Benvenuto Ospite

Forum Entomologi Italiani

www.entomologiitaliani.net/forum
 
Oggi è 01/10/2025, 14:03

Tutti gli orari sono UTC + 1 ora [ ora legale ]

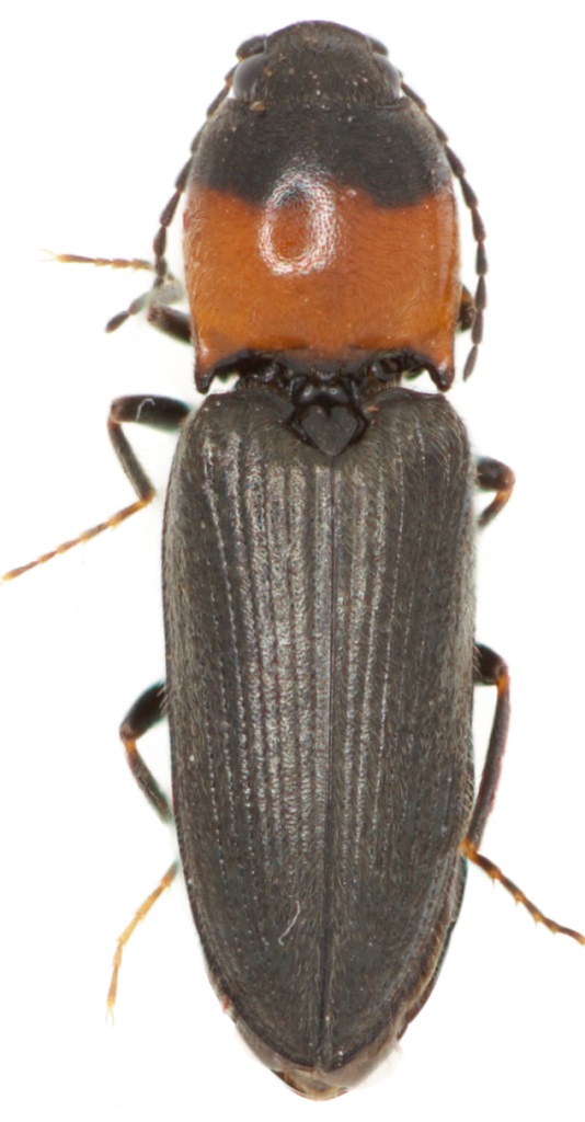
Cardiophorus (Cardiophorus) italicus Platia & Bartolozzi, 1988 - Elateridae

19.XII.2021 - ITALIA - Lazio - RM, Santa Maria delle mole, Marino


nuovo argomento
rispondi
Pagina 1 di 1 [ 5 messaggi ]
Autore Messaggio
MessaggioInviato: 28/12/2021, 18:23 
Avatar utente

Iscritto il: 05/05/2016, 11:22
Messaggi: 2953
Località: Santa Maria delle mole, Marino, Rm
Nome: Roberto Vanzini
Ho catturato 2 esemplari di Cardiophorus sp. sotto corteccia di Eucalipto.

Sono C. italicus?
Ho letto che è importante la punteggiatura del torace, tra gli altri caratteri. Magari un occhio esperto tra Giuseppe e Edoardo può arrivare all'identificazione.

Grazie mille :birra:

Dim. 6,40 mm
2021-12-28 17-01-40 (B,Radius8,Smoothing3)2(1).jpg


2021-12-28 17-19-43 (B,Radius8,Smoothing3)2(1).jpg


Dim. 6,85 mm
2021-12-28 17-05-20 (B,Radius8,Smoothing3)2(1).jpg


_________________
Roberto Vanzini


Top
profilo
 Oggetto del messaggio: Re: Cardiophorus sp.
MessaggioInviato: 28/12/2021, 20:13 
Avatar utente

Iscritto il: 24/09/2009, 20:40
Messaggi: 1947
Nome: Giuseppe Platia
:ok: :ok:


Top
profilo
 Oggetto del messaggio: Re: Cardiophorus sp.
MessaggioInviato: 28/12/2021, 20:24 
Avatar utente

Iscritto il: 05/05/2016, 11:22
Messaggi: 2953
Località: Santa Maria delle mole, Marino, Rm
Nome: Roberto Vanzini
Ottimo, grazie Giuseppe :birra:

_________________
Roberto Vanzini


Top
profilo
 Oggetto del messaggio: Re: Cardiophorus sp.
MessaggioInviato: 28/12/2021, 20:39 
 

Iscritto il: 08/12/2013, 1:52
Messaggi: 7484
Località: Bagnacavallo (RA)
Nome: Giorgio Pezzi
A proposito, dov'è finito Edoardo?? Su questa sfilza di elateridi non ho visto suoi interventi. Qualcuno mi/ci tranquillizza? :hi:


Top
profilo
 Oggetto del messaggio: Re: Cardiophorus sp.
MessaggioInviato: 29/12/2021, 11:40 
Avatar utente

Iscritto il: 10/04/2016, 14:33
Messaggi: 1174
Località: Guidonia Montecelio (RM)
Nome: Edoardo Pulvirenti
Chalybion ha scritto:
A proposito, dov'è finito Edoardo?? Su questa sfilza di elateridi non ho visto suoi interventi. Qualcuno mi/ci tranquillizza? :hi:

Ciao Giorgio, stai tranquillo. Semplicemente avendo iniziato l'università ho avuto poco tempo da dedicare agli insetti. Conto però di riprendere l'attività entomologica nel prossimo periodo in quanto fortunatamente ho solo due esami molto distanziati l'uno dall'altro. :birra:

_________________
”Da un grande potere derivano grandi responsabilità”
-Ben Parker


EDOARDO PULVIRENTI


Top
profilo
Visualizza ultimi messaggi:  Ordina per  
nuovo argomento
rispondi
Pagina 1 di 1 [ 5 messaggi ]

Tutti gli orari sono UTC + 1 ora [ ora legale ]


Chi c’è in linea

Visitano il forum: Nessuno e 2 ospiti


Non puoi aprire nuovi argomenti
Non puoi rispondere negli argomenti
Non puoi modificare i tuoi messaggi
Non puoi cancellare i tuoi messaggi
Non puoi inviare allegati

Cerca per:
Vai a: