Benvenuto Ospite

Forum Entomologi Italiani

www.entomologiitaliani.net/forum
 
Oggi è 01/10/2025, 2:14

Tutti gli orari sono UTC + 1 ora [ ora legale ]

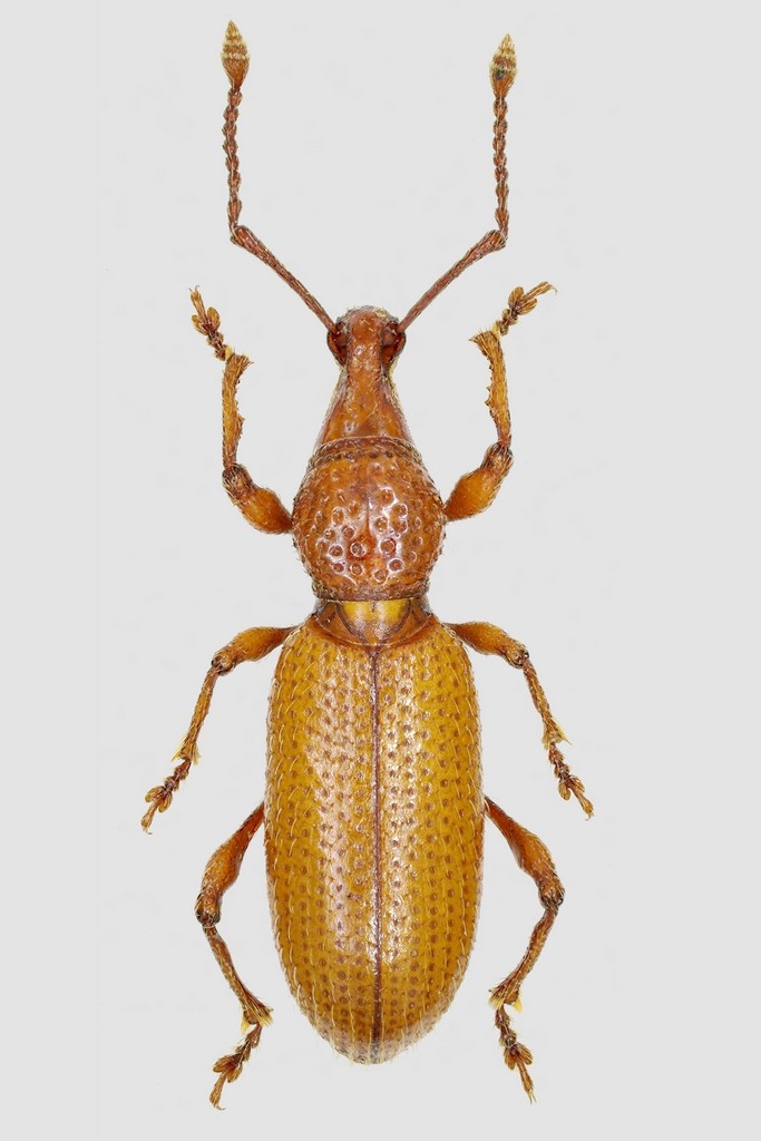
Otiorhynchus (Lixorrhynchus) fioronii Magrini, Meoli, Cirocchi & Abbazzi, 2003 - Curculionidae

7.V.2011 - ITALIA - Umbria - PG, M.te Martano, Massa Martana, 850 m leg. A. Degiovanni


nuovo argomento
rispondi
Vai alla pagina 1, 2  Prossimo
Pagina 1 di 2 [ 27 messaggi ]
Autore Messaggio
MessaggioInviato: 26/06/2011, 10:24 
Avatar utente

Iscritto il: 06/02/2009, 9:03
Messaggi: 6363
Località: Bubano di Mordano (Bologna)
Nome: Augusto Degiovanni
Bellissimo e raro Endemismo ripreso in pochissimi esemplari dopo la sua descrizione (era conosciuto nel solo holotipo) da Cirocchi, Magrini, Petrioli e dal sottoscritto.

Lunghezza: 5,6 mm

tn_Lixorrhynchus fioronii.jpg



tn_Lixorrhynchus fioronii - Copia.jpg


_________________
CIAO :hi: Augusto Degiovanni

http://anthicidaeecarabidae.altervista.org


Top
profilo
MessaggioInviato: 26/06/2011, 10:27 
Avatar utente

Iscritto il: 08/02/2010, 23:01
Messaggi: 6166
Località: Vicenza
Nome: Silvano Biondi
Splendida bestia e splendida foto :birra:

:hi:

_________________



Silvano


Top
profilo
MessaggioInviato: 26/06/2011, 10:36 
Avatar utente

Iscritto il: 06/02/2009, 9:03
Messaggi: 6363
Località: Bubano di Mordano (Bologna)
Nome: Augusto Degiovanni
Grazie Silvano :ok: , a giorni dopo previa preparazione ti posto un Attelabino Filippino ;)

_________________
CIAO :hi: Augusto Degiovanni

http://anthicidaeecarabidae.altervista.org


Top
profilo
MessaggioInviato: 26/06/2011, 10:54 
Avatar utente

Iscritto il: 25/11/2009, 9:31
Messaggi: 8157
Località: Lecce
Nome: Maurizio Bollino
Ma è anoftalmo?

_________________
Maurizio Bollino


Top
profilo
MessaggioInviato: 26/06/2011, 11:06 
Avatar utente

Iscritto il: 05/02/2009, 17:47
Messaggi: 7252
Località: Cagliari
Nome: Piero Leo
Anzitutto: bella specie e splendida foto.
Poi: secondo me il nome della specie deve comprendere anche gli altri autori:
Otiorhynchus (Lixorrhynchus) fioronii Magrini, Meoli, Cirocchi & Abbazzi, 2003
Questo non solo perché tutti gli autori di un nuovo taxon hanno pari dignità, ma anche perché se no il nome della specie è realmente incompleto (come se ne omettessimo o ne abbreviassimo una parte).
Se poi in una pubblicazione stiamo citando non il taxon, ma il lavoro in cui è descritto, allora l'abbreviazione ci sta:
<<...una nuova specie è stata recentemente scoperta in Umbria (Magrini et al. 2003)...>>; tanto poi i dati completi del lavoro li troviamo riportati in Bibliografia.

:) Ciao
Piero


Top
profilo
MessaggioInviato: 26/06/2011, 11:09 
Avatar utente

Iscritto il: 25/11/2009, 9:31
Messaggi: 8157
Località: Lecce
Nome: Maurizio Bollino
Tenebrio ha scritto:
Anzitutto: bella specie e splendida foto.
Poi: secondo me il nome della specie deve comprendere anche gli altri autori:
Otiorhynchus (Lixorrhynchus) fioronii Magrini, Meoli, Cirocchi & Abbazzi, 2003
Questo non solo perché tutti gli autori di un nuovo taxon hanno pari dignità, ma anche perché se no il nome della specie è realmente incompleto (come se ne omettessimo o ne abbreviassimo una parte).
Se poi in una pubblicazione stiamo citando non il taxon, ma il lavoro in cui è descritto, allora l'abbreviazione ci sta:
<<...una nuova specie è stata recentemente scoperta in Umbria (Magrini et al. 2003)...>>; tanto poi i dati completi del lavoro li troviamo riportati in Bibliografia.

:) Ciao
Piero


Assolutamente d'accordo, tanto che ho modificato il titolo. Diamo a Cesare quel che è di Cesare!!!!

_________________
Maurizio Bollino


Top
profilo
MessaggioInviato: 26/06/2011, 11:13 
Avatar utente

Iscritto il: 05/02/2009, 17:47
Messaggi: 7252
Località: Cagliari
Nome: Piero Leo
:ok: Grazie anche per la repentinità.
:lov2:

:) Ciao
Piero


Top
profilo
MessaggioInviato: 26/06/2011, 11:41 
Avatar utente

Iscritto il: 06/02/2009, 9:03
Messaggi: 6363
Località: Bubano di Mordano (Bologna)
Nome: Augusto Degiovanni
Caro Piero,
non era mia intenzione sminuire gli altri componenti la descrizione, che giustamente hanno pari dignità, era solo perchè mi sembrava troppo lungo il titolo, e come hai detto tu, avevo adottato in pratica quello che di solito si riporta in una pubblicazione quando si cita in un lavoro un altro taxon.
Tutto qui, per cui mi scuso se ho offeso oppure ho mancato di rispetto a qualcuno :oops: .

_________________
CIAO :hi: Augusto Degiovanni

http://anthicidaeecarabidae.altervista.org


Top
profilo
MessaggioInviato: 26/06/2011, 11:51 
Avatar utente

Iscritto il: 05/02/2009, 17:47
Messaggi: 7252
Località: Cagliari
Nome: Piero Leo
Caro Augusto, nessuno potrebbe aver avuto motivo di offendersi e, di conseguenza, non devi proprio scusarti di nulla.
Tra l'altro non vorrei che prendessi il mio intervento come una qualsiasi forma di critica: è solo la mia interpretazione su come vanno citati i nomi dei taxa (e secondo me i nomi degli autori sono parte integrante degli stessi).
:lov2:

:) Ciao
Piero


Top
profilo
MessaggioInviato: 26/06/2011, 12:03 
Avatar utente

Iscritto il: 06/02/2009, 9:03
Messaggi: 6363
Località: Bubano di Mordano (Bologna)
Nome: Augusto Degiovanni
Caro Piero,
non ho preso il tuo intervento come una critica :lov2: , anzi ti ringrazio per avermi ricordato di essere più preciso in certi frangenti.

Io purtroppo tendo a generalizzare abbastanza :( , e certe volte non è per nulla simpatico, purtroppo questo è un mio difetto :( spero migliorabile per il futuro ;) :ok: .

_________________
CIAO :hi: Augusto Degiovanni

http://anthicidaeecarabidae.altervista.org


Top
profilo
MessaggioInviato: 26/06/2011, 12:33 
Avatar utente

Iscritto il: 08/02/2010, 23:01
Messaggi: 6166
Località: Vicenza
Nome: Silvano Biondi
Notoxus59 ha scritto:
Grazie Silvano :ok: , a giorni dopo previa preparazione ti posto un Attelabino Filippino ;)


:hp: :hp: :hp:

Maurizio Bollino ha scritto:
Ma è anoftalmo?

dalla foto si direbbe di sì

:hi:

_________________



Silvano


Top
profilo
MessaggioInviato: 26/06/2011, 13:05 
Avatar utente

Iscritto il: 06/02/2009, 9:03
Messaggi: 6363
Località: Bubano di Mordano (Bologna)
Nome: Augusto Degiovanni
Maurizio Bollino ha scritto:
Ma è anoftalmo?


Scusa Maurizio se non ti ho risposto prima si si, è Anophthalmo, :ok:

_________________
CIAO :hi: Augusto Degiovanni

http://anthicidaeecarabidae.altervista.org


Top
profilo
MessaggioInviato: 26/06/2011, 15:55 
Avatar utente

Iscritto il: 18/06/2009, 16:54
Messaggi: 1093
Località: Casalecchio di Reno (BO)
Nome: Iuri Zappi
La scorsa settimana quando l'ho visto nella tua scatola ho detto "bello".
Ora dico "bellissimo". :birra:
Peccato non ci siano Cleridae anoftalmi.

_________________
:hi: :hi: :hi:
Iuri


Top
profilo
MessaggioInviato: 26/06/2011, 16:28 
Avatar utente

Iscritto il: 02/02/2009, 23:32
Messaggi: 5645
Località: da Ferrara ad Alghero
Nome: Roberto A. Pantaleoni
Non l'hai ancora trovato Iuri ;) !

Roberto :to:

_________________
verum stabile cetera fumus


Top
profilo
MessaggioInviato: 26/06/2011, 17:05 
Avatar utente

Iscritto il: 06/02/2009, 9:03
Messaggi: 6363
Località: Bubano di Mordano (Bologna)
Nome: Augusto Degiovanni
Cita:
Peccato non ci siano Cleridae anoftalmi.


Fino ad ora :lol: :lol: :lol: , guarda per esempio c'è il Lebino, il Carabus, i Ditiscidi, e per fino gli Anthicidi ciechi, per cui mai dire mai :gh: :gh:

_________________
CIAO :hi: Augusto Degiovanni

http://anthicidaeecarabidae.altervista.org


Top
profilo
Visualizza ultimi messaggi:  Ordina per  
nuovo argomento
rispondi
Vai alla pagina 1, 2  Prossimo
Pagina 1 di 2 [ 27 messaggi ]

Tutti gli orari sono UTC + 1 ora [ ora legale ]


Chi c’è in linea

Visitano il forum: Nessuno e 1 ospite


Non puoi aprire nuovi argomenti
Non puoi rispondere negli argomenti
Non puoi modificare i tuoi messaggi
Non puoi cancellare i tuoi messaggi
Non puoi inviare allegati

Cerca per:
Vai a: