Benvenuto Ospite

Forum Entomologi Italiani

www.entomologiitaliani.net/forum
 
Oggi è 29/10/2025, 12:46

Tutti gli orari sono UTC + 1 ora [ ora legale ]

Tasgius sp. - Staphylinidae

3.III.2013 - GERMANIA - EE, Northeim


nuovo argomento
rispondi
Pagina 1 di 1 [ 7 messaggi ]
Autore Messaggio
 Oggetto del messaggio: Tasgius sp. - Staphylinidae
MessaggioInviato: 27/02/2016, 19:48 
Avatar utente

Iscritto il: 31/07/2014, 16:09
Messaggi: 619
Località: Northeim, Lower Saxony, Germany
Nome: Alex Hasenkampf
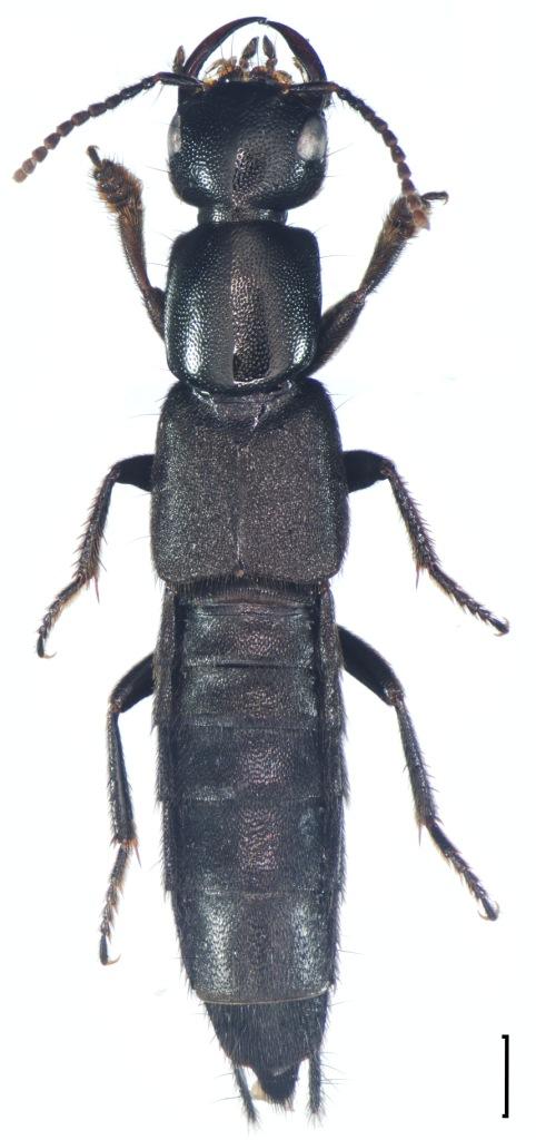
:hi: 11mm 03.03.13


11mm 03.93.13 Northeim.jpg

Top
profilo
 Oggetto del messaggio: Re: Ocypus sp.
MessaggioInviato: 27/02/2016, 21:03 
Avatar utente

Iscritto il: 19/06/2012, 14:35
Messaggi: 5632
Località: Alfonsine (RA)
Nome: Marco Villani
Potrebbe essere un Ocypus (Matidus) nitens (=nero). Hai foto delle mandibole?


Top
profilo
 Oggetto del messaggio: Re: Ocypus sp.
MessaggioInviato: 28/02/2016, 22:23 
Avatar utente

Iscritto il: 31/07/2014, 16:09
Messaggi: 619
Località: Northeim, Lower Saxony, Germany
Nome: Alex Hasenkampf
:hi: :oooner:


0ßp.jpg

2016-02-28_21-14-15 M=C R=50 S=10.jpg

Top
profilo
 Oggetto del messaggio: Re: Ocypus sp.
MessaggioInviato: 28/02/2016, 22:56 
Avatar utente

Iscritto il: 19/06/2012, 14:35
Messaggi: 5632
Località: Alfonsine (RA)
Nome: Marco Villani
Non è un Ocypus ma un Tasgius. In Italia c'è Tasgius winkleri che ci somiglia ma non conosco la fauna della Germania.
:hi:


Top
profilo
 Oggetto del messaggio: Re: Ocypus sp.
MessaggioInviato: 29/02/2016, 10:25 
 

Iscritto il: 06/02/2009, 9:09
Messaggi: 528
Località: Milano
Nome: Nicola Pilon
May be Tasgius winklery, globulifer or melanarius. The last is the more likely, to be sure male genitalia are necessary.
Nic


Top
profilo
 Oggetto del messaggio: Re: Ocypus sp.
MessaggioInviato: 29/02/2016, 17:07 
Avatar utente

Iscritto il: 31/07/2014, 16:09
Messaggi: 619
Località: Northeim, Lower Saxony, Germany
Nome: Alex Hasenkampf
Ocypus melanarius = Tasgius melanarius ?? :?


Top
profilo
 Oggetto del messaggio: Re: Ocypus sp.
MessaggioInviato: 29/02/2016, 20:21 
Avatar utente

Iscritto il: 09/11/2009, 14:12
Messaggi: 5145
Località: Hradec Kralove,Czech republik
Nome: Jan Matějíček
Tasgius (Raycheila) globulifer Foucroy, 1785 - Tasgius (Raycheila) melanarius (Heer, 1839) - Tasgius (Raycheila) winkleri (Bernhauer, 1906)


globulif.jpg

Tasgius (Raycheila) winkleri (Bernhauer, 1906)
Tasgius (Raycheila) winkleri (Bernhauer, 1906).jpg

Tasgius (Raycheila) melanarius (Heer, 1839)
Tasgius (Raycheila) melanarius (Heer, 1839).jpg

Tasgius (Raycheila) globulifer Foucroy, 1785
Tasgius (Raycheila) globulifer Foucroy, 1785.jpg


_________________
Research Fields
Taxonomy, ecology, biomonitoring , faunistic of Staphylinidae
Top
profilo
Visualizza ultimi messaggi:  Ordina per  
nuovo argomento
rispondi
Pagina 1 di 1 [ 7 messaggi ]

Tutti gli orari sono UTC + 1 ora [ ora legale ]


Chi c’è in linea

Visitano il forum: Nessuno e 1 ospite


Non puoi aprire nuovi argomenti
Non puoi rispondere negli argomenti
Non puoi modificare i tuoi messaggi
Non puoi cancellare i tuoi messaggi
Non puoi inviare allegati

Cerca per:
Vai a: