Benvenuto Ospite

Forum Entomologi Italiani

www.entomologiitaliani.net/forum
 
Oggi è 01/10/2025, 18:17

Tutti gli orari sono UTC + 1 ora [ ora legale ]

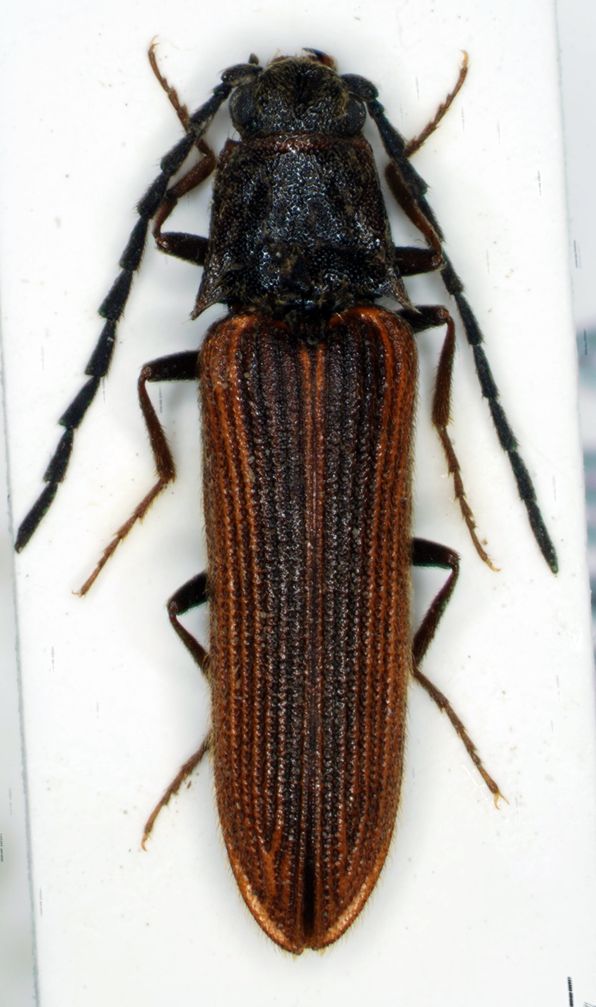
Campylomorphus homalisinus (Illiger 1807) - Elateridae

V.2006 - ITALIA - Toscana - AR, Loc. Trappola - Loro Ciuffenna


nuovo argomento
rispondi
Pagina 1 di 1 [ 5 messaggi ]
Autore Messaggio
MessaggioInviato: 18/01/2012, 17:05 
Avatar utente

Iscritto il: 18/02/2009, 0:24
Messaggi: 3907
Località: Asciano (Siena)
Nome: Andrea Petrioli
Raccolto lungo un sentiero all'interno di una faggeta ad una quota di circa 850 m.

Lunghezza dell'esemplare: circa 8 mm.


trap1rid.jpg


_________________
:hi:
______
Andrea


Top
profilo
 Oggetto del messaggio: Re: Elateride - Toscana
MessaggioInviato: 18/01/2012, 19:52 
Avatar utente

Iscritto il: 06/02/2009, 9:07
Messaggi: 1483
Località: Val Camonica (BS)
Nome: Davide Pedersoli
questo è l'elateride, e somiglia a quell'altro che hai postato che è un Omalisidae, infatti il nome Campylomorphus homalisinus (Illiger, 1807) spiega tutto.....

_________________
Pedux Camuno


Top
profilo
 Oggetto del messaggio: Re: Elateride - Toscana
MessaggioInviato: 18/01/2012, 20:21 
Avatar utente

Iscritto il: 05/02/2010, 19:48
Messaggi: 354
Nome: andrea bramanti
Sì anche per me è Campylomorphus homalisinus , specie assai caratteristica, un maschio. Dalle mie parti Alpi Apuane è abbastanza frequente nei boschi, maschi molto più comuni delle femmine :hi:


Top
profilo
 Oggetto del messaggio: Re: Elateride - Toscana
MessaggioInviato: 18/01/2012, 22:13 
Avatar utente

Iscritto il: 18/02/2009, 0:24
Messaggi: 3907
Località: Asciano (Siena)
Nome: Andrea Petrioli
Grazie per le risposte.

Effettivamente si assomigliano molto e li ho anche catturati durante la stessa passeggiata. :D

Non nascondo che, prima di guardarli con una cera attenzione, li avevo messi nella scatola-magazzino l'uno accanto all'altro credendo che fossero la stessa specie e che le differenza riscontrabili ad "occhio nudo" derivassero da un dimorfismo sessuale :oops: .

_________________
:hi:
______
Andrea


Top
profilo
MessaggioInviato: 19/01/2012, 21:40 
Avatar utente

Iscritto il: 24/09/2009, 20:40
Messaggi: 1947
Nome: Giuseppe Platia
:D :D :ok: :ok:

:hi: :hi:


Top
profilo
Visualizza ultimi messaggi:  Ordina per  
nuovo argomento
rispondi
Pagina 1 di 1 [ 5 messaggi ]

Tutti gli orari sono UTC + 1 ora [ ora legale ]


Chi c’è in linea

Visitano il forum: Nessuno e 2 ospiti


Non puoi aprire nuovi argomenti
Non puoi rispondere negli argomenti
Non puoi modificare i tuoi messaggi
Non puoi cancellare i tuoi messaggi
Non puoi inviare allegati

Cerca per:
Vai a: