Benvenuto Ospite

Forum Entomologi Italiani

www.entomologiitaliani.net/forum
 
Oggi è 01/10/2025, 8:58

Tutti gli orari sono UTC + 1 ora [ ora legale ]

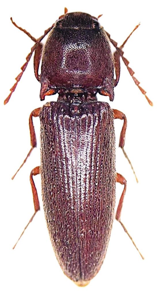
Melanotus sp., - Elateridae

17.VI.2025 - GRECIA - EE, Crete ,Adelianos Kampos 35°22.36485'N,24°32.69813'E, Matějíček J. lgt.


nuovo argomento
rispondi
Pagina 1 di 1 [ 2 messaggi ]
Autore Messaggio
 Oggetto del messaggio: Melanotus sp., - Elateridae
MessaggioInviato: 05/07/2025, 19:10 
Avatar utente

Iscritto il: 09/11/2009, 14:12
Messaggi: 5144
Località: Hradec Kralove,Czech republik
Nome: Jan Matějíček
Per favore aiutatemi con la determinazione.
(15 mm)


Elateridae Kréta.jpg


_________________
Research Fields
Taxonomy, ecology, biomonitoring , faunistic of Staphylinidae
Top
profilo
 Oggetto del messaggio: Re: Elateridae
MessaggioInviato: 06/07/2025, 18:35 
Avatar utente

Iscritto il: 24/09/2009, 20:40
Messaggi: 1947
Nome: Giuseppe Platia
Melanotus sp., it seems a male, if you can show the aedeagus perhaps we can arrive to some conclusions!

:hi: :hi:


Top
profilo
Visualizza ultimi messaggi:  Ordina per  
nuovo argomento
rispondi
Pagina 1 di 1 [ 2 messaggi ]

Tutti gli orari sono UTC + 1 ora [ ora legale ]


Chi c’è in linea

Visitano il forum: Nessuno e 2 ospiti


Non puoi aprire nuovi argomenti
Non puoi rispondere negli argomenti
Non puoi modificare i tuoi messaggi
Non puoi cancellare i tuoi messaggi
Non puoi inviare allegati

Cerca per:
Vai a: