Benvenuto Ospite

Forum Entomologi Italiani

www.entomologiitaliani.net/forum
 
Oggi è 01/10/2025, 5:43

Tutti gli orari sono UTC + 1 ora [ ora legale ]

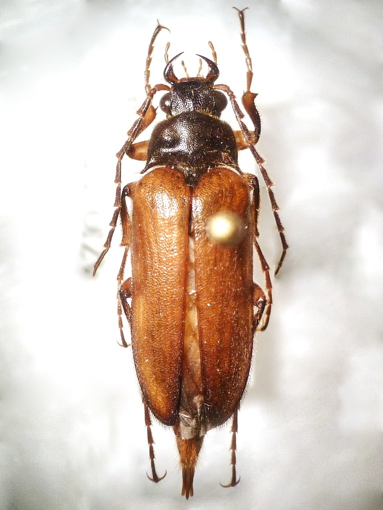
Cebrio (Cebrio) dubius (Rossi, 1790) - Elateridae Elaterinae Cebrionini.

18.VIII.2014 - ITALIA - Lazio - LT, Circeo


nuovo argomento
rispondi
Pagina 1 di 1 [ 4 messaggi ]
Autore Messaggio
MessaggioInviato: 04/05/2020, 13:44 
Avatar utente

Iscritto il: 28/04/2010, 23:44
Messaggi: 2107
Località: Roma
Nome: Valerio Viglioglia
Per un paio di giorni pubblicherò Cebri :D

Faccio bene a sospettare Cebrio neapolitanus per questi due?

L. = 17 e 19 mm, dalla punta delle mandibole alla fine delle elitre

Primo esemplare
P1020760.JPG

P1020761.JPG

P1020761b.JPG

P1020762.JPG



Secondo esemplare
P1020762aa.JPG

P1020762ab.JPG

P1020764.JPG

P1020765.JPG


_________________
Valerio V


Top
profilo
MessaggioInviato: 04/05/2020, 18:27 
Avatar utente

Iscritto il: 02/09/2009, 20:57
Messaggi: 8703
Località: Cagliari
Nome: Roberto Rattu
Ciao Valerio, del Circeo ho 6 maschi raccolti proprio da te, più altri 2 raccolti da Piero Cosimi presso Mezzomonte. Attribuirei questi esemplari a Cebrio (Cebrio) dubius (Rossi, 1790) - Elateridae Elaterinae Cebrionini.
C. neapolitanus presenta pronoto con aree fulve variamente estese (più o meno chiare) e metatorace giallastro, concolore con gli sterniti. Comunque neapolitanus purtroppo è un'entità di cui ho visto pochissimo materiale e che ancora non mi è del tutto chiara.

:hi:


Top
profilo
MessaggioInviato: 04/05/2020, 20:42 
Avatar utente

Iscritto il: 28/04/2010, 23:44
Messaggi: 2107
Località: Roma
Nome: Valerio Viglioglia
:D

Grazie Roberto

Dell'altro post che mi dici? Preso insieme ma mi sembra diverso :?

_________________
Valerio V


Top
profilo
MessaggioInviato: 08/05/2020, 12:58 
Avatar utente

Iscritto il: 28/04/2010, 23:44
Messaggi: 2107
Località: Roma
Nome: Valerio Viglioglia
Aggiungo qui una foto con i 5 esemplari di Cebrio dubius in fila per mostrarne la variabilità

Le foto non sono propriamente in scala ma all'incirca la dimensione è quella

IMG_7008 Cebrio dubius variabilità.jpg



:hi:

_________________
Valerio V


Top
profilo
Visualizza ultimi messaggi:  Ordina per  
nuovo argomento
rispondi
Pagina 1 di 1 [ 4 messaggi ]

Tutti gli orari sono UTC + 1 ora [ ora legale ]


Chi c’è in linea

Visitano il forum: Nessuno e 3 ospiti


Non puoi aprire nuovi argomenti
Non puoi rispondere negli argomenti
Non puoi modificare i tuoi messaggi
Non puoi cancellare i tuoi messaggi
Non puoi inviare allegati

Cerca per:
Vai a: