Benvenuto Ospite

Forum Entomologi Italiani

www.entomologiitaliani.net/forum
 
Oggi è 01/10/2025, 8:19

Tutti gli orari sono UTC + 1 ora [ ora legale ]

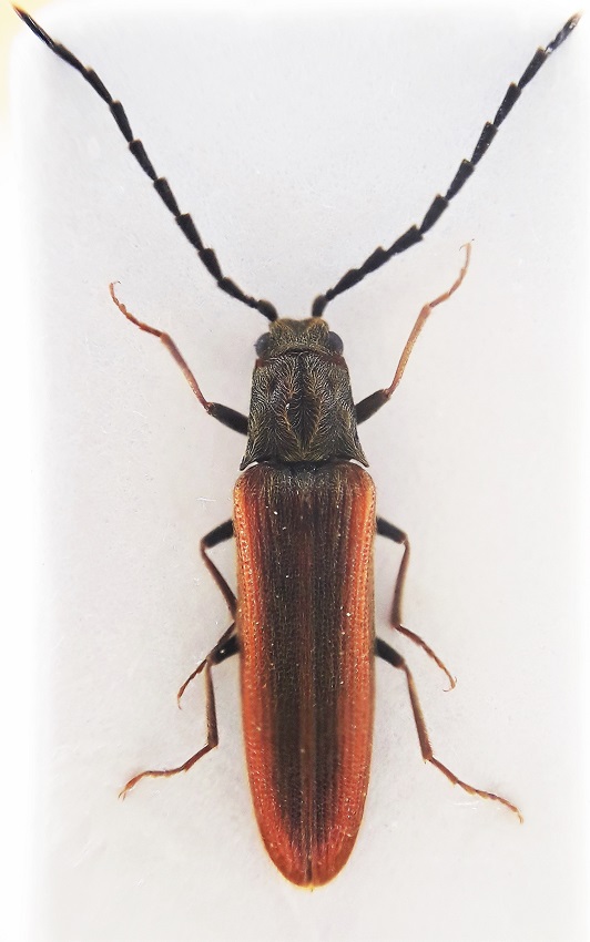
Campylomorphus homalisinus (Illiger, 1807) - Elateridae

28.V.2020 - ITALIA - Toscana - MS, Pian della Fioba


nuovo argomento
rispondi
Pagina 1 di 1 [ 5 messaggi ]
Autore Messaggio
MessaggioInviato: 07/06/2020, 12:39 
Avatar utente

Iscritto il: 22/01/2019, 15:55
Messaggi: 312
Località: Massa (MS)
Nome: Francesco Adamo
Ciao a tutti! E' possibile determinare la specie di questo Elateride? Trovato in numero in bosco misto di conifere e castagni a circa 900 m s.l.m.. Lunghezza 6 mm. Grazie in anticipo! :D


14.28maggio.jpg

13.28maggio.jpg


_________________
Francesco
Top
profilo
 Oggetto del messaggio: Re: Elateridae da identificare
MessaggioInviato: 07/06/2020, 13:17 
Avatar utente

Iscritto il: 02/09/2009, 20:57
Messaggi: 8703
Località: Cagliari
Nome: Roberto Rattu
Ciao, Campylomorphus homalisinus (Illiger, 1807)

:hi:


Top
profilo
 Oggetto del messaggio: Re: Elateridae da identificare
MessaggioInviato: 07/06/2020, 13:48 
Avatar utente

Iscritto il: 22/01/2019, 15:55
Messaggi: 312
Località: Massa (MS)
Nome: Francesco Adamo
Grazie mille! :hi:

_________________
Francesco


Top
profilo
 Oggetto del messaggio: Re: Elateridae da identificare
MessaggioInviato: 07/06/2020, 14:43 
Avatar utente

Iscritto il: 24/09/2009, 20:40
Messaggi: 1947
Nome: Giuseppe Platia
Se sono tutti lunghi 6 mm sono proprio denutriti perché è una misura ultraminima per la specie avendone visto negli anni diverse centinaia di esemplari!
:hi: :hi:


Top
profilo
 Oggetto del messaggio: Re: Elateridae da identificare
MessaggioInviato: 07/06/2020, 15:36 
Avatar utente

Iscritto il: 22/01/2019, 15:55
Messaggi: 312
Località: Massa (MS)
Nome: Francesco Adamo
Anostirus ha scritto:
Se sono tutti lunghi 6 mm sono proprio denutriti perché è una misura ultraminima per la specie avendone visto negli anni diverse centinaia di esemplari!
:hi: :hi:

Più o meno si la lunghezza è quasi sempre quella in tutti quelli che ho visto

_________________
Francesco


Top
profilo
Visualizza ultimi messaggi:  Ordina per  
nuovo argomento
rispondi
Pagina 1 di 1 [ 5 messaggi ]

Tutti gli orari sono UTC + 1 ora [ ora legale ]


Chi c’è in linea

Visitano il forum: Nessuno e 2 ospiti


Non puoi aprire nuovi argomenti
Non puoi rispondere negli argomenti
Non puoi modificare i tuoi messaggi
Non puoi cancellare i tuoi messaggi
Non puoi inviare allegati

Cerca per:
Vai a: