Benvenuto Ospite

Forum Entomologi Italiani

www.entomologiitaliani.net/forum
 
Oggi è 01/10/2025, 14:29

Tutti gli orari sono UTC + 1 ora [ ora legale ]

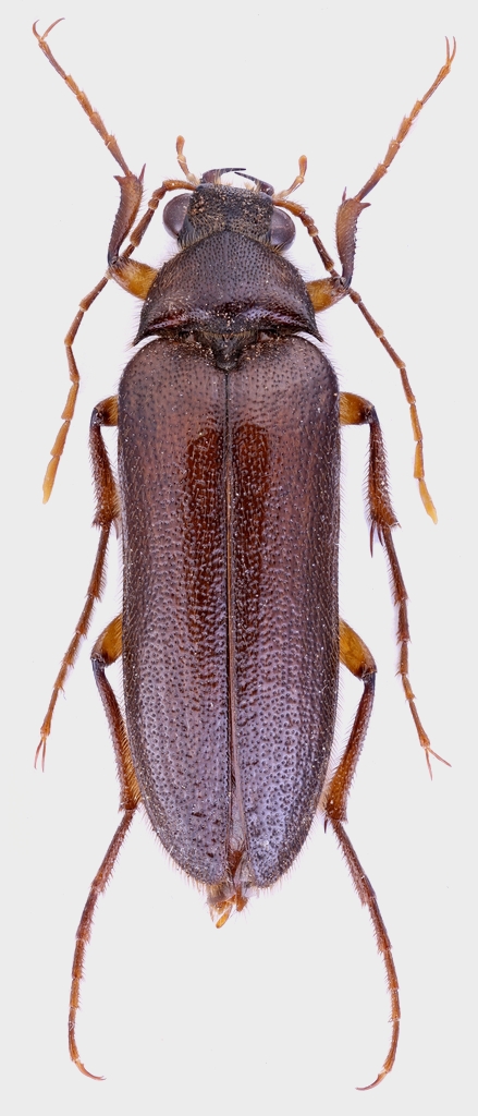
Cebrio (Tibesia) melonii Rattu, 2014 - Elateridae Cebrioninae - nuova specie di Sardegna, con foto dell'holotipo

3.VI.2014 - ITALIA - Sardegna - VS, Arbus, Portu Maga, loc. Bruncu Arcu, R. Rattu leg. (holotypus)


nuovo argomento
rispondi
Vai alla pagina 1, 2  Prossimo
Pagina 1 di 2 [ 27 messaggi ]
Autore Messaggio
MessaggioInviato: 12/11/2014, 19:26 
Avatar utente

Iscritto il: 02/09/2009, 20:57
Messaggi: 8703
Località: Cagliari
Nome: Roberto Rattu
Non ho effettuato un conteggio preciso ma negli ultimi anni è chiaro che le regioni d’Italia che stanno riservando (e che continueranno a riservare) le maggiori sorprese in termini di nuovi taxa sono la Sicilia e la Sardegna.
Per quest’ultima regione possiamo ora aggiungere una nuova specie di Cebrio, recentemente descritta sull’ultimo numero di Doriana di cui allegherò a breve il pdf recentemente ricevuto.
L’ho voluta dedicare al compianto Carlo Meloni, i cui meriti in relazione all’avanzamento delle conoscenze sull’entomofauna di Sardegna sono ben noti.
Si tratta di una specie non legata alle piogge, che compare tra maggio e giugno, nota per ora di due località situate lungo la costa della Sardegna sud-occidentale.
Desideravo corredare il lavoro con una iconografia appropriata: il pensiero è perciò andato al nostro Marcello Romano che, come ormai ci ha abituati, ha realizzato delle foto eccellenti. Ai sempre disponibili amici Roberto Poggi e Piero Leo devo la lettura critica dell’elaborato:

Cebrio melonii.jpg



Top
profilo
MessaggioInviato: 12/11/2014, 19:31 
Avatar utente

Iscritto il: 02/09/2009, 20:57
Messaggi: 8703
Località: Cagliari
Nome: Roberto Rattu
La caratteristica più peculiare di questa specie è l'orientamento della pubescenza, distintamente sollevata su capo, pronoto e su tutta la superficie delle elitre:

Cebrio melonii (visione laterale).jpg



Una foto di un esemplare in natura:

fig. 5.jpg



Top
profilo
MessaggioInviato: 12/11/2014, 19:34 
Avatar utente

Iscritto il: 09/11/2010, 19:52
Messaggi: 4518
Località: Brescia
Nome: Luca Bodei
:ok: :hi:

_________________
Tc70


Top
profilo
MessaggioInviato: 12/11/2014, 19:46 
Avatar utente

Iscritto il: 30/12/2010, 11:51
Messaggi: 4544
Località: San Giovanni Valdarno (AR)
Nome: Giovanni Altadonna
Complimenti Roberto! :ok:

_________________
"L' uomo che è cieco alle bellezze della natura ha perduto metà del piacere di vivere"
Sir Robert Baden Powell

Giovanni Altadonna


Top
profilo
MessaggioInviato: 12/11/2014, 20:15 
Avatar utente

Iscritto il: 05/02/2009, 17:44
Messaggi: 2679
Località: Garbagnate Milanese
Nome: Augusto Franzini
:ok: per la bellissima bestia... e per la dedica.

_________________
Augusto (aug)
Prediction is very difficult, especially about the future (Niels Bohr, fisico)


Top
profilo
MessaggioInviato: 12/11/2014, 20:31 
Avatar utente

Iscritto il: 23/06/2010, 11:11
Messaggi: 2784
Località: Cagliari
Nome: Gianpaolo Ruzzante
grande Roberto il Signore dei Cebrio

Grazie per questa nuova specie :birra: :birra:


Top
profilo
MessaggioInviato: 12/11/2014, 20:38 
Avatar utente

Iscritto il: 21/05/2009, 14:59
Messaggi: 6994
Località: Parigi
Nome: Riccardo Poloni
Grande Roberto :hp: :hp: :lov2: :lov2: :birra: :birra: . Davvero complimenti, ormai non ti ferma più nessuno :mrgreen: :mrgreen: .

_________________
Riccardo Poloni
La dignità degli elementi
la libertà della poesia,
al di là dei tradimenti degli uomini
è magia, è magia, è magia...
Negrita, Rotolando verso sud


Top
profilo
MessaggioInviato: 12/11/2014, 21:36 
Avatar utente

Iscritto il: 19/06/2012, 14:35
Messaggi: 5625
Località: Alfonsine (RA)
Nome: Marco Villani
Complimenti! :shock: :ok:


Top
profilo
MessaggioInviato: 12/11/2014, 21:50 
Avatar utente

Iscritto il: 30/12/2009, 22:20
Messaggi: 31564
Località: Roma
Nome: Maurizio Gigli
aug ha scritto:
:ok: per la bellissima bestia... e per la dedica.

Mi associo.

Fumea crassiorella ha scritto:
Si tratta di una specie non legata alle piogge, che compare tra maggio e giugno

Sbaglio o ci sono anche delle specie magrebine che fanno lo stesso?

_________________
Maurizio Gigli
http://utenti.romascuola.net/bups
http://bup.xoom.it/


Top
profilo
MessaggioInviato: 12/11/2014, 21:56 
Avatar utente

Iscritto il: 18/02/2009, 0:24
Messaggi: 3907
Località: Asciano (Siena)
Nome: Andrea Petrioli
Scusami se non ti ho fatto i complimenti in precedenza. :D

Ottimo Roberto, bravissimo :hp: :hp: :hp:

_________________
:hi:
______
Andrea


Top
profilo
MessaggioInviato: 12/11/2014, 22:02 
Avatar utente

Iscritto il: 09/06/2012, 20:57
Messaggi: 4282
Località: Mesola (FE)
Nome: Daniele Maccapani
Complimenti davvero! :birra: :hi:

_________________
"Lasciate questo mondo un po' migliore di come lo avete trovato" (Sir Robert Baden Powell)
Immagine Daniele


Top
profilo
MessaggioInviato: 12/11/2014, 22:11 
Avatar utente

Iscritto il: 02/09/2009, 20:57
Messaggi: 8703
Località: Cagliari
Nome: Roberto Rattu
Grazie di cuore a tutti :lov2: .

Julodis ha scritto:
Sbaglio o ci sono anche delle specie magrebine che fanno lo stesso?


Sì, a quanto mi è noto tutte le specie nord-africane hanno tale fenologia; e per ora di quelle zone non conosco nessuna specie tardo estivo/autunnale 'pluviofila'; è possibile che tale lacuna sia dovuta alla mancanza di ricerche specializzate, anche perché in quelle regioni, alcune delle quali ultimamente non proprio tranquille, i periodi più gettonati dagli entomologi non sono certo i mesi tra agosto e ottobre.
Specie tardo-primaverili sono presenti anche in Spagna e Portogallo; a 'casa nostra' abbiamo C. germari di Sicilia e in Sardegna C. strictus.

Ecco il pdf:

Cebrio melonii Rattu, 2014 DORIANA 391.pdf [1.29 MiB]
Scaricato 333 volte


Top
profilo
MessaggioInviato: 12/11/2014, 22:17 
Avatar utente

Iscritto il: 06/02/2009, 9:03
Messaggi: 6363
Località: Bubano di Mordano (Bologna)
Nome: Augusto Degiovanni
Tantissimi complimenti Roberto :birra: :birra: :birra:

_________________
CIAO :hi: Augusto Degiovanni

http://anthicidaeecarabidae.altervista.org


Top
profilo
MessaggioInviato: 12/11/2014, 23:22 
Avatar utente

Iscritto il: 22/12/2009, 13:31
Messaggi: 9646
Località: Napoli
Nome: Francesco Izzillo
:birra: complimenti Robè :birra:

_________________
Francesco Izzillo


Top
profilo
MessaggioInviato: 12/11/2014, 23:37 
 

Iscritto il: 21/09/2009, 9:34
Messaggi: 1535
Località: Padova
Nome: Gianfranco Salvato
CONGRATULAZIONI ROBERTO! :hp: :birra:
Ciao
Gianfranco


Top
profilo
Visualizza ultimi messaggi:  Ordina per  
nuovo argomento
rispondi
Vai alla pagina 1, 2  Prossimo
Pagina 1 di 2 [ 27 messaggi ]

Tutti gli orari sono UTC + 1 ora [ ora legale ]


Chi c’è in linea

Visitano il forum: Nessuno e 2 ospiti


Non puoi aprire nuovi argomenti
Non puoi rispondere negli argomenti
Non puoi modificare i tuoi messaggi
Non puoi cancellare i tuoi messaggi
Non puoi inviare allegati

Cerca per:
Vai a: