Benvenuto Ospite

Forum Entomologi Italiani

www.entomologiitaliani.net/forum
 
Oggi è 10/10/2025, 11:33

Tutti gli orari sono UTC + 1 ora [ ora legale ]

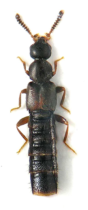
Phloeopora teres (Gravenhorst, 1802) (cf.) - Staphylinidae Aleocharinae

30.V.2015 - ITALIA - Abruzzo - AQ, Pescocostanzo, Bosco di S. Antonio


nuovo argomento
rispondi
Pagina 1 di 1 [ 3 messaggi ]
Autore Messaggio
MessaggioInviato: 16/06/2015, 16:11 
Avatar utente

Iscritto il: 23/06/2010, 19:05
Messaggi: 2580
Località: Pescara
Nome: Alessio Morelli
30-V-2015, Pescocostanzo, Bosco di S. Antonio
Ultimo Staphylinide, proveniente dal Bosco di S. Antonio :sma: .
Di questo purtroppo non ricordo alcun dato ecologico. Di sicuro raccolto nel sottobosco, forse (dico forse) all'interno di una carie di un faggio.
Come se non bastasse ho pure perso la spermateca :cry: , nel (brevissimo) tragitto tra la goccia d'acqua e il cartellino! :no1:

Forse Phloeopora? :roll:

Thanks :hi:

Dimensioni: 3mm ca.

staphy 6 a.jpg


:ohno
staphy 6 c.JPG



Top
profilo
 Oggetto del messaggio: Re: Aleocharinae 5 da ID
MessaggioInviato: 16/06/2015, 16:50 
Avatar utente

Iscritto il: 09/11/2009, 14:12
Messaggi: 5144
Località: Hradec Kralove,Czech republik
Nome: Jan Matějíček
Phloeopora teres (Gravenhorst, 1802) cf.


Phloeopora teres (Gravenhorst, 1802).jpg


_________________
Research Fields
Taxonomy, ecology, biomonitoring , faunistic of Staphylinidae
Top
profilo
 Oggetto del messaggio: Re: Aleocharinae 5 da ID
MessaggioInviato: 16/06/2015, 19:40 
Avatar utente

Iscritto il: 23/06/2010, 19:05
Messaggi: 2580
Località: Pescara
Nome: Alessio Morelli
Mille grazie :lov2:


Top
profilo
Visualizza ultimi messaggi:  Ordina per  
nuovo argomento
rispondi
Pagina 1 di 1 [ 3 messaggi ]

Tutti gli orari sono UTC + 1 ora [ ora legale ]


Chi c’è in linea

Visitano il forum: Nessuno e 1 ospite


Non puoi aprire nuovi argomenti
Non puoi rispondere negli argomenti
Non puoi modificare i tuoi messaggi
Non puoi cancellare i tuoi messaggi
Non puoi inviare allegati

Cerca per:
Vai a: