Benvenuto Ospite

Forum Entomologi Italiani

www.entomologiitaliani.net/forum
 
Oggi è 10/10/2025, 13:35

Tutti gli orari sono UTC + 1 ora [ ora legale ]

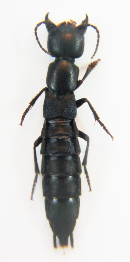
Ocypus alpestris Erichson, 1840 cf. - Staphylinidae

7.VIII.2012 - ITALIA - Trentino-Alto Adige - BZ, Seceda, Ortisei


nuovo argomento
rispondi
Pagina 1 di 1 [ 4 messaggi ]
Autore Messaggio
MessaggioInviato: 06/01/2013, 20:11 
Avatar utente

Iscritto il: 10/05/2009, 15:30
Messaggi: 7182
Località: Ancona
Nome: Giacomo Giovagnoli
Raccolto in pascolo sotto pietra sul Seceda (Ortisei, Bolzano) il 07.VIII.2012 a 2100m circa.

Mi fermo ad Ocypus! :oops:

Dimensioni: 23,5mm
CIMG0388.jpg


CIMG0385.jpg



Ciao :)

_________________
Immagine Giacomo


Top
profilo
 Oggetto del messaggio: Re: Ocypus da ID... - Staphylinidae
MessaggioInviato: 07/01/2013, 11:07 
 

Iscritto il: 06/02/2009, 9:09
Messaggi: 527
Località: Milano
Nome: Nicola Pilon
Può essere Ocypus alpestris o O. brevipennis, si distinguono con certezza dall'edeago e sono presenti entrambi in quella zona. E' una femmina ma per le dimensioni e altri dettagli direi con maggiore probabilità O. alpestris.
Nic


Top
profilo
 Oggetto del messaggio: Re: Ocypus da ID... - Staphylinidae
MessaggioInviato: 07/01/2013, 12:11 
Avatar utente

Iscritto il: 09/11/2009, 14:12
Messaggi: 5144
Località: Hradec Kralove,Czech republik
Nome: Jan Matějíček
Punktur von Kopf und Pronotum dicht und grob, besonders in der
Vorderhälfte des Pronotums an den Seiten deutlich genabelt, Punktgruben
leicht vertieft, oft schwach verrunze1t. Elytren und Abdomen schwarz
beborstet, höchstens die äußersten Spitzen der Borsten leicht rötlich
aufgehellt. Durchschnittlich größer, 18-25 mm (RL: 9,0-11,0 mm).
<3: Aedoeagus wie in Abb. 199a. Ostalpen. Von der östlichsten Schweiz bis
nach Slowenien verbreitet. Besonders im Süden der Alpen häufig. Montan
bis alpin .............. ................................................ .. ...... alpestris ERICHSON, 1840
Punktur von Kopf und Pronotum sehr dicht und fein, Nabe1ung generell sehr
undeutlich oder nicht erkennbar, Punktgruben flach, ohne Spur einer
Verrunzelung. Borsten der Elytren und des Abdomens mit schwarzer
Basalhälfte, distale Hälfte rostrot bis rotgolden, Beborstung daher in der
Gesamtheit heller erscheinend. Die Art variiert enorm in der Größe: 12-
22 mm (RL: 6,5-9,5 mm). <3: Aedoeagus wie in Abb. 199b. Im gesamten
Ost- und Zentralalpengebiet von Savoyen bis nach Slowenien. Nicht selten. . .....
.................................................................... ............... .. brevipennis (HEER, 1839)


DSC_0001.JPG

DSC_0002.JPG

Bez názvu.jpg


_________________
Research Fields
Taxonomy, ecology, biomonitoring , faunistic of Staphylinidae
Top
profilo
MessaggioInviato: 07/01/2013, 15:28 
Avatar utente

Iscritto il: 10/05/2009, 15:30
Messaggi: 7182
Località: Ancona
Nome: Giacomo Giovagnoli
Grazie mille!!! :D

_________________
Immagine Giacomo


Top
profilo
Visualizza ultimi messaggi:  Ordina per  
nuovo argomento
rispondi
Pagina 1 di 1 [ 4 messaggi ]

Tutti gli orari sono UTC + 1 ora [ ora legale ]


Chi c’è in linea

Visitano il forum: Nessuno e 1 ospite


Non puoi aprire nuovi argomenti
Non puoi rispondere negli argomenti
Non puoi modificare i tuoi messaggi
Non puoi cancellare i tuoi messaggi
Non puoi inviare allegati

Cerca per:
Vai a: