Benvenuto Ospite

Forum Entomologi Italiani

www.entomologiitaliani.net/forum
 
Oggi è 01/10/2025, 11:58

Tutti gli orari sono UTC + 1 ora [ ora legale ]

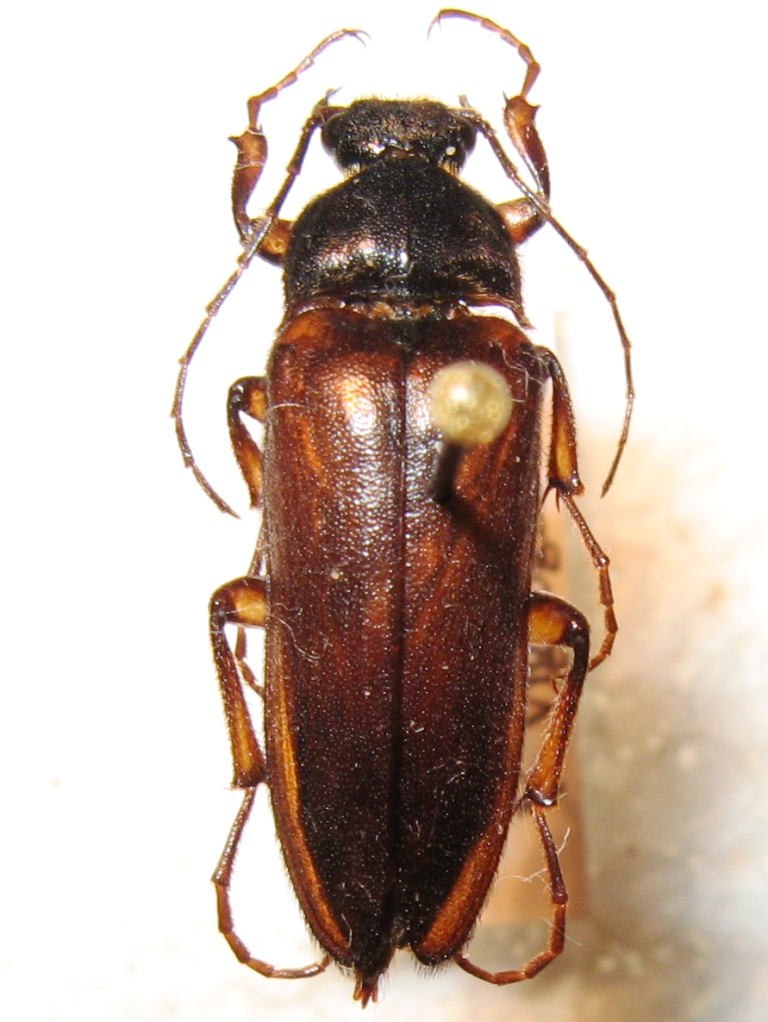
Cebrio (Cebrio) fuscatus Costa, 1847 - Elateridae Cebrioninae

27.VII.2002 - ITALIA - Puglia - LE, dint. Trepuzzi, c.ca 0 m


nuovo argomento
rispondi
Pagina 1 di 1 [ 4 messaggi ]
Autore Messaggio
MessaggioInviato: 11/11/2013, 13:24 
Avatar utente

Iscritto il: 28/04/2010, 23:44
Messaggi: 2107
Località: Roma
Nome: Valerio Viglioglia
Seconda e ultima specie di cebrionide
Ho trovato sul forum esemplari di puglia indicati come Cebrio fuscatus.
Sono loro?

L. = 16 - 18 mm

Primo esemplare
IMG_4683aa.JPG


IMG_4683ab.JPG


IMG_4683ac.JPG



Secondo esemplare
IMG_4683ba.JPG


IMG_4683bb.JPG


IMG_4683bc.JPG


_________________
Valerio V


Top
profilo
 Oggetto del messaggio: Re: fosse Cebrio fuscatus ?
MessaggioInviato: 11/11/2013, 15:25 
Avatar utente

Iscritto il: 02/09/2009, 20:57
Messaggi: 8703
Località: Cagliari
Nome: Roberto Rattu
Valerio ha scritto:
Ho trovato sul forum esemplari di puglia indicati come Cebrio fuscatus.
Sono loro?

Sì, senz'altro loro :ok: .

:hi:


Top
profilo
 Oggetto del messaggio: Re: fosse Cebrio fuscatus ?
MessaggioInviato: 11/11/2013, 19:19 
Avatar utente

Iscritto il: 25/11/2009, 9:31
Messaggi: 8157
Località: Lecce
Nome: Maurizio Bollino
Catturato Cebrio a Trepuzzi il 27 luglio 2002 perchè sia il 26 che il 27 piovve :mrgreen: :mrgreen:

_________________
Maurizio Bollino


Top
profilo
 Oggetto del messaggio: Re: fosse Cebrio fuscatus ?
MessaggioInviato: 11/11/2013, 19:28 
Avatar utente

Iscritto il: 28/04/2010, 23:44
Messaggi: 2107
Località: Roma
Nome: Valerio Viglioglia
Ammazza se piovve, ora che ci penso mi ricordo che casco tanta di quell'acqua!!!

_________________
Valerio V


Top
profilo
Visualizza ultimi messaggi:  Ordina per  
nuovo argomento
rispondi
Pagina 1 di 1 [ 4 messaggi ]

Tutti gli orari sono UTC + 1 ora [ ora legale ]


Chi c’è in linea

Visitano il forum: Nessuno e 1 ospite


Non puoi aprire nuovi argomenti
Non puoi rispondere negli argomenti
Non puoi modificare i tuoi messaggi
Non puoi cancellare i tuoi messaggi
Non puoi inviare allegati

Cerca per:
Vai a: