Benvenuto Ospite

Forum Entomologi Italiani

www.entomologiitaliani.net/forum
 
Oggi è 10/10/2025, 18:55

Tutti gli orari sono UTC + 1 ora [ ora legale ]

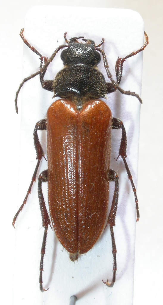
Cebrio strictus Gené, 1836 - Elateridae Cebrioninae - Sardegna

V.2008 - ITALIA - Sardegna - CA, Sarrabus, Rio Ollastu


nuovo argomento
rispondi
Pagina 1 di 1 [ 3 messaggi ]
Autore Messaggio
MessaggioInviato: 23/12/2009, 15:51 
Avatar utente

Iscritto il: 02/09/2009, 20:57
Messaggi: 8703
Località: Cagliari
Nome: Roberto Rattu
Cebrio strictus Gené, 1836 (Sardegna mer. - Sarrabus - Rio Ollastu - maggio 2008) [maschio]
Immagine 003.jpg



Top
profilo
MessaggioInviato: 01/12/2010, 22:59 
Avatar utente

Iscritto il: 02/09/2009, 20:57
Messaggi: 8703
Località: Cagliari
Nome: Roberto Rattu
Mi sono accorto che la foto lasciava un po' a desiderare: la ripropongo migliore:


DSCN6210.JPG

Top
profilo
MessaggioInviato: 01/12/2010, 23:00 
Avatar utente

Iscritto il: 02/09/2009, 20:57
Messaggi: 8703
Località: Cagliari
Nome: Roberto Rattu
e in visione laterale:


DSCN6212.JPG

Top
profilo
Visualizza ultimi messaggi:  Ordina per  
nuovo argomento
rispondi
Pagina 1 di 1 [ 3 messaggi ]

Tutti gli orari sono UTC + 1 ora [ ora legale ]


Chi c’è in linea

Visitano il forum: Nessuno e 3 ospiti


Non puoi aprire nuovi argomenti
Non puoi rispondere negli argomenti
Non puoi modificare i tuoi messaggi
Non puoi cancellare i tuoi messaggi
Non puoi inviare allegati

Cerca per:
Vai a: