Benvenuto Ospite

Forum Entomologi Italiani

www.entomologiitaliani.net/forum
 
Oggi è 11/10/2025, 7:50

Tutti gli orari sono UTC + 1 ora [ ora legale ]

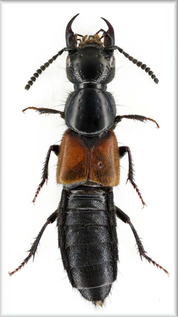
Philonthus (Philonthus ) nitidus (Fabricius, 1787) - Staphylininae - Philonthini

5.IX.2010 - ITALIA - Trentino-Alto Adige - BZ, Malga Fanes 1700-1800m/slm - Vales


nuovo argomento
rispondi
Pagina 1 di 1 [ 6 messaggi ]
Autore Messaggio
MessaggioInviato: 13/06/2011, 12:47 
Avatar utente

Iscritto il: 22/05/2009, 21:00
Messaggi: 2773
Località: Pergine Valsugana (TN)
Nome: Andrea Carlin
:hi: Questa volta mi vedo costretto ad inserire questa foto di un esemplare che avevo momentaneamente parcheggiato sulla "tavoletta preparatoria" (per fargli una foto appunto) e che ora, dopo parecchio tempo, non riesco più a ricordare da quale località viene essendo assieme a coleotteri provenienti dal lago di Levico (TN) 450 m/slm e da altri provenienti dall'Alto Adige e più precisamente da Malga Fanes 1700-1800 m/slm - comune di Vales, Bressanone (BZ).... :cry:

Chiedo cortesemente (a Jan soprattutto, ma non solo...) se si riesce a capire qual'è la più probabile provenienza fra le due sopra esposte.... (in base alla quota ed all'habitat...). :lov2:

:birra: Grazie mille! :birra:

lunghezza: 13 mm
Staphylino vert.jpg

Staphylino oriz.jpg


_________________
Andrea Carlin, Pergine Valsugana (TN) carlin.andrea(AT)gmail.com

Nota: tutti gli esemplari inseriti nelle discussioni aperte da me sono da ritenere "Andrea Carlin legit" se non diversamente specificato.


Top
profilo
MessaggioInviato: 13/06/2011, 15:35 
Avatar utente

Iscritto il: 09/11/2009, 14:12
Messaggi: 5144
Località: Hradec Kralove,Czech republik
Nome: Jan Matějíček
Philonthus (s.str.) nitidus (Fabricius, 1787) - Staphylininae - Philonthini

http://coleoptera.ksib.pl/search.php?img=23526

_________________
Research Fields
Taxonomy, ecology, biomonitoring , faunistic of Staphylinidae


Top
profilo
MessaggioInviato: 13/06/2011, 22:14 
Avatar utente

Iscritto il: 22/05/2009, 21:00
Messaggi: 2773
Località: Pergine Valsugana (TN)
Nome: Andrea Carlin
:birra: Thank Jan! :lov2:

Dear Jan, do you think this species can be found on the high alpine pastures (altitude above 1700 m) or its habitat is the bottom of the valley (lowland wet forests 400-500 m above sea level)?

:hi: :hi: :hi:

_________________
Andrea Carlin, Pergine Valsugana (TN) carlin.andrea(AT)gmail.com

Nota: tutti gli esemplari inseriti nelle discussioni aperte da me sono da ritenere "Andrea Carlin legit" se non diversamente specificato.


Top
profilo
MessaggioInviato: 14/06/2011, 5:57 
Avatar utente

Iscritto il: 09/11/2009, 14:12
Messaggi: 5144
Località: Hradec Kralove,Czech republik
Nome: Jan Matějíček
Species living in mostly northern and central Europe, Fennoscandia far above the Arctic Circle, reaching westward into France, and south to northern Italy and Serbia and Transylvania, also recorded from Siberia.
Live from the high mountains (subalpine zone) but also in the lowlands (in pasture),feces of animals, herbivores, especially cattle and sheep, rarely found in the compost and decaying vegetation and rotting fungi.

_________________
Research Fields
Taxonomy, ecology, biomonitoring , faunistic of Staphylinidae


Top
profilo
MessaggioInviato: 14/06/2011, 22:34 
Avatar utente

Iscritto il: 22/05/2009, 21:00
Messaggi: 2773
Località: Pergine Valsugana (TN)
Nome: Andrea Carlin
:birra: Thank you Jan, then definitely come from South Tyrol ... :ok:

Riporto quindi di seguito i dati completi:

TRENTINO ALTO ADIGE - Malga Fanes 1700-1800m/slm - Vales (BZ) 05.IX.2010

:hi: :hi: :hi:

_________________
Andrea Carlin, Pergine Valsugana (TN) carlin.andrea(AT)gmail.com

Nota: tutti gli esemplari inseriti nelle discussioni aperte da me sono da ritenere "Andrea Carlin legit" se non diversamente specificato.


Top
profilo
MessaggioInviato: 20/11/2012, 0:59 
Avatar utente

Iscritto il: 28/04/2010, 23:44
Messaggi: 2107
Località: Roma
Nome: Valerio Viglioglia
Andrea Pergine ha scritto:
:hi: Questa volta mi vedo costretto ad inserire questa foto di un esemplare ... che ora, dopo parecchio tempo, non riesco più a ricordare da quale località viene essendo assieme a coleotteri provenienti dal lago di Levico (TN) 450 m/slm e da altri provenienti dall'Alto Adige e più precisamente da Malga Fanes 1700-1800 m/slm - comune di Vales, Bressanone (BZ).... :cry:

Chiedo cortesemente (a Jan soprattutto, ma non solo...) se si riesce a capire qual'è la più probabile provenienza fra le due sopra esposte.... (in base alla quota ed all'habitat...). :lov2:


:lol: :lol: :lol: :lol:
Non ci credo, ho messo anche io proprio oggi una foto di un esemplare della stessa specie di cui avevo un dubbio tra due cartellini vedi qui
:lol: :lol: :lol: :lol:
Grazie al buon Jan che mi ha indicato la specie ho fatto una ricerca per capire quale potesse essere il più probabile (per me era più facile, le opzioni erano Trentino o Lazio) e trovo questa discussione.
Bella coincidenza :birra:

_________________
Valerio V


Top
profilo
Visualizza ultimi messaggi:  Ordina per  
nuovo argomento
rispondi
Pagina 1 di 1 [ 6 messaggi ]

Tutti gli orari sono UTC + 1 ora [ ora legale ]


Chi c’è in linea

Visitano il forum: Nessuno e 1 ospite


Non puoi aprire nuovi argomenti
Non puoi rispondere negli argomenti
Non puoi modificare i tuoi messaggi
Non puoi cancellare i tuoi messaggi
Non puoi inviare allegati

Cerca per:
Vai a: