Benvenuto Ospite

Forum Entomologi Italiani

www.entomologiitaliani.net/forum
 
Oggi è 12/11/2025, 6:28

Tutti gli orari sono UTC + 1 ora [ ora legale ]

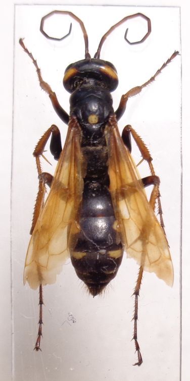
Cryptocheilus (Adonta) octomaculatus (Rossi, 1790) ♀ - Pompilidae Pepsinae

16.VII.2011 - ITALIA - Emilia-Romagna - BO, val Sellustra, 350 m


nuovo argomento
rispondi
Pagina 1 di 1 [ 6 messaggi ]
Autore Messaggio
MessaggioInviato: 12/01/2019, 13:06 
 

Iscritto il: 08/12/2013, 1:52
Messaggi: 7538
Località: Bagnacavallo (RA)
Nome: Giorgio Pezzi
mm 14.5. Alcuni caratteri, oltre alle antenne gialle:
- macchia gialla internamente alle orbite, triangolarmente allargata verso i toruli;
- macchia giallo-rossastra posteriormente alle orbite sul vertice;
- macchie chiare su scutum (posterocentrale) e ai lati dei terga 2, 3 e 4;
- tibie e tarsi rossi, femori 1 rossi all'apice;
- propodeo striato trasversalmente, mesopleura striata nella metà inferiore, solo posteriormente in addietro;
- unghie dentate al centro.
Grazie per ogni suggerimento. :hi:
pompilsellustra.jpg



Top
profilo
 Oggetto del messaggio: Re: Cryptocheilus sp.
MessaggioInviato: 12/01/2019, 17:25 
 

Iscritto il: 25/10/2018, 20:44
Messaggi: 77
Località: Verona
Nome: Andrea Volpe
per me è Cryptocheilus octomaculatus, la colorazione è quella classica anche se manca il quarto paio di macchie gialle sull'addome.
Questa specie è molto variabile nella colorazione, difatti in origine erano descritte 4 specie di Cryptocheilus (minimo) successivamente messe in sinonimia con quello che oggi è Cryptocheilus octomaculatus (Rossi, 1790).
Nella penisola iberica sono informalmente indicati come "forma eatoni" (una delle 4 specie originarie) e credo che forme simili a questa siano frequenti sul suolo italiano almeno in Sicilia e Sardegna (forse Pietro o Marcello possono confermarci o meno).
Alcuni sono molto scuri con l'addome quasi completamente nero o con le ali molto infumate, mettendomi in difficoltà nel confronto con altre specie quali C. infumatus, C. perezi e C. unicolor.
Il problema di questo genere è che le chiavi disponibili si basano troppo sulla colorazione mentre trovo pochi caratteri morfologici diagnostici.

p.s. da notare che il carattere della cella marginale con la punta arrotondata, che appare in diverse chiavi come diagnostico per il genere Cryptocheilus, non è presente in tutte le specie. Questa è una delle eccezioni.

Ciao :hi:

Andrea Volpe
Padova (PD)

_________________
Andrea Volpe
Verona (VR)


Top
profilo
 Oggetto del messaggio: Re: Cryptocheilus sp.
MessaggioInviato: 12/01/2019, 17:48 
 

Iscritto il: 08/12/2013, 1:52
Messaggi: 7538
Località: Bagnacavallo (RA)
Nome: Giorgio Pezzi
Grazie Andrea, in effetti su Faune de France era lì che arrivavo ma con alcune differenze rispetto alla descrizione (qui testa nera invece che rossastra, macchia bianca toracica) e anche se ho capito che la colorazione pare variare abbastanza in queste specie, ho preferito postarla, anche perchè FdeF non ha tutte le specie descritte d'Italia.
:hi:


Top
profilo
 Oggetto del messaggio: Re: Cryptocheilus sp.
MessaggioInviato: 12/01/2019, 21:28 
 

Iscritto il: 08/12/2013, 1:52
Messaggi: 7538
Località: Bagnacavallo (RA)
Nome: Giorgio Pezzi
Scusate se approfitto e vado off topic ma chi mi sa dire come distinguere Priocnemis perturbator da susterai e coriacea, in pratica il vecchio P. fuscus? Grazie. :hi:


Top
profilo
 Oggetto del messaggio: Re: Cryptocheilus sp.
MessaggioInviato: 13/01/2019, 12:12 
 

Iscritto il: 25/10/2018, 20:44
Messaggi: 77
Località: Verona
Nome: Andrea Volpe
Le Priocnemis non le ho mai affrontate perchè non so distinguerle senza averle in mano.
Ho una revisione recente: A review of the genus Priocnemis Schiødte, 1837 (Hymenoptera,
Pompilidae) in Belarus - Lelej & Loktionov.
Comprende tutte e tre le specie che ti interessano ma non l'ho mai studiata perchè è scritta in alfabeto cirillico (credo russo) e non ho avuto tempo di stare a tradurre (anche se l'altro ieri immettendo il testo in google translate veniva fuori un discorso abbastanza sensato, puoi avere un'idea più chiara vedendo sia la traduzione in russo che in bielorusso, si compensano parzialmente).
Se non ricordo male dovrei avere anche una chiave in tedesco di Haupt più vecchia ma mi sono precedentemente trovato male con le sue chiavi e le ho un pò messe da parte.

Ciao :hi:

Andrea Volpe
Padova (PD)

_________________
Andrea Volpe
Verona (VR)


Top
profilo
 Oggetto del messaggio: Re: Cryptocheilus sp.
MessaggioInviato: 13/01/2019, 21:37 
 

Iscritto il: 08/12/2013, 1:52
Messaggi: 7538
Località: Bagnacavallo (RA)
Nome: Giorgio Pezzi
Grazie, il mio russo è molto arrugginito e molto parziale dal 1988 o 1989 quando andai per lavoro. :)
Ho notato che avevo postato qualche anno fa lo stesso esemplare viewtopic.php?f=259&t=63484&hilit=Cryptocheilus , con tanto di ipotesi concorde. :hi:


Top
profilo
Visualizza ultimi messaggi:  Ordina per  
nuovo argomento
rispondi
Pagina 1 di 1 [ 6 messaggi ]

Tutti gli orari sono UTC + 1 ora [ ora legale ]


Chi c’è in linea

Visitano il forum: Nessuno e 1 ospite


Non puoi aprire nuovi argomenti
Non puoi rispondere negli argomenti
Non puoi modificare i tuoi messaggi
Non puoi cancellare i tuoi messaggi
Non puoi inviare allegati

Cerca per:
Vai a: