Benvenuto Ospite

Forum Entomologi Italiani

www.entomologiitaliani.net/forum
 
Oggi è 01/10/2025, 5:44

Tutti gli orari sono UTC + 1 ora [ ora legale ]

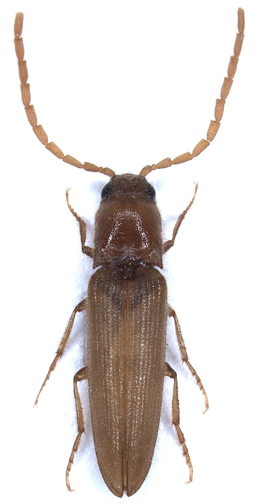
Isidus moreli Mulsant & Rey, 1874 - Elateridae

29.VII.2004 - ITALIA - Sardegna - SS, Cala Arena


nuovo argomento
rispondi
Pagina 1 di 1 [ 8 messaggi ]
Autore Messaggio
MessaggioInviato: 20/10/2009, 10:29 
Avatar utente

Iscritto il: 06/02/2009, 9:14
Messaggi: 91
Nome: Alessandro Molinu
Cala Arena, 29 VII 2004, trappole a caduta, 7,5 mm.
Alessandro


Elateridae_Asinara, CalaArena, 29VII2004_Z-1571 Montage.jpg

Top
profilo
 Oggetto del messaggio: Re: Elateridae Isola Asinara
MessaggioInviato: 20/10/2009, 10:41 
Avatar utente

Iscritto il: 04/02/2009, 17:49
Messaggi: 5506
Località: Cagliari
Nome: Daniele Sechi
Bello Ale!
Per me Isidus moreli Mulsant & Rey, 1874

_________________
:hi:
Daniele


Top
profilo
 Oggetto del messaggio: Re: Elateridae Isola Asinara
MessaggioInviato: 20/10/2009, 14:23 
Avatar utente

Iscritto il: 24/09/2009, 20:40
Messaggi: 1947
Nome: Giuseppe Platia
Confermo Isidus moreli; specie tipica delle spiagge meglio conservate. Lo conosco di 22 località litoranee italiane e per la Sardegna lo conosco solo dell'Isola dell'Asinara e questo mi sembra strano! Qualcuno lo conosce anche di altre zone sarde?
Ciao da Pino-Giuseppe (Anostirus)


Top
profilo
 Oggetto del messaggio: Re: Elateridae Isola Asinara
MessaggioInviato: 21/10/2009, 8:47 
Avatar utente

Iscritto il: 04/02/2009, 17:49
Messaggi: 5506
Località: Cagliari
Nome: Daniele Sechi
Anostirus ha scritto:
Confermo Isidus moreli; specie tipica delle spiagge meglio conservate. Lo conosco di 22 località litoranee italiane e per la Sardegna lo conosco solo dell'Isola dell'Asinara e questo mi sembra strano! Qualcuno lo conosce anche di altre zone sarde?
Ciao da Pino-Giuseppe (Anostirus)


Ciao Giuseppe, credo di aver ricevuto molti anni fa un provettino da Hemerobius con un Isidus e mi sembra di ricordare provenisse da una spiaggia del Nord Sardegna (non dall'Asinara). Ma devo verificare (a meno che Hemerobius abbia una memoria eccezionale... :mrgreen: ).

_________________
:hi:
Daniele


Top
profilo
 Oggetto del messaggio: Re: Elateridae Isola Asinara
MessaggioInviato: 21/10/2009, 8:49 
Avatar utente

Iscritto il: 25/02/2009, 20:08
Messaggi: 1469
Località: Paceco - Trapani
Nome: Luigi Barraco
Daniele Sechi ha scritto:
Anostirus ha scritto:
Ma devo verificare (a meno che Hemerobius abbia una memoria eccezionale... :mrgreen: ).


Non so se tanto eccezionale, ma eccezionale senza dubbio :bln:

_________________
:D Gigi


Top
profilo
 Oggetto del messaggio: Re: Elateridae Isola Asinara
MessaggioInviato: 21/10/2009, 10:15 
Avatar utente

Iscritto il: 02/02/2009, 23:32
Messaggi: 5645
Località: da Ferrara ad Alghero
Nome: Roberto A. Pantaleoni
Daniele Sechi ha scritto:
Anostirus ha scritto:
Confermo Isidus moreli; specie tipica delle spiagge meglio conservate. Lo conosco di 22 località litoranee italiane e per la Sardegna lo conosco solo dell'Isola dell'Asinara e questo mi sembra strano! Qualcuno lo conosce anche di altre zone sarde?
Ciao da Pino-Giuseppe (Anostirus)


Ciao Giuseppe, credo di aver ricevuto molti anni fa un provettino da Hemerobius con un Isidus e mi sembra di ricordare provenisse da una spiaggia del Nord Sardegna (non dall'Asinara). Ma devo verificare (a meno che Hemerobius abbia una memoria eccezionale... :mrgreen: ).

Ah, ce l'hai tu? Non mi ricordavo di avertelo dato. Secondo me non è neppure di una spiaggia, ma di una località dell'interno. E forse ne ricordo uno di Porto Ferro. Ma non lo volevo dire, perché penso che Pino/Anostirus si arrabbierà al fatto che non ricordo dove li ho messi :oops: !

Ciao Roberto :to:

_________________
verum stabile cetera fumus


Top
profilo
 Oggetto del messaggio: Re: Elateridae Isola Asinara
MessaggioInviato: 21/10/2009, 11:03 
Avatar utente

Iscritto il: 04/02/2009, 17:49
Messaggi: 5506
Località: Cagliari
Nome: Daniele Sechi
Hemerobius ha scritto:
Ciao Giuseppe, credo di aver ricevuto molti anni fa un provettino da Hemerobius con un Isidus e mi sembra di ricordare provenisse da una spiaggia del Nord Sardegna (non dall'Asinara). Ma devo verificare (a meno che Hemerobius abbia una memoria eccezionale... :mrgreen: ).

Ah, ce l'hai tu? Non mi ricordavo di avertelo dato. Secondo me non è neppure di una spiaggia, ma di una località dell'interno. E forse ne ricordo uno di Porto Ferro. Ma non lo volevo dire, perché penso che Pino/Anostirus si arrabbierà al fatto che non ricordo dove li ho messi :oops: !
Ciao Roberto :to:[/quote]

Credo di avere io quelli di Porto Ferro (ma devo controllare). Non ho la bolla di accompagnamento ma me li hai donati tu!
:lov2:

_________________
:hi:
Daniele


Top
profilo
MessaggioInviato: 21/10/2009, 14:22 
Avatar utente

Iscritto il: 24/09/2009, 20:40
Messaggi: 1947
Nome: Giuseppe Platia
Roberto,
sei perdonato per stavolta! Vediamo se Daniele trova gli esemplari per verificare la località.
A presto
Pino-Giuseppe (Anostirus)


Top
profilo
Visualizza ultimi messaggi:  Ordina per  
nuovo argomento
rispondi
Pagina 1 di 1 [ 8 messaggi ]

Tutti gli orari sono UTC + 1 ora [ ora legale ]


Chi c’è in linea

Visitano il forum: Nessuno e 3 ospiti


Non puoi aprire nuovi argomenti
Non puoi rispondere negli argomenti
Non puoi modificare i tuoi messaggi
Non puoi cancellare i tuoi messaggi
Non puoi inviare allegati

Cerca per:
Vai a: