Benvenuto Ospite

Forum Entomologi Italiani

www.entomologiitaliani.net/forum
 
Oggi è 12/10/2025, 22:43

Tutti gli orari sono UTC + 1 ora [ ora legale ]

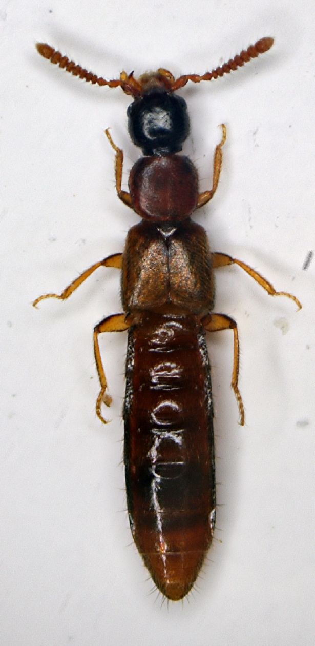
Stafilinide da vaglio 2 - Staphylinidae

1.I.2012 - ITALIA - Emilia-Romagna - BO, Castel D'Aiano - mt. 900


nuovo argomento
rispondi
Pagina 1 di 1 [ 1 messaggio ]
Autore Messaggio
MessaggioInviato: 03/01/2012, 22:58 
Avatar utente

Iscritto il: 05/02/2009, 17:25
Messaggi: 4894
Località: Zola Predosa (BO)
Nome: Loris Colacurcio
Appena raccolti, macchina fotografica montata....che faccio, non fotografo ? :mrgreen:

Da vagliatura sotto pietre profondamente interrate in bosco di roverella.

Lunghezza: 3 mm. circa

Aiano.JPG


_________________
Loris


Top
profilo
Visualizza ultimi messaggi:  Ordina per  
nuovo argomento
rispondi
Pagina 1 di 1 [ 1 messaggio ]

Tutti gli orari sono UTC + 1 ora [ ora legale ]


Chi c’è in linea

Visitano il forum: Nessuno e 1 ospite


Non puoi aprire nuovi argomenti
Non puoi rispondere negli argomenti
Non puoi modificare i tuoi messaggi
Non puoi cancellare i tuoi messaggi
Non puoi inviare allegati

Cerca per:
Vai a: