Benvenuto Ospite

Forum Entomologi Italiani

www.entomologiitaliani.net/forum
 
Oggi è 01/10/2025, 2:27

Tutti gli orari sono UTC + 1 ora [ ora legale ]

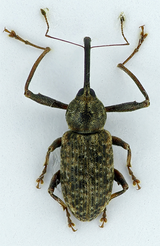
Dorytomus (Dorytomus) longimanus (Forster, 1771) - Curculionidae

2.IV.2011 - ITALIA - Toscana - FI, San Godenzo - Casale, loc. Le Croci. m.750


nuovo argomento
rispondi
Pagina 1 di 1 [ 5 messaggi ]
Autore Messaggio
MessaggioInviato: 10/04/2011, 20:52 
Avatar utente

Iscritto il: 21/05/2010, 23:05
Messaggi: 2982
Località: San Godenzo (FI)
Nome: Carlo Massarone
Trovato sotto corteccia di un grosso pioppo.
Con quelle zampe anteriori sembra un piccolo Acrocinus longimanus.

IT - TOSCANA m. 750
San Godenzo (FI) - Casale, loc. Le Croci
N. 43°54'10.4" E.11°38'33.7"
02.IV.2011 C. Massarone leg.

lungh. mm. 8 circa (rostro compreso)
Curculionide2.jpg


_________________
Carlo Massarone


Top
profilo
 Oggetto del messaggio: Re: Curculionide "pseudo-Acrocinus"
MessaggioInviato: 10/04/2011, 20:56 
 

Iscritto il: 30/06/2009, 15:17
Messaggi: 331
Località: Bovolone (VR)
Nome: Francesco Sanna
Dorytomus longimanus maschio, per me. :)

Ciao
Francesco


Top
profilo
 Oggetto del messaggio: Re: Curculionide "pseudo-Acrocinus"
MessaggioInviato: 10/04/2011, 21:10 
Avatar utente

Iscritto il: 21/05/2010, 23:05
Messaggi: 2982
Località: San Godenzo (FI)
Nome: Carlo Massarone
Intanto grazie Francesco. :birra:

_________________
Carlo Massarone


Top
profilo
 Oggetto del messaggio: Re: Curculionide "pseudo-Acrocinus"
MessaggioInviato: 10/04/2011, 21:35 
Avatar utente

Iscritto il: 09/06/2009, 13:19
Messaggi: 1229
Località: Modena
Nome: Omar Pacchioni
viewtopic.php?f=240&t=18421
concordo
ciao

_________________
..OOOO.......OOO.....OO......OOO......OOOO
OO.....OO....OO..O.O..O....OO....O....OO....O
OO.....OO....OO....O...O....OOOOO....OOOO
..OOOO.......OO.........O....OO....O....OO....O


Top
profilo
 Oggetto del messaggio: Re: Curculionide "pseudo-Acrocinus"
MessaggioInviato: 10/04/2011, 21:45 
Avatar utente

Iscritto il: 21/05/2010, 23:05
Messaggi: 2982
Località: San Godenzo (FI)
Nome: Carlo Massarone
Grazie anche a te, Omar

_________________
Carlo Massarone


Top
profilo
Visualizza ultimi messaggi:  Ordina per  
nuovo argomento
rispondi
Pagina 1 di 1 [ 5 messaggi ]

Tutti gli orari sono UTC + 1 ora [ ora legale ]


Chi c’è in linea

Visitano il forum: Nessuno e 2 ospiti


Non puoi aprire nuovi argomenti
Non puoi rispondere negli argomenti
Non puoi modificare i tuoi messaggi
Non puoi cancellare i tuoi messaggi
Non puoi inviare allegati

Cerca per:
Vai a: