Benvenuto Ospite

Forum Entomologi Italiani

www.entomologiitaliani.net/forum
 
Oggi è 10/10/2025, 8:22

Tutti gli orari sono UTC + 1 ora [ ora legale ]

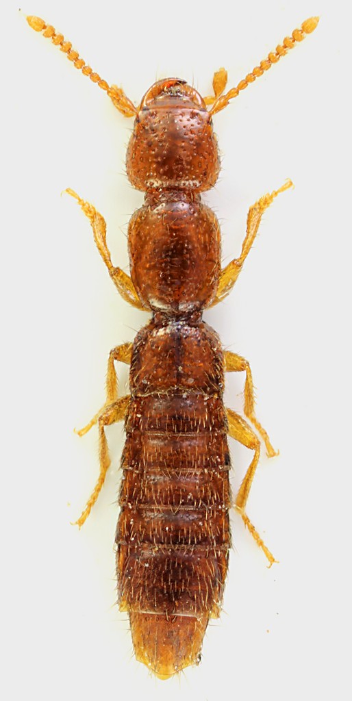
Scotonomus sp. - Staphilinidae Paederinae Dolicaonina

2.X.2011 - ITALIA - Lazio - RI, Scandriglia, 950 m


nuovo argomento
rispondi
Pagina 1 di 1 [ 3 messaggi ]
Autore Messaggio
MessaggioInviato: 08/10/2011, 13:45 
Avatar utente

Iscritto il: 30/12/2009, 22:20
Messaggi: 31564
Località: Roma
Nome: Maurizio Gigli
Qualche giorno fa ho raccolto, senza troppa convinzione, un po' di muschi secchi misti a piantine di Sedum sul bordo di una strada dove stavo portando a spasso mamma. Ci ho trovato un solo coleottero! Ma almeno sembrerebbe una specie interessante: uno Staphylinidae testaceo e anoftalmo, quindi presumo sia un endogeo casualmente vagante presso la superficie.

Lazio, Rieti, Scandriglia, 950 m, 2.X.2011, M. Gigli legit

3,4 mm
Staphylinidae_Scandriglia_2-X-2011_3,4mm_grey.jpg



Staphylinidae_Scandriglia_2-X-2011_grey.jpg


_________________
Maurizio Gigli
http://utenti.romascuola.net/bups
http://bup.xoom.it/


Top
profilo
 Oggetto del messaggio: Re: Staphilinidae anoftalmo - Lazio
MessaggioInviato: 08/10/2011, 14:26 
Avatar utente

Iscritto il: 09/11/2009, 14:12
Messaggi: 5144
Località: Hradec Kralove,Czech republik
Nome: Jan Matějíček
Scotonomus sp. - Paederinae - Dolicaonina

descritte del Lazio :Scotonomus straneoi Binaghi, 1970 ,Scotonomus vignai Binaghi, 1970 , Scotonomus arganoi Bordoni, 1975


Scotonomus (s.str.) arganoi n.sp. det Lazio.pdf [311.17 KiB]
Scaricato 126 volte

_________________
Research Fields
Taxonomy, ecology, biomonitoring , faunistic of Staphylinidae
Top
profilo
MessaggioInviato: 08/10/2011, 16:17 
Avatar utente

Iscritto il: 30/12/2009, 22:20
Messaggi: 31564
Località: Roma
Nome: Maurizio Gigli
Grazie Jan, sia per l'identificazione del genere, sia per il pdf. A vederlo, sembrerebbe indistinguibile da quello trovato da Augusto (Notoxus59) agli Altipiani di Arcinazzo (praticamente in una delle due località tipiche di S. straneoi: M. Scalambra, dove, tra l'altro, ho casa).

Ho provato a indicare su Google Earth le località di Scotonomus straneoi, Scotonomus arganoi, dell'esemplare di Augusto e di questo:

Scotonomus_Lazio.jpg


A = questo esemplare
B = Scotonomus arganoi (Tivoli)
C = Scotonomus straneoi (Filettino)
D = Scotonomus straneoi (M. Scalambra)
E = esemplare di Augusto

_________________
Maurizio Gigli
http://utenti.romascuola.net/bups
http://bup.xoom.it/


Top
profilo
Visualizza ultimi messaggi:  Ordina per  
nuovo argomento
rispondi
Pagina 1 di 1 [ 3 messaggi ]

Tutti gli orari sono UTC + 1 ora [ ora legale ]


Chi c’è in linea

Visitano il forum: Nessuno e 1 ospite


Non puoi aprire nuovi argomenti
Non puoi rispondere negli argomenti
Non puoi modificare i tuoi messaggi
Non puoi cancellare i tuoi messaggi
Non puoi inviare allegati

Cerca per:
Vai a: