Benvenuto Ospite

Forum Entomologi Italiani

www.entomologiitaliani.net/forum
 
Oggi è 01/10/2025, 11:52

Tutti gli orari sono UTC + 1 ora [ ora legale ]

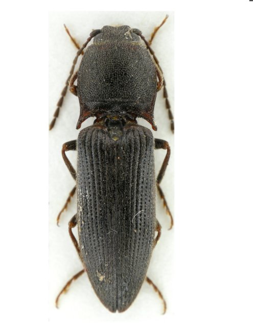
Harminius florentinus (Desbrochers des Loges 1870)

9.VII.2009 - ITALIA - Umbria - PG, S. Giovanni del Pantano, 400m, A. Degiovanni leg.


nuovo argomento
rispondi
Pagina 1 di 1 [ 3 messaggi ]
Autore Messaggio
MessaggioInviato: 20/10/2009, 21:09 
Avatar utente

Iscritto il: 06/02/2009, 9:03
Messaggi: 6363
Località: Bubano di Mordano (Bologna)
Nome: Augusto Degiovanni
Umbria:
S. Giovanni del Pantano,
400m, 9.VII.2009
Leg. A. Degiovanni

13,5mm
Elateride 1.JPG



Elateride 1 (2).JPG


_________________
CIAO :hi: Augusto Degiovanni

http://anthicidaeecarabidae.altervista.org


Top
profilo
 Oggetto del messaggio: Re: Elateridae
MessaggioInviato: 21/10/2009, 14:25 
Avatar utente

Iscritto il: 24/09/2009, 20:40
Messaggi: 1947
Nome: Giuseppe Platia
Bella specie! :) Maschio di Harminius florentinus (Desbrochers)

Ciao da Pino-Giuseppe (Anostirus)


Top
profilo
 Oggetto del messaggio: Re: Elateridae
MessaggioInviato: 21/10/2009, 19:28 
Avatar utente

Iscritto il: 06/02/2009, 9:03
Messaggi: 6363
Località: Bubano di Mordano (Bologna)
Nome: Augusto Degiovanni
Ciao Pino di nuovo grazie :ok:

_________________
CIAO :hi: Augusto Degiovanni

http://anthicidaeecarabidae.altervista.org


Top
profilo
Visualizza ultimi messaggi:  Ordina per  
nuovo argomento
rispondi
Pagina 1 di 1 [ 3 messaggi ]

Tutti gli orari sono UTC + 1 ora [ ora legale ]


Chi c’è in linea

Visitano il forum: Nessuno e 1 ospite


Non puoi aprire nuovi argomenti
Non puoi rispondere negli argomenti
Non puoi modificare i tuoi messaggi
Non puoi cancellare i tuoi messaggi
Non puoi inviare allegati

Cerca per:
Vai a: