Benvenuto Ospite

Forum Entomologi Italiani

www.entomologiitaliani.net/forum
 
Oggi è 10/10/2025, 7:25

Tutti gli orari sono UTC + 1 ora [ ora legale ]

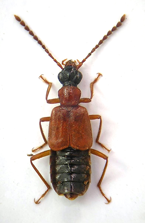
Deleaster dichrous (Gravenhorst, 1802) - Staphylinidae Oxytelinae

25.VII.2012 - ITALIA - Abruzzo - PE, Pianella


nuovo argomento
rispondi
Pagina 1 di 1 [ 4 messaggi ]
Autore Messaggio
MessaggioInviato: 26/03/2014, 22:17 
Avatar utente

Iscritto il: 23/06/2010, 19:05
Messaggi: 2580
Località: Pescara
Nome: Alessio Morelli
A questi si uniscono "quelli" simili a cimici :D .

Arrivato alla lampada UV sul balcone di casa. Forse Deleaster sp. :roll:

6mm
Staphy 4.jpg



Top
profilo
 Oggetto del messaggio: Re: Staphylinidae 4 da ID
MessaggioInviato: 26/03/2014, 22:28 
Avatar utente

Iscritto il: 06/02/2009, 9:07
Messaggi: 1483
Località: Val Camonica (BS)
Nome: Davide Pedersoli
Deleaster dichrous?

_________________
Pedux Camuno


Top
profilo
 Oggetto del messaggio: Re: Staphylinidae 4 da ID
MessaggioInviato: 27/03/2014, 7:27 
Avatar utente

Iscritto il: 09/11/2009, 14:12
Messaggi: 5144
Località: Hradec Kralove,Czech republik
Nome: Jan Matějíček
Subfamily: O x y t e l i n a e
Deleaster dichrous (Gravenhorst, 1802)

_________________
Research Fields
Taxonomy, ecology, biomonitoring , faunistic of Staphylinidae


Top
profilo
 Oggetto del messaggio: Re: Staphylinidae 4 da ID
MessaggioInviato: 27/03/2014, 11:57 
Avatar utente

Iscritto il: 23/06/2010, 19:05
Messaggi: 2580
Località: Pescara
Nome: Alessio Morelli
Grazie Davide e Grazie Jan :hp: :birra:


Top
profilo
Visualizza ultimi messaggi:  Ordina per  
nuovo argomento
rispondi
Pagina 1 di 1 [ 4 messaggi ]

Tutti gli orari sono UTC + 1 ora [ ora legale ]


Chi c’è in linea

Visitano il forum: Nessuno e 1 ospite


Non puoi aprire nuovi argomenti
Non puoi rispondere negli argomenti
Non puoi modificare i tuoi messaggi
Non puoi cancellare i tuoi messaggi
Non puoi inviare allegati

Cerca per:
Vai a: