Benvenuto Ospite

Forum Entomologi Italiani

www.entomologiitaliani.net/forum
 
Oggi è 13/12/2025, 23:26

Tutti gli orari sono UTC + 1 ora [ ora legale ]

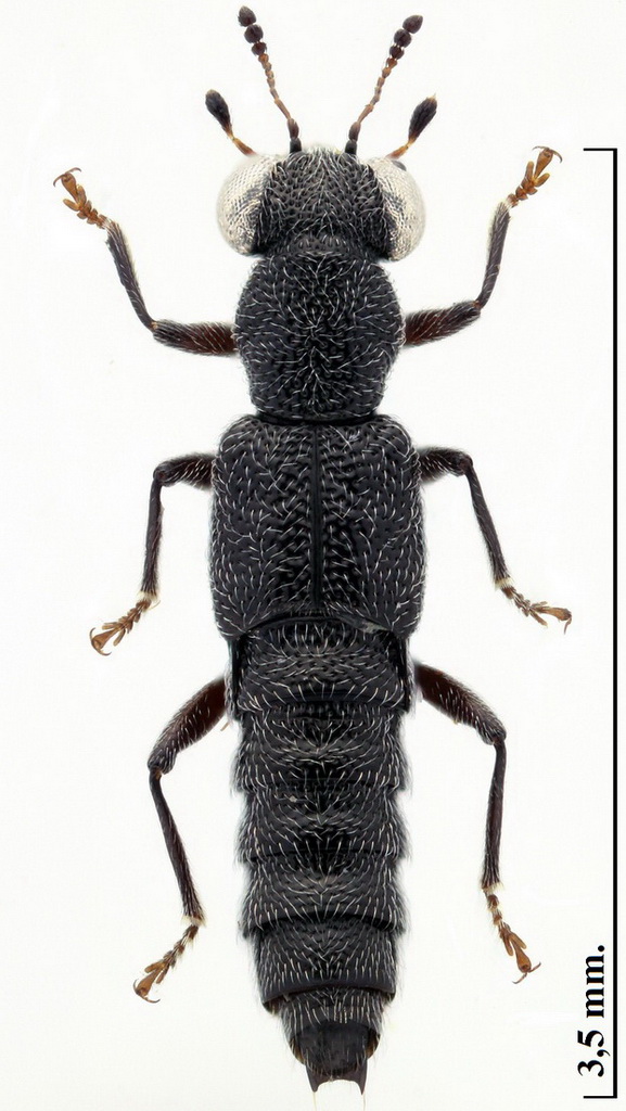
Stenus (Hypostenus) sengleti Puthz, 1971 - Staphylinidae

17.IV.2017 - SPAGNA - EE, salina Dolores, Cádiz, Andalucía.


nuovo argomento
rispondi
Vai alla pagina 1, 2  Prossimo
Pagina 1 di 2 [ 20 messaggi ]
Autore Messaggio
MessaggioInviato: 18/04/2017, 17:34 
Avatar utente

Iscritto il: 28/03/2011, 14:46
Messaggi: 634
Località: Cadiz, España
Nome: Antonio Verdugo
Capturado en ambiente de marismas (marshes), batiendo gramíneas y ciperáceas.
L: 3,5 mm.


STENUS SP medido.jpg


_________________
Antonio Verdugo
https://sites.google.com/site/unentomologoandaluz/
Top
profilo
 Oggetto del messaggio: Re: Staphylinidae a determinar
MessaggioInviato: 18/05/2017, 8:12 
 

Iscritto il: 10/08/2010, 14:39
Messaggi: 3234
Località: Milano
Nome: Carlo Monari
rilancio

_________________
Ciao

Carlo


Top
profilo
 Oggetto del messaggio: Re: Staphylinidae a determinar
MessaggioInviato: 18/05/2017, 15:36 
Avatar utente

Iscritto il: 23/06/2010, 11:11
Messaggi: 2784
Località: Cagliari
Nome: Gianpaolo Ruzzante
Stenus ?


Top
profilo
 Oggetto del messaggio: Re: Staphylinidae a determinar
MessaggioInviato: 18/05/2017, 15:43 
Avatar utente

Iscritto il: 19/06/2012, 14:35
Messaggi: 5647
Località: Alfonsine (RA)
Nome: Marco Villani
Credo sia uno Stenus (Hemistenus), ma non vedo se ha un piccolo dentino pre-apicale nel margine interno delle tibie posteriori.

Marco :hi:


Top
profilo
 Oggetto del messaggio: Re: Staphylinidae a determinar
MessaggioInviato: 19/05/2017, 10:10 
Avatar utente

Iscritto il: 17/06/2012, 8:30
Messaggi: 417
Nome: Tomasz Gazurek
yo buscaria en subgenero Hypostenus.
saludos!
Tomasz


Top
profilo
 Oggetto del messaggio: Re: Staphylinidae a determinar
MessaggioInviato: 19/05/2017, 10:18 
Avatar utente

Iscritto il: 28/03/2011, 14:46
Messaggi: 634
Località: Cadiz, España
Nome: Antonio Verdugo
marco villa ha scritto:
Credo sia uno Stenus (Hemistenus), ma non vedo se ha un piccolo dentino pre-apicale nel margine interno delle tibie posteriori.

Marco :hi:


Non existe piccolo dentino preapical en metatibia :bln:


metatbia.jpg


_________________
Antonio Verdugo
https://sites.google.com/site/unentomologoandaluz/
Top
profilo
 Oggetto del messaggio: Re: Staphylinidae a determinar
MessaggioInviato: 19/05/2017, 10:31 
Avatar utente

Iscritto il: 17/06/2012, 8:30
Messaggi: 417
Nome: Tomasz Gazurek
Lo que se nota, que el abdomen no tiene los rebordes bien visibles en todos los segmentos y que el ultimo segmento de los tarsos tiene forma de lobulos, lo que conduce a mencionado subgenero. No hay muchas especies en este genero, pero genial seria extraer el organo copulador.


Top
profilo
 Oggetto del messaggio: Re: Staphylinidae a determinar
MessaggioInviato: 19/05/2017, 10:37 
Avatar utente

Iscritto il: 28/03/2011, 14:46
Messaggi: 634
Località: Cadiz, España
Nome: Antonio Verdugo
togaspain ha scritto:
Lo que se nota, que el abdomen no tiene los rebordes bien visibles en todos los segmentos y que el ultimo segmento de los tarsos tiene forma de lobulos, lo que conduce a mencionado subgenero. No hay muchas especies en este genero, pero genial seria extraer el organo copulador.


Voy a extraer el edeago, dame unos minutos y subo su imagen!

_________________
Antonio Verdugo
https://sites.google.com/site/unentomologoandaluz/


Top
profilo
 Oggetto del messaggio: Re: Staphylinidae a determinar
MessaggioInviato: 19/05/2017, 10:54 
Avatar utente

Iscritto il: 28/03/2011, 14:46
Messaggi: 634
Località: Cadiz, España
Nome: Antonio Verdugo
Antonio Verdugo ha scritto:
togaspain ha scritto:
Lo que se nota, que el abdomen no tiene los rebordes bien visibles en todos los segmentos y que el ultimo segmento de los tarsos tiene forma de lobulos, lo que conduce a mencionado subgenero. No hay muchas especies en este genero, pero genial seria extraer el organo copulador.


Voy a extraer el edeago, dame unos minutos y subo su imagen!

Lo siento mucho, el extremo del abdomen ha salido "volando" después de pasar por un baño de KOH, para digerir un poco los tejidos...las prisas nunca son buenas compañeras.
El año próximo intentaré conseguir nuevos ejemplares y extraer el edeago.
Gracias por todo Tomasz!

_________________
Antonio Verdugo
https://sites.google.com/site/unentomologoandaluz/


Top
profilo
 Oggetto del messaggio: Re: Staphylinidae a determinar
MessaggioInviato: 19/05/2017, 12:56 
Avatar utente

Iscritto il: 17/06/2012, 8:30
Messaggi: 417
Nome: Tomasz Gazurek
Lo siento que el material ha explotado :gh: :gh:
Yo normalmente ablando el material con el agua que esta hirviendo, metiendolo dentro para unos 10 minutos. Esto basta para ver claramente de que se trata. Pero por supuesto es mucho mejor pasar por el baño en KOH, por lo menos para los materiales, que se utiliza en publicaciones.
Abrazos! :lov2:
Tomasz


Top
profilo
 Oggetto del messaggio: Re: Staphylinidae a determinar
MessaggioInviato: 19/05/2017, 13:02 
Avatar utente

Iscritto il: 09/11/2009, 14:12
Messaggi: 5164
Località: Hradec Kralove,Czech republik
Nome: Jan Matějíček
Stenus (Hypostenus)


Bez názvu %2813%29.jpg


_________________
Research Fields
Taxonomy, ecology, biomonitoring , faunistic of Staphylinidae
Top
profilo
 Oggetto del messaggio: Re: Staphylinidae a determinar
MessaggioInviato: 19/05/2017, 13:12 
Avatar utente

Iscritto il: 28/03/2011, 14:46
Messaggi: 634
Località: Cadiz, España
Nome: Antonio Verdugo
Honza ha scritto:
Stenus (Hypostenus)


After the image from Honza, the third tarsal segment of metatibiae is not bilobated and short, so is posible a Nestus?????

_________________
Antonio Verdugo
https://sites.google.com/site/unentomologoandaluz/


Top
profilo
 Oggetto del messaggio: Re: Staphylinidae a determinar
MessaggioInviato: 19/05/2017, 15:20 
 

Iscritto il: 02/11/2010, 22:33
Messaggi: 991
Nome: Aleksei Kovalev
This is "Hypostenus" (aff. tarsalis/oscillator/etc.), possibly S. sengleti Puthz, 1971, but I don't know this species.

:hi:


Ultima modifica di AetherisIgnis il 19/05/2017, 15:24, modificato 1 volta in totale.

Top
profilo
 Oggetto del messaggio: Re: Staphylinidae a determinar
MessaggioInviato: 19/05/2017, 15:23 
Avatar utente

Iscritto il: 17/06/2012, 8:30
Messaggi: 417
Nome: Tomasz Gazurek
No lo veo posible. Los machos del subgenero Nestus tienen un dientecito en las tibias, ademas la tibia no esta curvada de forma que marca la foto. Muy pocas especies de Nestus - en Polonia unicamente Stenus (Nestus) fuscipes - tiene el abdomen sin reborde, los demas lo tienen bien rebordado, asi como el primer segmento lo que tiene ejemplar de la foto, sino en todos los segmentos. La forma de los tarsos depende mucho de cual angulo se mira el ejemplar.
Apunto a Hypostenus, pero a pesar que la foto es de calidad estupenda, no estoy dispuesto a identificarlo.
:lov2:


Top
profilo
 Oggetto del messaggio: Re: Staphylinidae a determinar
MessaggioInviato: 19/05/2017, 15:28 
Avatar utente

Iscritto il: 17/06/2012, 8:30
Messaggi: 417
Nome: Tomasz Gazurek
las tablas de identificacion tambien me conducen a H. tarsalis o oscillator, como lo menciona Aleksei, pero no me parece a ninguno de ellas y el sengleti no conozco. :?
:hi:


Top
profilo
Visualizza ultimi messaggi:  Ordina per  
nuovo argomento
rispondi
Vai alla pagina 1, 2  Prossimo
Pagina 1 di 2 [ 20 messaggi ]

Tutti gli orari sono UTC + 1 ora [ ora legale ]


Chi c’è in linea

Visitano il forum: Nessuno e 1 ospite


Non puoi aprire nuovi argomenti
Non puoi rispondere negli argomenti
Non puoi modificare i tuoi messaggi
Non puoi cancellare i tuoi messaggi
Non puoi inviare allegati

Cerca per:
Vai a: