Benvenuto Ospite

Forum Entomologi Italiani

www.entomologiitaliani.net/forum
 
Oggi è 10/10/2025, 7:25

Tutti gli orari sono UTC + 1 ora [ ora legale ]

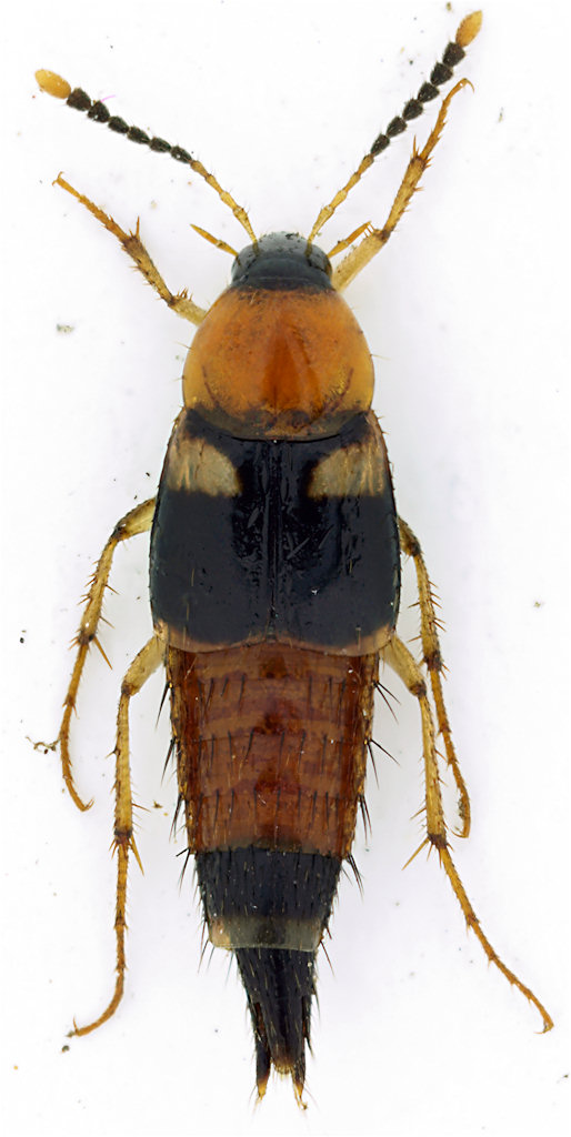
Lordithon lunulatus (Linnaeus, 1761) - Staphylinidae - Lazio

4.VII.2010 - ITALIA - Lazio - RI, Collegiove, 1100 m


nuovo argomento
rispondi
Pagina 1 di 1 [ 4 messaggi ]
Autore Messaggio
MessaggioInviato: 21/07/2010, 0:36 
Avatar utente

Iscritto il: 30/12/2009, 22:20
Messaggi: 31564
Località: Roma
Nome: Maurizio Gigli
Questo è da un po' che aspetta sul tavolo che gli faccia una foto:

Lazio, Rieti, Collegiove, 4.VII.2010, 1100 m, in castagneta, su Boletus pachypus, M. Gigli legit
5,5 mm

Staphylinidae_Collegiove_4-VII-2010_5,5mm.jpg


_________________
Maurizio Gigli
http://utenti.romascuola.net/bups
http://bup.xoom.it/


Top
profilo
 Oggetto del messaggio: Re: Staphylinidae dei funghi - Lazio
MessaggioInviato: 21/07/2010, 0:58 
Avatar utente

Iscritto il: 01/07/2010, 22:26
Messaggi: 5647
Località: Viterbo
Nome: Marco Selis
Tachyporus Gravenhorst 1802 :roll:


Top
profilo
 Oggetto del messaggio: Re: Staphylinidae dei funghi - Lazio
MessaggioInviato: 21/07/2010, 6:41 
Avatar utente

Iscritto il: 09/11/2009, 14:12
Messaggi: 5144
Località: Hradec Kralove,Czech republik
Nome: Jan Matějíček
Tachyporinae - Lordithon lunulatus (Linné, 1761)

_________________
Research Fields
Taxonomy, ecology, biomonitoring , faunistic of Staphylinidae


Top
profilo
 Oggetto del messaggio: Re: Staphylinidae dei funghi - Lazio
MessaggioInviato: 21/07/2010, 6:53 
Avatar utente

Iscritto il: 30/12/2009, 22:20
Messaggi: 31564
Località: Roma
Nome: Maurizio Gigli
Thank you very much!

_________________
Maurizio Gigli
http://utenti.romascuola.net/bups
http://bup.xoom.it/


Top
profilo
Visualizza ultimi messaggi:  Ordina per  
nuovo argomento
rispondi
Pagina 1 di 1 [ 4 messaggi ]

Tutti gli orari sono UTC + 1 ora [ ora legale ]


Chi c’è in linea

Visitano il forum: Nessuno e 1 ospite


Non puoi aprire nuovi argomenti
Non puoi rispondere negli argomenti
Non puoi modificare i tuoi messaggi
Non puoi cancellare i tuoi messaggi
Non puoi inviare allegati

Cerca per:
Vai a: