Benvenuto Ospite

Forum Entomologi Italiani

www.entomologiitaliani.net/forum
 
Oggi è 29/10/2025, 7:47

Tutti gli orari sono UTC + 1 ora [ ora legale ]

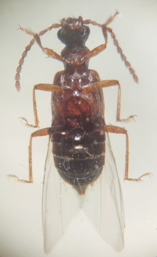
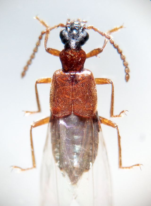
Deleaster dichrous (Gravenhorst, 1802) - Staphylinidae Oxytelinae

26.VI.2019 - ITALIA - Sicilia - PA, Madonie, Piano Battaglia, 1552 m


nuovo argomento
rispondi
Pagina 1 di 1 [ 3 messaggi ]
Autore Messaggio
MessaggioInviato: 27/03/2020, 13:20 
 

Iscritto il: 08/12/2013, 1:52
Messaggi: 7520
Località: Bagnacavallo (RA)
Nome: Giorgio Pezzi
mm 6,3. Fin dove si arriva? Grazie. :hi:
DSC02396.JPG



DSC02397.JPG

DSC02398.JPG

DSC02399.JPG

Top
profilo
 Oggetto del messaggio: Re: Staphylinidae da ID
MessaggioInviato: 27/03/2020, 14:55 
Avatar utente

Iscritto il: 09/11/2009, 14:12
Messaggi: 5145
Località: Hradec Kralove,Czech republik
Nome: Jan Matějíček
Deleaster dichrous (Gravenhorst, 1802) - Oxytelinae

_________________
Research Fields
Taxonomy, ecology, biomonitoring , faunistic of Staphylinidae


Top
profilo
 Oggetto del messaggio: Re: Staphylinidae da ID
MessaggioInviato: 27/03/2020, 19:31 
 

Iscritto il: 08/12/2013, 1:52
Messaggi: 7520
Località: Bagnacavallo (RA)
Nome: Giorgio Pezzi
Great! Many thanks!
:hi:


Top
profilo
Visualizza ultimi messaggi:  Ordina per  
nuovo argomento
rispondi
Pagina 1 di 1 [ 3 messaggi ]

Tutti gli orari sono UTC + 1 ora [ ora legale ]


Chi c’è in linea

Visitano il forum: Nessuno e 2 ospiti


Non puoi aprire nuovi argomenti
Non puoi rispondere negli argomenti
Non puoi modificare i tuoi messaggi
Non puoi cancellare i tuoi messaggi
Non puoi inviare allegati

Cerca per:
Vai a:  
cron