Benvenuto Ospite

Forum Entomologi Italiani

www.entomologiitaliani.net/forum
 
Oggi è 10/10/2025, 23:17

Tutti gli orari sono UTC + 1 ora [ ora legale ]

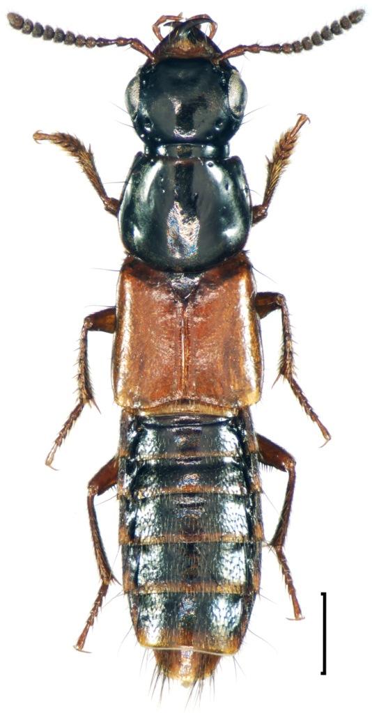
Quedius (Microsaurus) cruentus (Olivier, 1795) (cf.) - Staphylinidae

3.VI.2017 - ITALIA - Lombardia - SO, Valfurva - Rif. Stella alpina


nuovo argomento
rispondi
Pagina 1 di 1 [ 9 messaggi ]
Autore Messaggio
MessaggioInviato: 27/11/2018, 13:45 
 

Iscritto il: 30/12/2014, 18:57
Messaggi: 1027
Nome: Adriana Lecis
Salve! Sarà un Aleochara????? :roll: :roll: :roll: :roll: Misura circa 9 mm. Se non ricordo male, raccolta sotto legna marcescente.....


d2.jpg

d1.jpg

Top
profilo
 Oggetto del messaggio: Re: Determinazione Staphylinidae
MessaggioInviato: 27/11/2018, 17:01 
Avatar utente

Iscritto il: 05/02/2010, 19:48
Messaggi: 354
Nome: andrea bramanti
sembra più un Quedius...


Top
profilo
 Oggetto del messaggio: Re: Determinazione Staphylinidae
MessaggioInviato: 27/11/2018, 20:51 
Avatar utente

Iscritto il: 09/11/2009, 14:12
Messaggi: 5144
Località: Hradec Kralove,Czech republik
Nome: Jan Matějíček
Quedius (Microsaurus) cruentus (Olivier, 1795) cf.


Bez     názvu.jpg

cruentus.jpg

cruentus (3).jpg

cruentus (2).jpg


_________________
Research Fields
Taxonomy, ecology, biomonitoring , faunistic of Staphylinidae
Top
profilo
 Oggetto del messaggio: Re: Determinazione Staphylinidae
MessaggioInviato: 27/11/2018, 22:55 
Avatar utente

Iscritto il: 09/11/2009, 14:12
Messaggi: 5144
Località: Hradec Kralove,Czech republik
Nome: Jan Matějíček
http://coleop123.narod.ru/collection/st ... uentus.htm

_________________
Research Fields
Taxonomy, ecology, biomonitoring , faunistic of Staphylinidae


Top
profilo
 Oggetto del messaggio: Re: Determinazione Staphylinidae
MessaggioInviato: 27/11/2018, 23:15 
 

Iscritto il: 02/11/2010, 22:33
Messaggi: 990
Nome: Aleksei Kovalev
very similar to Quedionuchus plagiatus - as far as I can see, the elytral sculpture is quite characteristic
:hi:


Top
profilo
 Oggetto del messaggio: Re: Determinazione Staphylinidae
MessaggioInviato: 27/11/2018, 23:30 
Avatar utente

Iscritto il: 09/11/2009, 14:12
Messaggi: 5144
Località: Hradec Kralove,Czech republik
Nome: Jan Matějíček
AetherisIgnis ha scritto:
very similar to Quedionuchus plagiatus - as far as I can see, the elytral sculpture is quite characteristic
:hi:


sì, è anche possibile
difficile dalla foto


Quedius (Quedionuchus) plagiatus Mannerheim, 1843
plagiatu.jpg


_________________
Research Fields
Taxonomy, ecology, biomonitoring , faunistic of Staphylinidae
Top
profilo
 Oggetto del messaggio: Re: Determinazione Staphylinidae
MessaggioInviato: 28/11/2018, 17:54 
 

Iscritto il: 30/12/2014, 18:57
Messaggi: 1027
Nome: Adriana Lecis
Grazie Aleksei, e grazie Jan!!!! Hai ragione tu è proprio Quedus cruentus!!!!! :hi: :hi: :hi: :hi: :hi:


Top
profilo
 Oggetto del messaggio: Re: Determinazione Staphylinidae
MessaggioInviato: 13/12/2018, 10:10 
 

Iscritto il: 02/11/2010, 22:33
Messaggi: 990
Nome: Aleksei Kovalev
This specimen of Q. plagiatus seems to be a bit more typical: https://www.galerie-insecte.org/galerie ... 4_01_a.jpg
:hi:


Top
profilo
 Oggetto del messaggio: Re: Determinazione Staphylinidae
MessaggioInviato: 14/12/2018, 20:34 
 

Iscritto il: 30/12/2014, 18:57
Messaggi: 1027
Nome: Adriana Lecis
Grazie Aleksei! :hi: :hi: :hi:


Top
profilo
Visualizza ultimi messaggi:  Ordina per  
nuovo argomento
rispondi
Pagina 1 di 1 [ 9 messaggi ]

Tutti gli orari sono UTC + 1 ora [ ora legale ]


Chi c’è in linea

Visitano il forum: Nessuno e 2 ospiti


Non puoi aprire nuovi argomenti
Non puoi rispondere negli argomenti
Non puoi modificare i tuoi messaggi
Non puoi cancellare i tuoi messaggi
Non puoi inviare allegati

Cerca per:
Vai a: