Benvenuto Ospite

Forum Entomologi Italiani

www.entomologiitaliani.net/forum
 
Oggi è 02/10/2025, 13:22

Tutti gli orari sono UTC + 1 ora [ ora legale ]

Otiorhynchus (Podonebistus) prolixus Rosenhauer, 1847 - Curculionidae - Belluno



nuovo argomento
rispondi
Pagina 1 di 1 [ 5 messaggi ]
Autore Messaggio
MessaggioInviato: 09/07/2010, 17:19 
Avatar utente

Iscritto il: 27/02/2009, 19:34
Messaggi: 857
Località: Belluno
Nome: Enzo GATTI
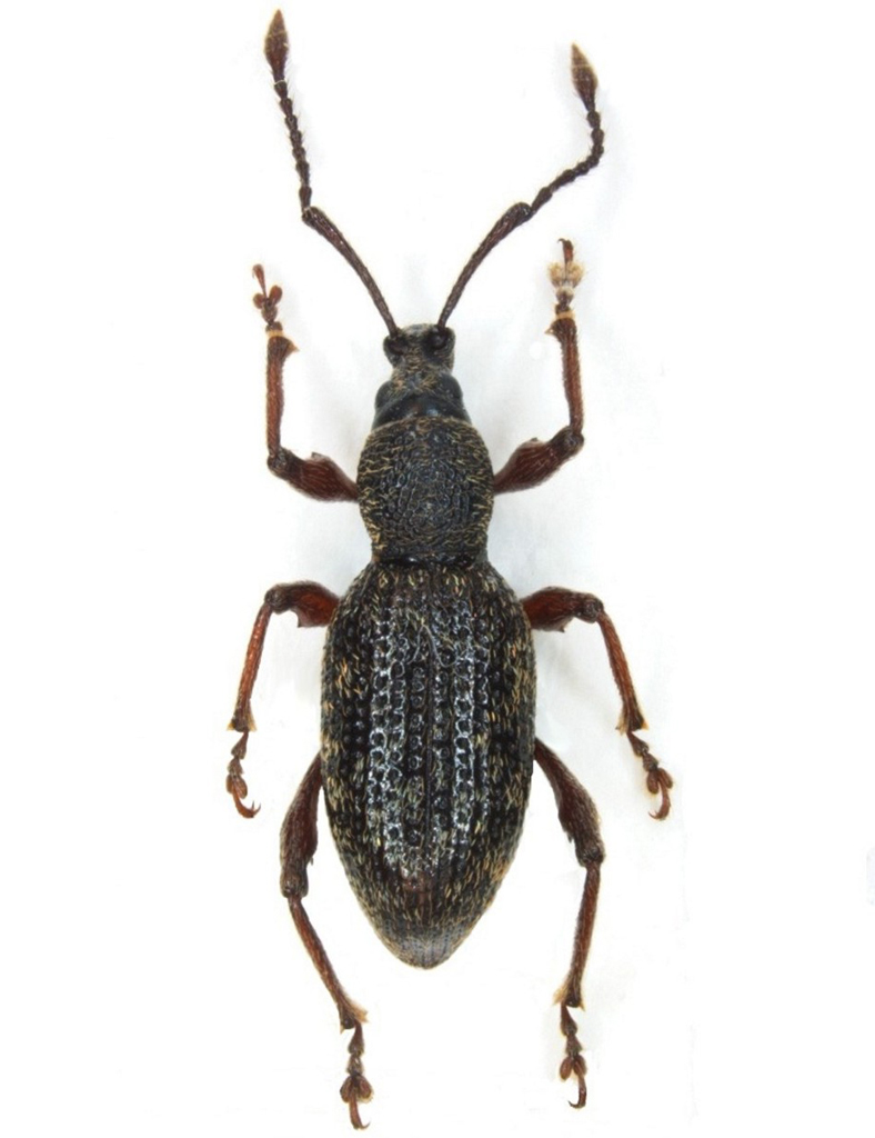
Raccolto sulle Vette Feltrine (BL) m 1100, il 29.VI.2010. Il genere è senz'altro Otiorhynchus, ma chi sa dirmi di che specie si tratta?

Grazie
Enzo :) :)


OtirhynchusO1.jpg

Top
profilo
 Oggetto del messaggio: Re: Otiorhynchus; ma quale specie?
MessaggioInviato: 09/07/2010, 17:25 
Avatar utente

Iscritto il: 08/02/2010, 23:01
Messaggi: 6166
Località: Vicenza
Nome: Silvano Biondi
Dimensioni? Pianta ospite?

_________________



Silvano


Top
profilo
 Oggetto del messaggio: Re: Otiorhynchus; ma quale specie?
MessaggioInviato: 09/07/2010, 17:42 
Avatar utente

Iscritto il: 27/02/2009, 19:34
Messaggi: 857
Località: Belluno
Nome: Enzo GATTI
Hai ragione, scusa:

dimensioni: 7.3 mm (escluso il rostro)

pianta ospite: purtroppo vagante su alcune pietre :cry:

Enzo


Top
profilo
 Oggetto del messaggio: Re: Otiorhynchus; ma quale specie?
MessaggioInviato: 09/07/2010, 17:57 
Avatar utente

Iscritto il: 08/02/2010, 23:01
Messaggi: 6166
Località: Vicenza
Nome: Silvano Biondi
Mi sembra molto simile a questo.
Anche la località dove l'hai raccolto sembrerebbe andare in questo senso.
:hi:

_________________



Silvano


Top
profilo
 Oggetto del messaggio: Re: Otiorhynchus; ma quale specie?
MessaggioInviato: 09/07/2010, 18:11 
Avatar utente

Iscritto il: 27/02/2009, 19:34
Messaggi: 857
Località: Belluno
Nome: Enzo GATTI
Mi sembra che i tre esemplari si assomiglino parecchio!!!

Quindi: Otiorhynchus (Podonebistus) prolixus

Grazie SILVANO :lov2: :lov2:

Enzo :) :)


Top
profilo
Visualizza ultimi messaggi:  Ordina per  
nuovo argomento
rispondi
Pagina 1 di 1 [ 5 messaggi ]

Tutti gli orari sono UTC + 1 ora [ ora legale ]


Chi c’è in linea

Visitano il forum: Nessuno e 3 ospiti


Non puoi aprire nuovi argomenti
Non puoi rispondere negli argomenti
Non puoi modificare i tuoi messaggi
Non puoi cancellare i tuoi messaggi
Non puoi inviare allegati

Cerca per:
Vai a: