Benvenuto Ospite

Forum Entomologi Italiani

www.entomologiitaliani.net/forum
 
Oggi è 09/10/2025, 13:06

Tutti gli orari sono UTC + 1 ora [ ora legale ]

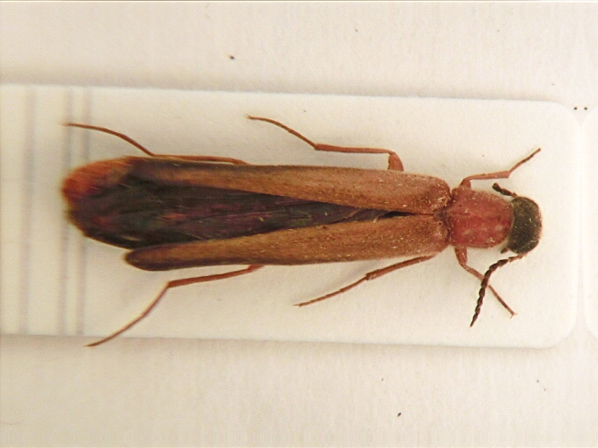
Lymexylon navale (Linnaeus, 1758) - Lymexylidae

25.VI.1998 - ITALIA - Lazio - RM, Castelporziano, Roma


nuovo argomento
rispondi
Pagina 1 di 1 [ 5 messaggi ]
Autore Messaggio
MessaggioInviato: 03/06/2015, 21:27 
 

Iscritto il: 20/08/2013, 18:14
Messaggi: 1185
Nome: Paolo Maltzeff
Raccolto in un bosco umido misto mediante fototrappola UV 15 W.
E' possibile determinarne la specie?
CIMG3593.JPG

CIMG3599.JPG

CIMG3603.JPG

CIMG3607.JPG

CIMG3609.JPG

CIMG3618.JPG


Grazie!
Paolo


Top
profilo
 Oggetto del messaggio: Re: Lymexylidae? 13 mm.
MessaggioInviato: 03/06/2015, 21:45 
Avatar utente

Iscritto il: 30/12/2009, 22:20
Messaggi: 31564
Località: Roma
Nome: Maurizio Gigli
Facile. Credo ce ne siano solo due specie in Italia!

Questo dovrebbe essere Lymexylon navale (Linné, 1758)

_________________
Maurizio Gigli
http://utenti.romascuola.net/bups
http://bup.xoom.it/


Top
profilo
 Oggetto del messaggio: Re: Lymexylidae? 13 mm.
MessaggioInviato: 05/06/2015, 6:30 
 

Iscritto il: 20/08/2013, 18:14
Messaggi: 1185
Nome: Paolo Maltzeff
Grazie Maurizio!
Paolo


Top
profilo
 Oggetto del messaggio: Re: Lymexylidae? 13 mm.
MessaggioInviato: 06/06/2015, 6:34 
Avatar utente

Iscritto il: 30/12/2009, 22:20
Messaggi: 31564
Località: Roma
Nome: Maurizio Gigli
Grazie a te, che con le tue raccolte stai contribuendo in misura notevole alla conoscenza entomologica della nostra regione.
Questa specie non sono mai riuscito a vederla dal vivo.

_________________
Maurizio Gigli
http://utenti.romascuola.net/bups
http://bup.xoom.it/


Top
profilo
 Oggetto del messaggio: Re: Lymexylidae? 13 mm.
MessaggioInviato: 07/06/2015, 23:26 
 

Iscritto il: 20/08/2013, 18:14
Messaggi: 1185
Nome: Paolo Maltzeff
Io l'ho trovata solamente una volta.
Comunque rinnovo i miei ringraziamenti in particolare a te, per le tue determinazioni quasi quotidiane dei miei esemplari!
Paolo


Top
profilo
Visualizza ultimi messaggi:  Ordina per  
nuovo argomento
rispondi
Pagina 1 di 1 [ 5 messaggi ]

Tutti gli orari sono UTC + 1 ora [ ora legale ]


Chi c’è in linea

Visitano il forum: Nessuno e 2 ospiti


Non puoi aprire nuovi argomenti
Non puoi rispondere negli argomenti
Non puoi modificare i tuoi messaggi
Non puoi cancellare i tuoi messaggi
Non puoi inviare allegati

Cerca per:
Vai a: