Benvenuto Ospite

Forum Entomologi Italiani

www.entomologiitaliani.net/forum
 
Oggi è 11/10/2025, 10:52

Tutti gli orari sono UTC + 1 ora [ ora legale ]

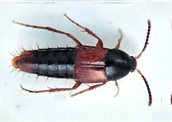
Bolitobius castaneus (Stephens, 1832) - Staphylinidae Tachyporinae Mycetoporini

7.IV.1992 - ITALIA - Lazio - RM, Monti Sabatini Casaccia S.Maria di Galeria


nuovo argomento
rispondi
Pagina 1 di 1 [ 3 messaggi ]
Autore Messaggio
MessaggioInviato: 09/02/2015, 7:34 
 

Iscritto il: 20/08/2013, 18:14
Messaggi: 1185
Nome: Paolo Maltzeff
Raccolto a vista in ambiente aperto su terreno vulcanico.
E' possibile determinarne la specie?
CIMG2245.JPG

CIMG2250.JPG

CIMG2254.JPG

CIMG2258.JPG

CIMG2264.JPG


Grazie!
Paolo


Top
profilo
 Oggetto del messaggio: Re: Staphylinidae 6 mm.
MessaggioInviato: 09/02/2015, 7:51 
Avatar utente

Iscritto il: 09/11/2009, 14:12
Messaggi: 5144
Località: Hradec Kralove,Czech republik
Nome: Jan Matějíček
Bolitobius castaneus (Stephens, 1832) - Staphylinidae Tachyporinae Mycetoporini


castaneu (2).jpg

castaneu.jpg


_________________
Research Fields
Taxonomy, ecology, biomonitoring , faunistic of Staphylinidae
Top
profilo
 Oggetto del messaggio: Re: Staphylinidae 6 mm.
MessaggioInviato: 10/02/2015, 7:42 
 

Iscritto il: 20/08/2013, 18:14
Messaggi: 1185
Nome: Paolo Maltzeff
Thank you Jan!
Paolo


Top
profilo
Visualizza ultimi messaggi:  Ordina per  
nuovo argomento
rispondi
Pagina 1 di 1 [ 3 messaggi ]

Tutti gli orari sono UTC + 1 ora [ ora legale ]


Chi c’è in linea

Visitano il forum: Nessuno e 2 ospiti


Non puoi aprire nuovi argomenti
Non puoi rispondere negli argomenti
Non puoi modificare i tuoi messaggi
Non puoi cancellare i tuoi messaggi
Non puoi inviare allegati

Cerca per:
Vai a: