Benvenuto Ospite

Forum Entomologi Italiani

www.entomologiitaliani.net/forum
 
Oggi è 29/10/2025, 9:29

Tutti gli orari sono UTC + 1 ora [ ora legale ]

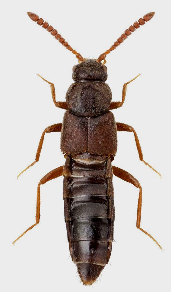
Pella leonhardi (Bernhauer, 1912) - Staphylinidae Aleocharinae

ITALIA - Sicilia


nuovo argomento
rispondi
Pagina 1 di 1 [ 1 messaggio ]
Autore Messaggio
MessaggioInviato: 25/02/2018, 23:28 
Avatar utente

Iscritto il: 09/11/2009, 14:12
Messaggi: 5145
Località: Hradec Kralove,Czech republik
Nome: Jan Matějíček
Ho trovato nella vecchia collezione dopo il mio amico Rudolf Rous

Löbl I. et Löbl D., 2015 - Catalogue of Palaearctic Coleoptera. Volume 2. Revised and Updated Edition. Hydrophiloidea - Staphylinoidea

leonhardi Bernhauer, 1912d: 110 (Zyras) E: IT (Sicilia)

Pella leonhardi (Bernhauer, 1912)
= Zyras leonhardi Bernhauer, 1912

check - list Italie Zyras leonhardi Bernhauer, 1912 Si E


Zyras leonhardi Bernhauer,  1912 - Kopie.jpg

Pella leonhardi (Bernhauer,  1912) - Kopie - Kopie.jpg

descrizione originale
Zyras leonhardi Bernhauer, 1912.pdf [464.01 KiB]
Scaricato 49 volte
Pella leonhardi (Bernhauer, 1912) - Kopie.jpg


_________________
Research Fields
Taxonomy, ecology, biomonitoring , faunistic of Staphylinidae
Top
profilo
Visualizza ultimi messaggi:  Ordina per  
nuovo argomento
rispondi
Pagina 1 di 1 [ 1 messaggio ]

Tutti gli orari sono UTC + 1 ora [ ora legale ]


Chi c’è in linea

Visitano il forum: Nessuno e 3 ospiti


Non puoi aprire nuovi argomenti
Non puoi rispondere negli argomenti
Non puoi modificare i tuoi messaggi
Non puoi cancellare i tuoi messaggi
Non puoi inviare allegati

Cerca per:
Vai a: