Benvenuto Ospite

Forum Entomologi Italiani

www.entomologiitaliani.net/forum
 
Oggi è 28/10/2025, 16:16

Tutti gli orari sono UTC + 1 ora [ ora legale ]

Tachyporus sp. - Staphylinidae

3.X.2023 - ITALIA - Friuli-Venezia Giulia - PN, Risorgive del Venchiaruzzo, Cordenons, PN


nuovo argomento
rispondi
Pagina 1 di 1 [ 5 messaggi ]
Autore Messaggio
 Oggetto del messaggio: Tachyporus sp. - Staphylinidae
MessaggioInviato: 21/11/2023, 22:45 
 

Iscritto il: 08/05/2011, 15:36
Messaggi: 347
Nome: Gabriele Stefani
Buonasera a tutti,

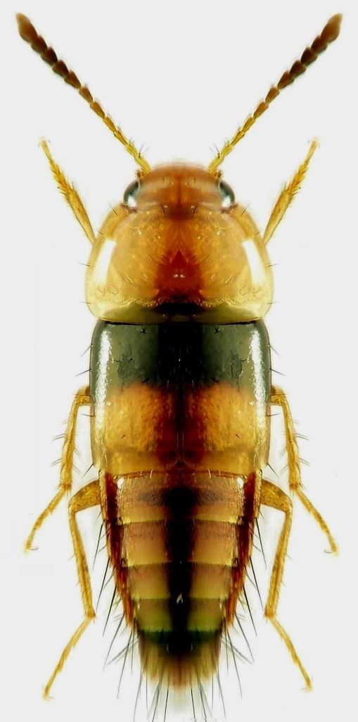
so che sono famiglie complesse, ma proviamo...stafilinide di 4,0 mm., a sfalcio in zona umida, non so se possa trattarsi di Sepedophylus o di Tachyporus, ma il secondo mi ispira un pò di più...potrebbe trattarsi del formosus Matthews,1838? La colorazione mi porterebbe lì....
Grazie a tutti e buona serata.

Gabriele. :hi:


PB210003.JPG

Top
profilo
 Oggetto del messaggio: Re: Determinazione Stafilinide
MessaggioInviato: 21/11/2023, 23:16 
 

Iscritto il: 13/06/2022, 19:25
Messaggi: 204
Località: Cambiago (MI)
Nome: Lorenzo Locati
Tachyporus, non Sepedophilus, ma per il formosus direi che la colorazione addominale è errata.

Se estraessi i genitali chi ne sa più di me saprebbe aiutarti meglio. :cap: :hi:


Top
profilo
 Oggetto del messaggio: Re: Determinazione Stafilinide
MessaggioInviato: 21/11/2023, 23:22 
 

Iscritto il: 08/05/2011, 15:36
Messaggi: 347
Nome: Gabriele Stefani
Grazie Lorenzo, vediamo cosa si riesce a fare...buona serata.

Gabriele. :hi:


Top
profilo
 Oggetto del messaggio: Re: Determinazione Stafilinide
MessaggioInviato: 21/11/2023, 23:44 
Avatar utente

Iscritto il: 09/11/2009, 14:12
Messaggi: 5145
Località: Hradec Kralove,Czech republik
Nome: Jan Matějíček
Tachyporus obtusus (Linné, 1767)


Tachyporus obtusus (Linné, 1767).jpg


_________________
Research Fields
Taxonomy, ecology, biomonitoring , faunistic of Staphylinidae
Top
profilo
 Oggetto del messaggio: Re: Determinazione Stafilinide
MessaggioInviato: 21/11/2023, 23:50 
 

Iscritto il: 08/05/2011, 15:36
Messaggi: 347
Nome: Gabriele Stefani
Jan, l'avevo preso in considerazione, ma l'addome di obtusus è molto chiaro, cosa dici? :roll:


Top
profilo
Visualizza ultimi messaggi:  Ordina per  
nuovo argomento
rispondi
Pagina 1 di 1 [ 5 messaggi ]

Tutti gli orari sono UTC + 1 ora [ ora legale ]


Chi c’è in linea

Visitano il forum: Nessuno e 1 ospite


Non puoi aprire nuovi argomenti
Non puoi rispondere negli argomenti
Non puoi modificare i tuoi messaggi
Non puoi cancellare i tuoi messaggi
Non puoi inviare allegati

Cerca per:
Vai a: