Benvenuto Ospite

Forum Entomologi Italiani

www.entomologiitaliani.net/forum
 
Oggi è 02/10/2025, 5:10

Tutti gli orari sono UTC + 1 ora [ ora legale ]

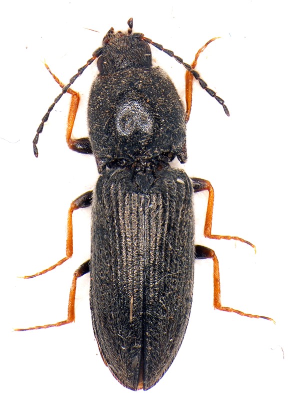
Cardiophorus rufipes (Goeze, 1777) - Elateridae. Ontaneti cacuminali Gennargentu

18.VII.2006 - ITALIA - Sardegna - NU, Desulo


nuovo argomento
rispondi
Pagina 1 di 1 [ 4 messaggi ]
Autore Messaggio
MessaggioInviato: 25/09/2009, 21:20 
Avatar utente

Iscritto il: 02/02/2009, 23:32
Messaggi: 5645
Località: da Ferrara ad Alghero
Nome: Roberto A. Pantaleoni
Ho descritto l'ambiente di cattura in questa discussione.

Desulo; 18 luglio 2006; fascia trappola; 8-9 mm
Desulo1_18Lugl06_Fascia_8-9.jpg



Roberto :to:

_________________
verum stabile cetera fumus


Top
profilo
MessaggioInviato: 26/09/2009, 9:25 
Avatar utente

Iscritto il: 27/02/2009, 19:34
Messaggi: 857
Località: Belluno
Nome: Enzo GATTI
Dalla forma dello scutello direi una specie della sottofamiglia Cardiophorinae

Enzo :) :)


Top
profilo
MessaggioInviato: 26/09/2009, 9:40 
Avatar utente

Iscritto il: 04/02/2009, 17:49
Messaggi: 5506
Località: Cagliari
Nome: Daniele Sechi
Io i mei li ho determinati come Cardiophorus rufipes (Goeze, 1777) (N, S, Si, Sa) ma su Faunaeur non lo trovo :roll:

_________________
:hi:
Daniele


Top
profilo
MessaggioInviato: 26/09/2009, 12:11 
Avatar utente

Iscritto il: 27/02/2009, 19:34
Messaggi: 857
Località: Belluno
Nome: Enzo GATTI
Ciao Daniele

su faunaeur Cardiophorus rufipes viene citato come Cardiophorus goezei Sánchez-Ruiz, 1996, mentre Lobl & Smetana tornano a chiamare la specie come C. rufipes .
Ci avrà ragione?

Enzo :) :)


Top
profilo
Visualizza ultimi messaggi:  Ordina per  
nuovo argomento
rispondi
Pagina 1 di 1 [ 4 messaggi ]

Tutti gli orari sono UTC + 1 ora [ ora legale ]


Chi c’è in linea

Visitano il forum: Nessuno e 1 ospite


Non puoi aprire nuovi argomenti
Non puoi rispondere negli argomenti
Non puoi modificare i tuoi messaggi
Non puoi cancellare i tuoi messaggi
Non puoi inviare allegati

Cerca per:
Vai a:  
cron