Benvenuto Ospite

Forum Entomologi Italiani

www.entomologiitaliani.net/forum
 
Oggi è 29/10/2025, 9:48

Tutti gli orari sono UTC + 1 ora [ ora legale ]

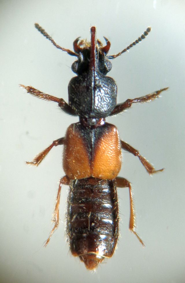
Bledius (Bledius) graellsi Fauvel, 1865 - Staphylinidae

29.VI.2019 - ITALIA - Sicilia - TP, Foce Belìce


nuovo argomento
rispondi
Pagina 1 di 1 [ 4 messaggi ]
Autore Messaggio
MessaggioInviato: 28/12/2020, 20:15 
 

Iscritto il: 08/12/2013, 1:52
Messaggi: 7520
Località: Bagnacavallo (RA)
Nome: Giorgio Pezzi
I cornetti frontali non sono molto lunghi come in tricornis; mm 6,5 corno escluso; non ho capito cosa ci sia in Sicilia di intermedio a graellsi e tricornis. Per Faunaeur assenti entrambi. :roll:
:hi:
DSC05054.JPG



DSC05059.JPG

DSC05062.JPG

DSC05061.JPG

Top
profilo
 Oggetto del messaggio: Re: Bledius sp.
MessaggioInviato: 02/01/2021, 11:54 
Avatar utente

Iscritto il: 19/06/2012, 14:35
Messaggi: 5632
Località: Alfonsine (RA)
Nome: Marco Villani
Per me è un Bledius graellsi Fauvel, 1865 per via del corno protoracico che supera chiaramente la testa e per i cornetti cefalici piuttosto corti. QUI lo puoi confrontare con il tricornis.
Marco :hi:


Top
profilo
 Oggetto del messaggio: Re: Bledius sp.
MessaggioInviato: 02/01/2021, 14:03 
Avatar utente

Iscritto il: 09/11/2009, 14:12
Messaggi: 5145
Località: Hradec Kralove,Czech republik
Nome: Jan Matějíček
confronta con l'immagine


Bledius graellsi Fauvel, 1865
graellsi.jpg

Bledius graellsi Fauvel, 1865
graellsi.jpg

Bledius graellsi Fauvel, 1865
graellsi.jpg


_________________
Research Fields
Taxonomy, ecology, biomonitoring , faunistic of Staphylinidae
Top
profilo
 Oggetto del messaggio: Re: Bledius sp.
MessaggioInviato: 03/01/2021, 12:47 
 

Iscritto il: 08/12/2013, 1:52
Messaggi: 7520
Località: Bagnacavallo (RA)
Nome: Giorgio Pezzi
Thank's to all; in my opinion graellsi was morfologically correct but colour of elitra was so clear. :ok:


Top
profilo
Visualizza ultimi messaggi:  Ordina per  
nuovo argomento
rispondi
Pagina 1 di 1 [ 4 messaggi ]

Tutti gli orari sono UTC + 1 ora [ ora legale ]


Chi c’è in linea

Visitano il forum: Nessuno e 3 ospiti


Non puoi aprire nuovi argomenti
Non puoi rispondere negli argomenti
Non puoi modificare i tuoi messaggi
Non puoi cancellare i tuoi messaggi
Non puoi inviare allegati

Cerca per:
Vai a: