Benvenuto Ospite

Forum Entomologi Italiani

www.entomologiitaliani.net/forum
 
Oggi è 10/10/2025, 10:30

Tutti gli orari sono UTC + 1 ora [ ora legale ]

FRESCHI DI STAMPA - Spigolature entomologiche



nuovo argomento
rispondi
Vai alla pagina Precedente  1 ... 13, 14, 15, 16, 17, 18, 19 ... 23  Prossimo
Pagina 16 di 23 [ 331 messaggi ]
Autore Messaggio
MessaggioInviato: 03/01/2017, 12:22 
Avatar utente

Iscritto il: 02/09/2009, 20:57
Messaggi: 8703
Località: Cagliari
Nome: Roberto Rattu
annales zoologici.cover.jpg





Top
profilo
MessaggioInviato: 03/01/2017, 16:37 
Avatar utente

Iscritto il: 02/09/2009, 20:57
Messaggi: 8703
Località: Cagliari
Nome: Roberto Rattu
200_ecfd90e2827a3634ea25fda28b043f8a.jpg







homeHeaderTitleImage_en_US.jpg





Top
profilo
MessaggioInviato: 04/01/2017, 11:09 
Avatar utente

Iscritto il: 02/09/2009, 20:57
Messaggi: 8703
Località: Cagliari
Nome: Roberto Rattu
Boll soc ent it.jpg







memorie.jpg





Top
profilo
MessaggioInviato: 05/01/2017, 11:41 
Avatar utente

Iscritto il: 02/09/2009, 20:57
Messaggi: 8703
Località: Cagliari
Nome: Roberto Rattu
STSN_620x305.jpg





In particolare:

Ilaria Marisa, Adriano Zanetti, Valeria Lencioni, Natalia Bragalanti, Luca Pedrotti, Mauro Gobbi



Top
profilo
MessaggioInviato: 10/01/2017, 12:05 
Avatar utente

Iscritto il: 02/09/2009, 20:57
Messaggi: 8703
Località: Cagliari
Nome: Roberto Rattu
200_1ce99d3cb8d890927134de3579d2a0a4.jpg





In particolare:



Top
profilo
MessaggioInviato: 10/01/2017, 13:57 
Avatar utente

Iscritto il: 02/09/2009, 20:57
Messaggi: 8703
Località: Cagliari
Nome: Roberto Rattu
d110x_117105.jpg.png





In particolare:

Mingyi Tian
A new highly cave-adapted trechine genus and species from northern Guizhou Province, China (Coleoptera, Carabidae, Trechinae)



Immagine.jpg



Top
profilo
MessaggioInviato: 10/01/2017, 17:24 
Avatar utente

Iscritto il: 02/09/2009, 20:57
Messaggi: 8703
Località: Cagliari
Nome: Roberto Rattu


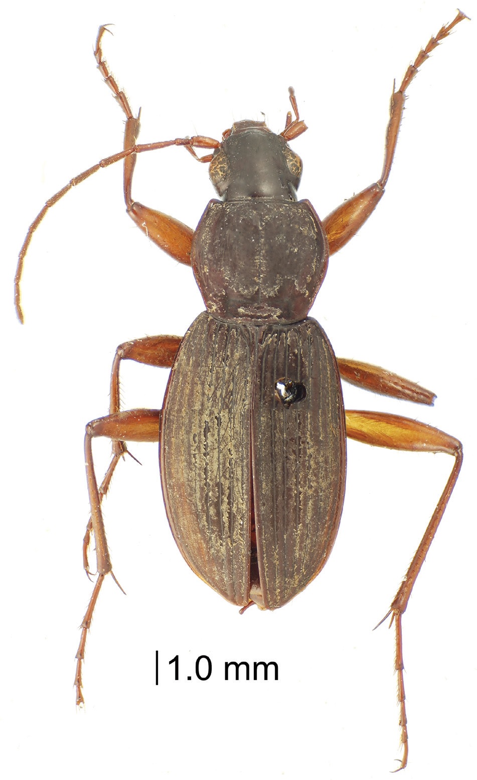
Lo studio delle collezioni pubbliche riserva sempre sorprese:

James Liebherr
Bryanites graeffii sp. n. (Coleoptera, Carabidae): museum rediscovery of a relict species from Samoa




Immagine.jpg



Top
profilo
MessaggioInviato: 11/01/2017, 10:48 
Avatar utente

Iscritto il: 02/09/2009, 20:57
Messaggi: 8703
Località: Cagliari
Nome: Roberto Rattu
Cattura.JPG





Top
profilo
MessaggioInviato: 11/01/2017, 16:11 
Avatar utente

Iscritto il: 02/09/2009, 20:57
Messaggi: 8703
Località: Cagliari
Nome: Roberto Rattu
d110x_117728.jpg.png





Top
profilo
MessaggioInviato: 13/01/2017, 18:35 
Avatar utente

Iscritto il: 02/09/2009, 20:57
Messaggi: 8703
Località: Cagliari
Nome: Roberto Rattu
200_1ce99d3cb8d890927134de3579d2a0a4.jpg





4220-1.jpg



Top
profilo
MessaggioInviato: 16/01/2017, 21:12 
Avatar utente

Iscritto il: 02/09/2009, 20:57
Messaggi: 8703
Località: Cagliari
Nome: Roberto Rattu
200_1ce99d3cb8d890927134de3579d2a0a4.jpg





In particolare:



4221-1.jpg



Top
profilo
MessaggioInviato: 17/01/2017, 0:49 
Amministratore
Avatar utente

Iscritto il: 02/02/2009, 23:30
Messaggi: 7102
Località: Capaci (Pa)
Nome: Marcello Romano
Lluciapomaresius
Ma il nome di un genere può iniziare con due consonanti uguali :?
E come si leggerà? :dead:

_________________
:hi: Marcello Romano


Top
profilo
MessaggioInviato: 17/01/2017, 16:47 
Avatar utente

Iscritto il: 02/09/2009, 20:57
Messaggi: 8703
Località: Cagliari
Nome: Roberto Rattu
Velvet Ant ha scritto:
Lluciapomaresius
Ma il nome di un genere può iniziare con due consonanti uguali :?
E come si leggerà? :dead:


Ciao Marcello, la pronuncia è certamente gl di aglio, così come Sevilla è pronunciata Siviglia. Per quanto riguarda l'inizio con due consonanti uguali, ho controllato il Codice internazionale di nomenclatura zoologica e non ho trovato nulla di pertinente in proposito. Insomma nulla vieta di dedicare un genere o un epiteto specifico a un qualche membro della famiglia Lloyd :D

:hi:


Top
profilo
MessaggioInviato: 17/01/2017, 20:44 
Avatar utente

Iscritto il: 05/02/2009, 17:44
Messaggi: 2681
Località: Garbagnate Milanese
Nome: Augusto Franzini
Il genere Lloydia esiste in Botanica (L. serotina).
:hi:

_________________
Augusto (aug)
Prediction is very difficult, especially about the future (Niels Bohr, fisico)


Top
profilo
MessaggioInviato: 18/01/2017, 8:34 
Avatar utente

Iscritto il: 25/11/2009, 9:31
Messaggi: 8157
Località: Lecce
Nome: Maurizio Bollino
Se due elle iniziali sono strane, lo sono anche tre vocali uguali come in Aaata (Buprestidae)

_________________
Maurizio Bollino


Top
profilo
Visualizza ultimi messaggi:  Ordina per  
nuovo argomento
rispondi
Vai alla pagina Precedente  1 ... 13, 14, 15, 16, 17, 18, 19 ... 23  Prossimo
Pagina 16 di 23 [ 331 messaggi ]

Tutti gli orari sono UTC + 1 ora [ ora legale ]


Chi c’è in linea

Visitano il forum: Nessuno e 1 ospite


Non puoi aprire nuovi argomenti
Non puoi rispondere negli argomenti
Non puoi modificare i tuoi messaggi
Non puoi cancellare i tuoi messaggi
Non puoi inviare allegati

Cerca per:
Vai a: