How about a lagriine? :roll:

Anche secondo me Lagriinae, la formula tarsale torna e poi si sa, se non sai cos'è allora è un tenebrionide :lol:
:hi:

_________________
Nel mezzo del cammin di nostra vita mi ritrovai per una selva oscura, ché la diritta via era smarrita... (Inferno canto I)


Top
profilo
 Oggetto del messaggio: Re: Coleottero malgascio da ID
MessaggioInviato: 03/01/2023, 12:25 
Avatar utente

Iscritto il: 05/07/2009, 12:23
Messaggi: 6812
Località: Anzio (RM)
Nome: Vittorio Risoldi
soken ha scritto:
gomphus ha scritto:
ti sbagli alla grande :to: i Lycidae hanno formula tarsale 5-5-5, non 5-5-4 ;)


....la mia ignoranza va ben oltre :to: ..... però il pronoto stretto con quella V , le antenne e la forma delle elitre non assomiglia tantissimo a E. similis o E. variabilis ?


:ok: i Lagriinae sono sicuramente piu' accettabili !....guardate questo bel pdf sempre pero' della Nuova Guinea:

NEW SPECIES, TAXONOMY AND FAUNISTICS OF EAST ASIAN AND PAPUAN LAGRIINAE LATREILLE, 1825 (COLEOPTERA: TENEBRIONIDAE) - Telnov 2022

https://www.researchgate.net/publicatio ... ebrionidae

_________________
°°°°°°°°°°°°°°°°°°°°°°°°°°°°°°°°°°°°°°°°
Ciao
Vittorio


Flickr

Phe Immagini

Facebook


Top
profilo
 Oggetto del messaggio: Re: Coleottero malgascio da ID
MessaggioInviato: 03/01/2023, 14:34 
Avatar utente

Iscritto il: 05/07/2009, 12:23
Messaggi: 6812
Località: Anzio (RM)
Nome: Vittorio Risoldi
...ma perché mi ha citato il post di Maurizio...volevo citare quello di Nicola !...vabbe' ero capitato qui per caso e per curiosita' mi sono andato a cercare qualcosa….comunque sembra proprio un Lagriinae.

_________________
°°°°°°°°°°°°°°°°°°°°°°°°°°°°°°°°°°°°°°°°
Ciao
Vittorio


Flickr

Phe Immagini

Facebook


Top
profilo
Visualizza ultimi messaggi:  Ordina per  
nuovo argomento
rispondi
Vai alla pagina Precedente  1, 2
Pagina 2 di 2 [ 29 messaggi ]

Tutti gli orari sono UTC + 1 ora [ ora legale ]


Chi c’è in linea

Visitano il forum: Nessuno e 2 ospiti


Non puoi aprire nuovi argomenti
Non puoi rispondere negli argomenti
Non puoi modificare i tuoi messaggi
Non puoi cancellare i tuoi messaggi
Non puoi inviare allegati

Cerca per:
Vai a: