Benvenuto Ospite

Forum Entomologi Italiani

www.entomologiitaliani.net/forum
 
Oggi è 30/10/2025, 8:55

Tutti gli orari sono UTC + 1 ora [ ora legale ]

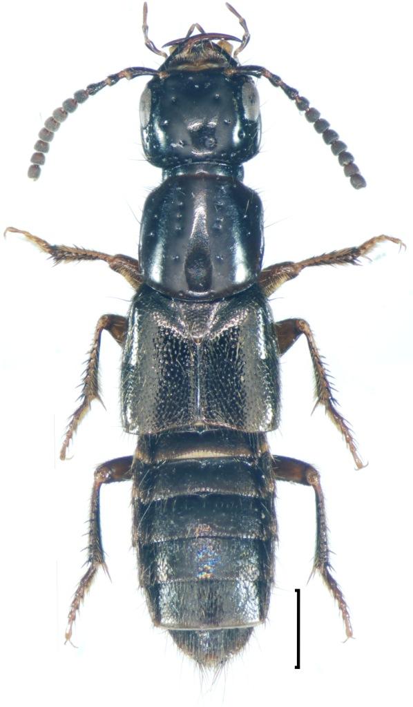
Philonthus umbratilis (Gravenhorst, 1802) cf. - Staphylinidae

17.IX.2013 - ITALIA - Marche - PU, Collina Baratoff


nuovo argomento
rispondi
Pagina 1 di 1 [ 7 messaggi ]
Autore Messaggio
MessaggioInviato: 18/09/2013, 23:05 
Avatar utente

Iscritto il: 11/11/2009, 20:54
Messaggi: 4850
Località: Pesaro
Nome: Marco Paglialunga
Mandibole importanti 0.8 mm
6.3 mm senza denti :gh:
Su melone


P1190882.JPG


_________________
O voi ch'avete li 'ntelletti sani, mirate la dottrina che s'asconde sotto 'l velame de li versi strani
(InfeRRno - canto IX - vv. 61-63)
Top
profilo
MessaggioInviato: 19/09/2013, 6:48 
Avatar utente

Iscritto il: 09/11/2009, 14:12
Messaggi: 5145
Località: Hradec Kralove,Czech republik
Nome: Jan Matějíček
Certamente non è Philonthus rectangulus Sharp, 1874

Philonthus rectangulus Sharp, 1874


Philonthus rectangulus Sharp, 1874 - Kopie (2).jpg

Philonthus rectangulus Sharp, 1874 - Kopie.jpg

Philonthus rectangulus Sharp, 1874.jpg


_________________
Research Fields
Taxonomy, ecology, biomonitoring , faunistic of Staphylinidae
Top
profilo
MessaggioInviato: 19/09/2013, 15:01 
 

Iscritto il: 06/02/2009, 9:09
Messaggi: 528
Località: Milano
Nome: Nicola Pilon
Infatti, di sicuro non P. rectangulus, però dalla foto non riesco a dirti cosa è, è un gruppo difficile, solo poche specie si può sperare di determinarle da foto.
Nic


Top
profilo
MessaggioInviato: 19/09/2013, 15:27 
Avatar utente

Iscritto il: 11/11/2009, 20:54
Messaggi: 4850
Località: Pesaro
Nome: Marco Paglialunga
Bene dopo le mazzate :no1: di Nic e Jan :lol: :lol: :lol: ...iniziamo a cambiare nome al post :gh:

_________________
O voi ch'avete li 'ntelletti sani, mirate la dottrina che s'asconde sotto 'l velame de li versi strani
(InfeRRno - canto IX - vv. 61-63)


Top
profilo
 Oggetto del messaggio: Re: Philonthus sp - Staphilinidae
MessaggioInviato: 22/09/2013, 0:04 
 

Iscritto il: 02/11/2010, 22:33
Messaggi: 990
Nome: Aleksei Kovalev
Looks very similar to Ph. umbratilis (Gravenhorst, 1802)
:hi:


Top
profilo
 Oggetto del messaggio: Re: Philonthus sp - Staphilinidae
MessaggioInviato: 22/09/2013, 9:04 
Avatar utente

Iscritto il: 09/11/2009, 14:12
Messaggi: 5145
Località: Hradec Kralove,Czech republik
Nome: Jan Matějíček
confrontare con Philonthus umbratilis (Gravenhorst, 1802)


Philonthus umbratilis (Gravenhorst, 1802) - Kopie.jpg

Philonthus umbratilis (Gravenhorst, 1802) - Kopie (2).jpg

Philonthus umbratilis (Gravenhorst, 1802).jpg


_________________
Research Fields
Taxonomy, ecology, biomonitoring , faunistic of Staphylinidae
Top
profilo
 Oggetto del messaggio: Re: Philonthus sp - Staphilinidae
MessaggioInviato: 22/09/2013, 19:49 
Avatar utente

Iscritto il: 11/11/2009, 20:54
Messaggi: 4850
Località: Pesaro
Nome: Marco Paglialunga
:mrgreen:
Your instinct is decidedly best of my photos!! :gh: :birra:
Thanks a lot :ok:


P1190902.JPG

P1190903.JPG

P1190904.JPG

P1190905.JPG


_________________
O voi ch'avete li 'ntelletti sani, mirate la dottrina che s'asconde sotto 'l velame de li versi strani
(InfeRRno - canto IX - vv. 61-63)
Top
profilo
Visualizza ultimi messaggi:  Ordina per  
nuovo argomento
rispondi
Pagina 1 di 1 [ 7 messaggi ]

Tutti gli orari sono UTC + 1 ora [ ora legale ]


Chi c’è in linea

Visitano il forum: Nessuno e 2 ospiti


Non puoi aprire nuovi argomenti
Non puoi rispondere negli argomenti
Non puoi modificare i tuoi messaggi
Non puoi cancellare i tuoi messaggi
Non puoi inviare allegati

Cerca per:
Vai a: